岩败酱,中药名。为败酱科植物岩败酱Patrinia rupestris (Pall.) Juss.的全草。分布于东北、内蒙古、河北、山西等地。具有清热解毒,活血,排脓之功效。常用于痢疾,泄泻,黄疸,肠痈。
基本信息

全草。

味辛、苦,性寒。

归肝、大肠经。

清热解毒,活血,排脓。

痢疾,泄泻,黄疸,肠痈。

1、治黄疸:岩败酱、茵陈各15g,水煎服。(《内蒙古中草药》)
2、治慢性阑尾炎:蒲公英60g,甘草6g,岩败酱30g,青木香15g。水煎服。(《内蒙古中草药》)

9-15g。

夏季采收,切段,晒干。
拣净杂质,洗净,润透,切片,晒干或低温烘干。或趁鲜洗净切片,晒干。

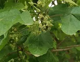
多年生草本,高20-60cm。根状茎稍斜升,长达10cm以上,顶端不分枝,有浓烈臭酱气味。茎多数丛生,连同花序梗被短糙毛。基生叶有柄,长2-4cm;茎生叶对生;叶柄短,上部叶渐无柄;叶长圆形或椭圆形,长3-7cm,羽状深裂至全裂,通常具3-6对侧生裂片,裂片条形,有稀的缺刻状牙齿,无毛或有糙毛。夏秋季开黄色花,密花聚伞花序顶生,3-7枝在枝端排成伞房状,宽4-15cm,轴、梗均被粗白毛和腺毛;小苞片腺形,对生;花萼小,萼齿5;花冠漏斗状,径3-5mm,基部成短细筒,筒基部一侧有偏突,上部5裂,裂片近圆形;雄蕊4,长于花冠;子房下位,圆柱状。瘦果小,倒卵圆柱状,背部贴有椭圆形的大膜质苞片。花期7-9月,果期8-9月。

喜生于海拔400-1800m、光线充足、干燥的山坡。分布于东北、内蒙古、河北、山西等地。

根呈圆柱形微弯曲,表面棕黑色或棕褐色,栓皮有时剥落,具瘤状突起,质松脆,易折断,断面不平坦,皮部较窄,外侧棕褐色,向内灰白色,木部较宽广,黄白色至淡棕黄色,有多数放射状裂隙。根茎棕褐色或灰棕色,具分枝,节明显,稍膨大。茎灰棕褐色至灰绿色,圆柱形,微弯曲,节明显,具残留的卷曲破碎的叶,顶端有时有残留的棕黄色小花。气特异,味微苦。

抑菌作用。

《内蒙古中草药》:“治慢性阑尾炎:蒲公英二两,甘草二钱,岩败酱一两,青木香五钱。水煎服。”
[1-5]







攀倒甑 Juss.)是败酱科败酱属植物。多年生草本,高50-100厘米;地下根状茎长而横走,偶在地…




败酱是忍冬科败酱属的多年生草本植物。株高可达2米;根横卧或斜生、大多是细根;茎直立,…




少蕊败酱为忍冬科败酱属的植物。分布在台湾岛以及中国大陆的江西、辽宁、广西、甘肃、湖北、江苏、河南、云南、四川、湖南、陕西、贵州、河北、山东等地,生长于海拔150米至3,100米的地区,见于灌丛中、林下、林缘、山坡草丛、田野溪旁或路边,尚未由人工引种栽培。本种供药用。




糙叶败酱( Patrinia rupestris Juss.subsp.scabra H.J.Wang),败酱科植物,多年生草本,茎丛生,茎上部多分枝,叶对生,裂片倒披针形、狭披针形或长圆形,聚伞花序顶生,呈伞房状排列,花小,黄色,花冠合瓣,果实翅状,卵形或近圆形,种子位于中央。




岩败酱 Juss.),中药名。为败酱科植物岩败酱的全草。分布于东北、内蒙古、河北、山西等地。…




白花败酱入药始载于《神农本草经》,以后历代本草均将其收入。其根茎、根及全草均可人药,性味苦、辛、凉…
























