






暗褐蝈螽又名“吱拉子”,属直翅目螽斯科。外形与优雅蝈螽相似,但比其小。翅膀超长,超过身体。雌性略大…




中华蚱蜢,有夏季型,秋季型。直翅目,蝗科。别名尖头蚱蜢、括搭板。在中国通常叫蚱蜢,有一些地区称其为…




日本似织螽一种昆虫,体中等。头顶显著短、狭,侧面观近水平,稍波状。复眼圆形,突出。…




长裂华绿螽体长♂23.0~28.0mm,♀26.0~29.0mm。体较大。头顶侧扁,背面具沟。




学名 Teleogryllus emma 属直翅目,蟋蟀科。…




疣蝗,Trilophidia annulata ,直翅目斑翅蝗科疣蝗属的一种蝗虫。体黄褐色或暗灰色,…




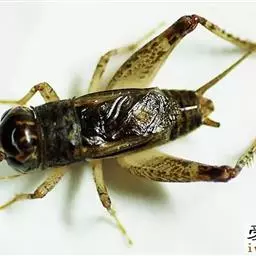
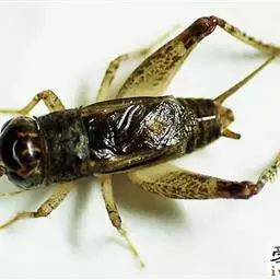
俗名别名 油葫芦、北京油葫芦、天津黑虫、麦田褐蟋蟀




斗蟋是蟋蟀科、斗蟋属昆虫的通称。全世界记载有110余种。中国记载9种。身长10-20毫米不等,…


















