刀鱼,学名长颌鲚,又称刀鲚,毛鲚,是一种洄游鱼类。刀鱼平时生活在海里,每年2-3月份由海入江,并溯江而上进行生殖洄游。每当春季,刀鱼成群溯江而上,形成鱼汛。 体形不大,但数量甚多,产量很高,是沿海常见的经济鱼类。
主要分布于我国黄渤海和东海一带,凡通海的江河如辽河、海河、黄河、长江、钱塘江等均能见到。据资料记载,我国刀鲚主要分为江海洄游型和湖泊定居型2个生态类群,前者按水系又分为长江、钱塘江等几个生态型。 长江刀鱼是小眼睛、黄背、鳞片发白亮,光泽度高,且鱼身圆润、有肚,整体白里透。而海刀则鱼背发青黑,海刀和钱塘江刀类似,一般头尾发红、青背、身材细长。湖刀则是刀鱼中稀少罕有的“大眼睛”,且周身鳞片发白,光泽度不佳。
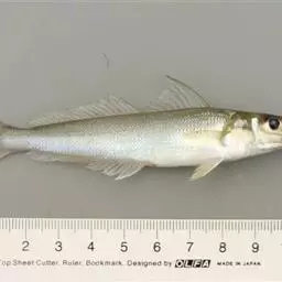
农谚有“春潮迷雾出刀鱼”,是春季最早的时鲜鱼。刀鱼体形狭长侧薄,颇似尖刀,银白色,肉质细嫩,但多细毛状骨刺。肉味鲜美,肥而不腻,兼有微香。
作为“长江三鲜”之一的刀鱼,具有极高的营养价值。每100克刀鱼就含有18.4克蛋白质和4.6克脂肪,另外还含有磷、铁、钙、锌、镁及维生素A、B1、B2等多种营养成分。
基本信息

刀鱼体侧扁而长,前部高,向后渐低;背缘平直,腹缘有锯齿状棱鳞。头短 刀鲚 小,侧扁而尖。吻钝圆,突出。眼较小,近于吻端。眼间隔圆凸。鼻孔每侧2个,距眼前缘较距吻端为近。口大,下位。口裂斜行。幼鱼时上颌骨短,向后伸到鳃盖附近;成鱼时上颌骨向后伸达胸鳍基底,上颌骨下缘有小锯齿。辅上颌骨2块。齿细小,两颌、犁骨、腭骨均有齿。鳃孔宽大。鳃耙细长。左右鳃盖膜相连,与峡部不相连。肛门靠近臀鳍前方。
刀鱼体被薄圆鳞。无侧线。
刀鱼背鳍中等大,约位于体前半部中间,起点稍后于腹鳍起点。背鳍基前方有一小棘。臀鳍基部甚延长,与尾鳍下叶相连,起点距吻端较距尾鳍基底为近。胸鳍位稍低,上缘有6游离鳍条,延长为丝状,伸过臀鳍基底前1/4-1/2处。腹鳍小,起点距鳃孔较距臀鳍起点为近。尾鳍不对称,上叶长于下叶。
刀鱼体银白色。背侧颜色较深呈青色、金黄色或青黄色。腹部色较浅。尾鳍灰色。

每年春季2月下旬至3月初成群的个体由海进入江河及其支流或湖泊中进行产卵洄游。当年孵出的幼鱼顺流而下,在河口或咸淡水中生活,次年下海生长和肥育。以挠足类、枝角类、轮虫等浮游动物为主要食物,此外也食小鱼的幼鱼;摄食的种类常与栖息地及鱼体大小有关。
3龄鱼体性成熟,5月下旬常在流速缓慢的淡水河湾处产卵。在鱼苗和幼鱼 刀鱼 期生长速度较快,每天平均可长1mm左右;同龄成鱼生长速度差异较大,1-3冬龄的鱼体,雄鱼体长和体重幅度一般大于雌性,其最大值也比雌性大;4冬龄鱼的体长和体重,已达到最大生长限度、体长可达410mm,体重可达360g;5龄鱼的体长、体重都不再增长。
刀鱼寿命不长,一般为4-5冬龄,最长不超过6冬龄。由于栖息地环境不同,而分成许多地方种群。
长江刀鱼
长江刀鱼在海洋不集成大群,多分散在沿海及附近海域的底层,属近海底栖鱼类。进入长江口附近才逐渐集成大群,由底层上升到中、上层。多栖息在水流混浊的水域中,清水中较少。生殖洄游时停止摄食。
钱塘江刀鱼
钱塘江刀鱼在海洋不集成大群,常与长江刀鱼混生。进入杭州湾才逐渐集成大群,形成渔汛。生殖洄游时停止摄食。
黄河刀鱼
刀鱼上溯期间不摄食,入东平湖后,又重新摄食。至6月初(芒种前后)产卵,产卵后部分亲鱼顺流而下,陆续回海,一部分继续在湖区摄食一段时间之后再降河入海。
