库页岛鲟(学名:Acipenser medirostris Avres),吻须较长,后伸接近上颌。第1鳃弓鳃耙少于30枚。体侧骨板22~36枚。大型肉食性鱼类,主要在海中生活,每年秋季溯河产卵。幼鱼以底栖昆虫及小型鱼类为食。经济意义和施氏鲟相近,但在我国仅属偶见种类。分布于太平洋亚洲沿岸和美洲沿岸,我国见于图们江水系 。
基本信息

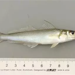
背鳍36—40,臀鳍25—29。背侧骨板8—10,体侧骨板22—36,腹侧骨板6—8。鳃耙18—20。吻尖三角形。口腹位,横裂状,下唇中间中断。吻须较长,后伸接近上颌。第1鳃弓鳃耙少于30枚。体侧骨板22-36枚。最大全长205cm,体重61kg。大型肉食性鱼类,主要在海中生活,每年秋季溯河产卵,产卵场选择砾砂底质河段,怀卵量80-240万粒,卵径约3毫米。体侧有5纵列骨板,尾鳍不对称,吻长,无牙,吻下具四条触须;以须搜寻水底的无脊椎动物、小鱼和其他食物。库页岛鲟可长得很大并且寿命很长,欧鳇(Huso huso或Acipenser huso)可活200∼300年。大多生活于海中,于春夏季上溯入河(可能几年一次)产卵。卵小,黏性,数多。幼鱼以底栖昆虫及小型鱼类为食,生长迅速,成熟后生长速度减慢,但生长持续数年 。

溶氧量:
库页岛鲟对溶氧量要求较高,一般要求水中的溶氧量在5毫克研以上。如果当水中溶氧量下降至4毫克/l时,库页岛鲟的食欲就下降;当溶氧量继续降至3毫克研或降至3毫克/升以下时,库页岛鲟摄食量迅速减少,甚至停止摄食,严重者发生活动迟缓、昏迷、甚至窒息死亡。值得指出的是,水的溶氧量变幅大的肥水,不应作为培育库页岛鲟仔、幼鱼的水源。
pH:
库页岛鲟适宜于在pH为7.0~8.0的弱碱性水中生活。当pH下降时,就意味着水中二氧化碳的增多,酸性增大,溶氧量降低,这对于要求较高溶氧量的库页岛鲟不利;当pH过高时,会使水中氨氮毒害作用加大,对于养殖库页岛鲟也不利。
盐度:
库页岛鲟为广盐性鱼类,耐盐度范围较广,在自然条件下,往来于咸水与淡水水域之中,在淡水中繁殖,在海水里生长。
光照强度:
在垂直游泳阶段,鱼苗有极强的趋光性。转为底栖后,趋光性消失。一般光照强度对仔、幼鲟的培育没有明显影响,但要尽量避免夏天强光直射水池而引起水温的急剧上升,养殖水池上方要设置遮阳设施。
底质:
仔、幼鲟对底质的要求较高,要求池底很光滑,无污染;成鲟对底质的要求不很严格,泥沙底质即可 。

分布于太平洋亚洲沿岸的俄罗斯远东地区、日本北海道、朝鲜、日本海沿岸,美洲沿岸从阿拉斯加到加里福尼亚。在我国偶见于图们江河口。中国见于图们江水系。

经济意义和施氏鲟相近,但在中国仅属偶见种类。鱘肉质肥美,卵可制鱼子酱,鳔可制作鱼胶,所以很容易捕捞过度,故在一些地区捕鱘受到严格限制。
库页岛鲟的经济价值主要表现在以下几个方面:
1.食用:经试验,人工淡水养殖的.体重在5公斤以下的活体,肉质优于三文鱼,吃生鲜,嫩、滑、爽,优于龙虾,其软骨(鲟通体软骨)、皮、鳍、肝、肠等可烹制成30余道风格各样的美味菜肴,在国内和日本具有广阔的市场前景。初期价位预期在400元/公斤,最终价位应在100元/斤以上。
2.药用和保健品:库页岛鲟软骨具有抗癌作用。据加拿大和美国的一些最新研究表明,在2013年前,某美国库页岛鲟养殖有限公司已经开始与加拿大某研究所合作,进行美国高首鲟抗癌药剂的研制的开发。此外,库页岛鲟鳃具有清热解毒的特殊功效,库页岛鲟油具有治疗烫伤特效,长期食用库页岛鲟,对久治未愈的腰痛、胃病和脱发等,均具有显著疗效,其药理有待于研究。
3.制革(库页岛鲟皮):由于世界库页岛鲟的数量稀少,且要求专门的制作工艺,例如在2013年前美国仅仅只有2人掌握了库页岛鲟皮革制作工艺,仅在俄罗斯具有库页岛鲟皮革的加工和生产。
4.鱼籽酱:食用鱼籽酱起源于欧洲,由于鱼籽酱稀少.味道特美,逐渐演变成皇宫贵族和富商的专业食品,食冰上鱼籽酱,同带昂贵钻一样,成为了显示显赫身份的象征,使鱼籽酱的价格奇高不下。六十年代至八十年代,世界鱼籽酱的总生产量在300-600吨之间,进入二十一世纪以来,由于俄罗斯里海库页岛鲟产量的下滑,产量不足100吨,供货十分紧张,给库页岛鲟养殖生产鱼籽酱带来了契机。
5.观赏:库页岛鲟类一般都体形硕大,体被5行骨甲,形态奇特,是一种高档的观赏动物,将是各地水族馆竞相购买的对象。
6.食用:可红烧或糖醋,也可适量的蒸炸。

早在20世纪40年代,库页岛鲟的资源量就很少,对库页岛鲟的捕捞主要是在俄罗斯的河流中,年捕捞量0.6—0.7 t。1983年库页岛鲟被列入俄罗斯红皮书,从此禁止捕捞。据1995年发表的文献,库页岛鲟的资源量已进一步下降,许多河流的库页岛鲟种群已基本消失,目前只发现库页岛鲟在Tumnin河产卵。1990年报道每年只有约100尾的库页岛鲟进入Tumnin河产卵。1994年报道每年进入Tumnin河产卵的库页岛鲟只有几十尾。有人曾预计如不采取特别保护措施,Tumnin河中的库页岛鲟种群也将消失。
按照IUCN(1994)评估标准和1996年的评估结果,库页岛鲟处于濒危级(EN)。
导致库页岛鲟资源稀少并不断下降的主要原因是库页岛鲟幼鲟觅食的河口中食物的缺乏,其次是人类的非法偷捕。但也有人认为,库页岛鲟只在具有河口的小型河流中产卵,产卵场有限,繁殖力小,这是导致库页岛鲟自然资源稀少的主要原因;而库页岛鲟资源的进一步枯竭,首要原因是偷捕活动。例如,在Koppi河,20世纪50年代初期,一个小网就能捕得数尾成鲟,如今Koppi河中的库页岛鲟种群已基本消失。在库页岛鲟进行产卵洄游的河流,渔民熟知库页岛鲟聚集栖息的场所,他们可以捕走绝大部分成熟个体。渔民在捕捞大马哈鱼时也常误捕了不同年龄的库页岛鲟。此外,Tumnin河下游的油污、上游的矿污也是库页岛鲟的致危因素 。