上溯的鲚鱼大体分为3个大群:清明至谷雨之间的一群个体较大,全长可达450mm;谷雨至小满之间的个体较小;小满至芒种之间捕获的小个体超过80%。幼鱼出湖降河洄游,也分为3个群体。约在农历八月十六形成头群,群体小,体长100-120mm;九月初形成中群,群体最大,体长60-80mm;末群在十月下旬,群体次之,体长为30-50mm。但是,组成这种群体的个体大小并不一定。
定居型刀鱼
定居型刀鱼多生活在湖泊内水流平缓水质混浊水体的表层和中层。成鱼分散,不集成大群。鱼苗和幼鱼数量很多,常集成大群,生活在水体表层,是捕捞对象。不行生殖洄游,繁殖期仍摄食。

长江刀鱼
长江刀鱼属肉食性鱼类。稚鱼和幼鱼通常栖息在上、中层,主要摄食 刀鲚 小型甲壳动物及其幼体如桡足类、枝角类等;成鱼栖息较深水层,主要以大型甲壳动物如虾类和其他大型动物如多毛类、银鱼、梅童鱼、黄鱼、鲳鱼、乌贼等的幼体或成体为食。
钱塘江刀鱼
钱塘江刀鱼食物中主要由虾类、枝角类、鱼类、桡足类、昆虫等动物组成;植物性种类在食谱中只有极少量如丝状藻类。食物组成中,枝角类和虾类的出现率最高,但虾类的数量远远超过枝角类;桡足类和昆虫的出现率虽超过50%,但数量却较少;鱼类的出现率尽管只占40.4%,但数量却较多,与虾类相近,轮虫和原生动物出现率较低,数量较少。
黄河刀鱼
它的食物以虾类和小鱼为主,亦食软体动物。此外,还摄食带入的草根、种皮、泥土等。
定居型刀鱼
刘恩生等分析太湖湖鲚渔获量变化与生物环境间相互关系时,发现湖鲚主要以浮游动物为食,其中以枝角类为主。唐渝¨¨研究太湖湖鲚种群数量变动及合理利用时,发现湖鲚的胃容物包括原生动物、水蚤、轮虫、贝介类的幼体、虾蟹幼体、鱼卵、低等藻类,以及湖鲚本身的幼鱼等30多种。体长小于130mm的湖鲚以枝角类、桡足类为主;体长超过131mm时,饵料中出现经济鱼虾,但131-170mm体长组的饵料中经济鱼虾出现频率低,当体长增长至170mm以上,饵料中经济鱼虾相对密度急剧上升。

长江刀鱼
袁传宓等以鳞片为主要材料,对照耳石、胸鳍鳍条,比较全面地研究了长江刀鱼的年龄和生长,指出长江刀鱼鳞片的生长和体长的增加基本上成正比关系。其鱼苗和幼鱼的体长增加较快,至11月,幼鱼最大个体约达200mm;而成鱼体长增加速度逐渐减慢,最大个体仅410mm。但随着年龄的变化,其体质量却显著增加。长江刀鱼寿命不长,一般只有4-5冬龄,最大个体不超过6冬龄。郭弘艺等提出,矢耳石质量可作为直接确定长江刀鱼年龄或验证依据钙化组织判断年龄准确性的有效手段。
钱塘江刀鱼
4月下旬至5月下旬是刀鱼年龄形成的主要时期。1龄刀鱼的雌雄体长 刀鲚 和体质量生长速度较接近,2龄开始,雌鱼的体长和体质量生长比同龄雄鱼快;雌鱼和雄鱼体长生长指标均以1-2龄较快,2龄以后生长速度减慢;体质量增长随着年龄增大而加快,到4龄时仍无减慢趋势;年增积量1龄雌雄鱼均较低,2-4龄均较接近。钱塘江刀鱼成鱼最大个体体长为362mm,体质量173g。年龄最大为5冬龄,常见的小于4冬龄。
黄河刀鱼
蔡德霖等指出,夏季黄河刀鱼鳞片上有清晰的年轮,与生殖轮相符。体长随年龄的增长而增长,1-2龄鱼生长速度最快,之后随年龄的增加而减慢。平均体长:1龄鱼117.8ram,2龄333.5mm,3龄345.5mm,4龄超过390.3mm。黄河刀鱼溯河时的平均肥满度为0.33g/ram。
定居型刀鱼
孙雪兴等研究太湖湖鲚年龄与生长时,发现湖鲚鳞片年轮系1年形成1次,主要在4-6月,体长与鳞径的关系式为L=18.658+118.06尺,体质量生长曲线的拐点为2-3龄。湖鲚2龄鱼以前,体长和体质量相对增长率与生长指标较大,2龄以后则相反。唐渝得出了湖鲚体长和体质量的生长方程,指出湖鲚体质量生长的拐点年龄为2.548。湖鲚约3个月体长可达100mm,成鱼最大个体体长为340mm,体质量155g,最大年龄为4冬龄。

长江刀鱼
每年2-9月,长江刀鱼分批从海洋进入长江,上溯至产卵场进行繁殖。
长江刀鱼的产卵场分布范围较广,可上溯至距长江口1400km以上的湖南省洞庭湖一带,产卵场多为水流平缓、水质混浊、泥砂底质的地方。产卵时对自然环境要求不十分严格,水温约15-27.5℃,流速0.057-0.075m/s,溶氧6.20-8.24mg/L。透明度38-65cm。
长江刀鱼属一次性产卵鱼类,1-2龄性成熟。成熟最小型的雌性体长20.5cm,体质量27g;雄性体长21.0cm,体质量30g。绝对怀卵量1368-77500粒,平均23695粒,产卵量约为怀卵量的90%一98%。浮性卵,卵径约0.8mm。
钱塘江刀鱼
每年6-7月分批进入钱塘江,上溯至桐芦一带。
曹娥江刀鱼对产卵场选择不甚严格H。产卵场多在呈S形或腰鼓形江段,水深2.4-19m,底质为泥质和砂质,产卵时,水温19-22℃,溶氧6.20-8.24mg/L,透明度38-65cm。产卵群体以1、2龄占绝对优势,3、4龄鱼比例极少。钱塘江刀鱼1龄性成熟。成熟最小型的雌、雄鱼体长均为12cm,体质量分别为5.5g和5.0g。绝对怀卵量4000-87500粒,一般10000-25000粒。
黄河刀鱼
黄河刀鱼每年4月自黄河口上溯,东平湖地区是其主要产卵场。成 刀鲚 鱼陆续洄游,3龄鱼占89%,是洄游鱼群的主体,2、4龄鱼约占10%,无1龄鱼。
黄河刀鱼生殖腺在春季(4月)之前均处于第Ⅱ期,上溯途中迅速发育,至济南地区达第Ⅲ期,到东平湖时,Ⅲ期以上的达97.3%。6月中旬,生殖腺均处于Ⅳ至Ⅵ期。成熟卵径0.67-0.69mm,怀卵量39453-67442粒,平均4.9×104粒。产卵量约为怀卵量的96%-98%,平均4.5×104-4.7×104粒。
定居型刀鱼
湖鲚4-10月在湖泊内产卵,5-6月为盛期。无固定产卵场,静水缓流的地方较多。性成熟早,体长约70mm即参加产卵群。体长约100mm的个体,产卵量约3000粒;体长约300mm的个体,产卵量可达4.0x104-6.0×104粒。
湖鲚产卵与水温密切相关,一般随水温升高,性腺发育加快,生殖最适温度为19.7-27.2℃,生殖盛期在5-7月。生殖群体主要由0龄和1龄组成,超过3龄的高龄鱼在生殖鱼群中百分比很低。生殖鱼群的优势体长雌、雄鱼分别为80-120mm和90-130mm;优势体质量组雌、雄鱼分别为2.5-5.0g和3.0-6.0g。

刀鱼主要分布于我国渤海、黄海以及东海区域,大多栖息于浅海以及河口一带。在每年春季达到成熟期的个体聚集成群,然后由海游入长江,沿江逆流而上进行生殖洄游,栖息于江内及其支流等水体中。
长江刀鱼
长江刀鱼在长江中下游分布甚广,从长江口直至洞庭湖一带,包括各通江河道和湖泊。在海洋里主要分布在近海。
钱塘江刀鱼
淡水中主要分布在钱塘江桐芦以下的干流里,海洋中主要分布在浙江沿海和舟山群岛一带。
黄河刀鱼
黄河刀鱼于每年早春进入渤海湾,清明前到达黄河口附近作短期停留,就地摄食,清明前后入河口上溯,大多进入东平湖,少数上溯至开封附近。
定居型刀鱼
定居型刀鱼只分布在长江下游及附属湖泊中,以太湖、巢湖等为主,凡长年通江的湖泊几乎很少见到。据已有的资料,太湖湖鲚分布上限为巢湖,但已向洪泽湖、淮河和附近水库扩散。

长江刀鱼体色呈银白色,背部一般分为青灰、淡黄和青黄交杂3种,渔民称它们为“青背”、“黄背”和“花背”;而钱塘江、黄河和定居型刀鱼(湖鲚)无“青背”、“黄背”和“花背”之分。我国刀鱼的分类界限比较模糊。袁传宓等在探讨我国鲚属鱼类分类时,指出我国鲚属鱼类共有4种:即刀鱼、短颌鲚、凤鲚和七丝鲚。其中刀鱼分洄游型和定居型两类。然而,他在1980年又指出湖鲚为刀鱼的一个亚种。唐文乔等从线粒体控制区全序列变异分析短颌鲚和湖鲚的物种有效性时,指出我国鲚属只有3个有效物种:即凤鲚、刀鱼和七丝鲚。其中以凤鲚最为原始,刀鱼和七丝鲚则是凤鲚在演化过程中分别适应寒冷和温暖气候而分化出的物种。而短颌鲚和湖鲚为刀鱼的淡水生态型,并非有效物种。

长江刀鱼
历史上长江刀鱼资源极其丰富,但由于过度捕捞,水域生态环境变化等,其资源已受到威胁。据资料记载,1973年长江沿岸刀鱼产量为3750t。1983年约370t,2002年的产量已不足100t。2005年的产量仅为50t。20世纪70年代,长江刀鱼种群中3-4龄个体未超过80%,平均体质量为117.7g,平均体长为314.5mm。而近几年则以1-2龄个体为主,平均体质量为50-100g,平均体长小于200mm。1973-1975年,长江刀鱼性成熟年龄平均为2-3龄,近几年来其性成熟平均年龄显著提前,多为1-2龄。早期长江刀鱼肌肉中含脂量为15.8%-30.0%,蛋白质14.0%,磷1.1%。近年来,其肉质鲜美程度明显下降,体内残毒含量显著增加。
定居型刀鱼
定居型刀鱼只分布在长江下游及其附属湖泊中,其中以太湖、巢湖等为主。周汉书等发现巢湖和太湖的湖鲚由1952年占总渔获量的28.6%和约15%上升至1972年的70%-80%和57%。刘恩生等将太湖湖鲚渔获量变化分为相对稳定和快速增长2个阶段:1973-1994年平均为(6156.0±1182.1)t;1994-2002年上升至19571t。
存在的问题:
过度捕捞,产量下降,种群低龄化;
生态环境恶化,洄游通道及保育场破坏;
大量捕捞幼鱼,资源再生困难。

为了更好地保护刀鱼群体的正常生长和繁殖,保障刀鱼群体的资源量,可以从以下方面着手 :
①应大力加强禁渔期的管理,严格遵守禁渔期的各项法律法规(如渔业保护条例等),实行合理捕捞,严格控制捕捞强度并对捕网网目大小作出严格规定,对于违反规定任意缩小网目者实行严惩,以更好地实行科学捕捞、保护刀鱼幼鱼资源,进而实现刀鱼资源的可持续利用。
②在各方面条件允许的情况下,可以对刀鱼产卵场划定保护区,并严禁随意围垦,同时注意保护区内水体环境的保护,防止水环境污染的发生,以使刀鱼群体资源得到更好繁衍及恢复。
长江刀鱼自然资源量逐年锐减,衰竭严重,其种质保护与繁育研究已十分迫切。人工增养殖和育苗放流是减少捕捞、增加种群数量快速有效的方法。但自然水体种群的恢复必须同时辅以刀鱼洄游通道、产卵场、保育场等重要水体生态的修复,科学合理和规范化的捕捞管理措施等多方措施的有效结合,方能实现刀鱼种质资源的恢复及可持续开发利用。

选址
选择生态环境良好、水源充足、空气清新、周围无工、农、生活垃圾等污染源、交通供电便利、生产配套设施齐全的养殖池塘。
水源、水质、底质
取水水源符合GB11607-1989的规定,养殖水质符合NY50512001规定。养殖水溶解氧在6.0毫克/升以上,pH值在6.8-8.5。底质无异色、异臭、自然结构,无工业废弃物、大型植物碎屑和动物尸体。
池塘条件
养殖池面积宜2000-3300米2,形状宜长方形,长、宽比(2.5-3.5):1。池底向排水口方向倾斜,池坡用绿纱网片护坡。各池独立设置进、排水闸门,进、排水管相对设置。排污孔设在养殖池池底的最低端,用管径25-35厘米的聚乙烯管与排水系统相接。整个养殖池进、排水系统全部用管径35-40厘米的聚乙烯管。排水管出口处设溢水口控制水位。池深2.0-2.8米,养殖水体保持在1.8-2.5米。池面可采用超强尼龙线设置简易防鸟设施,池四周采用丝网或绿纱网片阻拦各类敌害生物进入养殖池。
配套设施
备用水源池应能完全排干,水容量为总养成水体的1/3以上。备用水源池中需在进水口区域规划种植部分净化能力强的水生植物,同时进行水体持续曝气,建立水生植物净化系统,冬季作为储备水源。
增氧方式:可为微孔增氧、水车式、叶轮式增氧多种。水车式增氧机每2000m2设置1台,叶轮式增氧机每3000m2设置1台。视条件许可设置微孔增氧,增氧机功率按养殖面积和要求配置,并配有备用机组。
大规格鲚种培育池:大规格鲚种培育池面积配备,一般为主养池面积的30%-40%。
生物饵料配套池:一般按池塘主养池1:3配套,并按刀鱼养殖进程和规格进行塘口安排,养殖过程中依据鱼种培育和商品养成两个阶段进行,每阶段均需分3-5批培育生物饵料。包括养殖池在刀鱼鱼种下池前均可作为生物饵料池用。
自动监测:应用物联网技术,配备水质在线自动检测设备一套,每天24小时对养殖水体水质动态实时监测和预警,显示水体溶氧、温度、pH等常规理化指标。
废水处理池:面积宜为养殖池的10%-20%。采用曝气、颗粒过滤、沉淀等技术或建立生态处理系统使养殖废水达到国家排放标准。
备用发电机组:根据养殖规模配备相应的备用发电机组。
为提高其培育效果,采取“稀放、密养”的方法,即鲚种放养密度不能太高,生物饵料密度要丰富充足。鲚种培育还不能完全像其他淡水鱼那样在池塘中投喂商品饲料或肥水法等培育。因此,鲚种培育技术的好坏直接关系到刀鱼养殖成活率的高低。鲚种培育主要包括清塘、生物饵料培育、放养、管理等几个方面。
清塘、消毒
新建养殖池,需注满池水15天左右,老旧池塘需清除过多的淤泥,晒塘15天以上注入新水。然后用生石灰(带水)、氯制剂、碘制剂或茶籽饼消毒。
注水
鲚种下池前10天注入新水,用100目的筛绢网过滤。进水取用水源池中经充分曝气、消毒的水,春秋水深1.2米以上,夏冬季水深2.2米以上,水体的溶解氧应在6毫克/升以上,pH为6.8-8.5。
生物饵料的专池培养
生物饵料培育以鱼虫(枝角类、桡足类等)培育为主。鱼虫培育的数量是否满足刀鱼幼体生长需求,将直接影响刀鱼幼体的生长和质量。
鲚种放养
苗种来源:一是长江捕捞的天然鲚种,经鉴定、消毒,剔除小杂鱼、活力差的苗种,选择6-10厘米、规格整齐、活力好的刀鱼种。二是自行繁育的鲚种。选种要带水操作,动作要轻稳、快速、小心。
鲚种消毒:10‰-12‰食盐水中消毒30分钟(视水温高低做相应调整)以上,后用装有配制好盐水的容器移入养殖池中。
放养密度:放养规格为5-8厘米的,放养密度为每平方米3-5尾。规格为8-12厘米的,放养密度为每平方米2-4尾。
水温要求:刀鱼放养或移池时,对养殖水体水温要求严格,温差应控制在2℃范围内。
生物饵料
以池塘培育的鱼虫(枝角类、桡足类等)为主,在刀鱼鱼种下塘时,保持池塘轮虫高峰期,作为刀鱼下塘时的初期饵料。中后期生物饵料密度不足时,及时从外源培育池采集补充。
管理
为有效提高培育效果,生产中一般采用鱼虫、微粒子颗粒饲料、小鱼虾综合投喂的方法,充分满足刀鱼鱼种生长阶段的营养需求。饵料投喂做到定时、定质、定量。遵循“鱼虫高峰下塘,微囊饲料常量,适口小鱼虾促长”的原则进行。鲚种入池后,次日上午开始投喂鱼虫或小鱼苗等生物饵料。鱼虫投喂密度为5-8个/毫升,每天8:00和17:00投喂,投喂前饵料用5‰食盐水消毒2-3分钟。鲚种下池集群后,开始投喂微囊颗粒饲料,日投喂量为1%-3%,视水温高低进行调整。投喂小鱼苗时,应选择长条形,规格小于鲚种的1/5,3-5天投喂1次,投喂量视吃食情况增减。高温季节,每周加注新水2-3次,冬春季节,每星期加注新水1-2次。每次添加10-20厘米,达到最大水位后每次换水20厘米,保证水质清新。每月进行杀虫灭菌1次,做好病害预防工作。
商品鲚养殖是把体长约10厘米及以上规格的刀鱼种饲养成体重100克以上的商品鱼的过程。这一过程需1-1.5年。养殖模式分主养和套养两种。
放养
鲚种体长至10-16厘米、体重在2.8-12.6克/尾时,用密眼网捕获,将鲚种用盆带水操作,转至事先准备好的养殖池中,放养密度:主养池每平方米1.5-2.5尾,套养池每平方米0.2-0.3尾,主养池的前期准备工作按饵料鱼培育池执行。
饵料鱼培育
饵料鱼苗培育是将鱼苗养成全长1.5-3.5厘米的鱼种,饵料鱼培育期一般为20-60天,饵料鱼是否适口与适时衔接直接影响刀鱼养殖的成败。
日常管理
饵料投饲:主养池以生物饵料为主,并根据不同塘口、不同规格的刀鱼选择不同种类的饵料生物。
①饵料鱼品种:凡是没有硬棘、长条形且适口的小鱼虾以及轮虫等均可作刀鱼的饵料。以选择体形细长、成本低廉、繁育容易的品种为好。
②饵料鱼来源:池塘主养刀鱼,密度相对较高。在商品鲚生产中,主要以饵料鱼为食。饵料鱼来源一般可以通过养成池培育、配套专池培育、购买等途径加以解决。
养成池培育:前期饵料鱼培育,即在鲚种放养前15-20天(视鲚种规格大小确定),利用这段空间在池塘中培育前期饵料鱼。培育轮虫或每亩投放饵料鱼苗100万-300万尾,以供刀鱼前期摄食,从而获得比较理想的养殖效果。
配套池培育:规模养殖刀鱼时,其饵料鱼的解决途径主要来源于专池培育。据测算,1亩刀鱼单养池需配备3-4亩饵料池。一般采取分批高密度放养、分批起捕、按需拉网的方法,保证饵料鱼与刀鱼同步生长。对饵料鱼的生长规格,应采用调整密度和投饲量来加以控制。
购买:饵料鱼生产中,如遇发塘率(鱼苗培育成夏花的成活率)低、病害或灾害性天气等影响,应及时组织购买,确保饵料鱼供应的连续性。
③饵料鱼规格:为保证投喂的饵料鱼规格适宜,拟选择适口规格的饵料鱼、小虾等。刀鱼鱼种刚下池时,或在1-4月,拟选择鱼虫、小规格饵料鱼。刀鱼规格长至15厘米以上时,一般饵料鱼体长为刀鱼体长的1/10-1/5。同时要经常检查刀鱼的摄食和生长情况,并兼顾刀鱼生长的差异。
④投饵量:把体重12.0克/尾的大规格的刀鱼鱼种养至100克/尾以上的商品鲚,每天投饲量由占体重的30%开始,逐步减少到10%-5%,夏秋季水温在28-32℃时刀鱼生长旺盛,应适当增加投喂量;水温超过30℃,控制投喂量。冬季水温低,刀鱼活动减弱,投喂量相应减少。
⑤投喂次数:在水温较高、刀鱼快速生长期内,最好每2-5天投喂1次,使池塘中的饵料鱼苗基本保持合理的密度。10月份以后水温下降,一般7-10天投放1次。养殖期间,投喂时间间隔切勿过长,避免在塘载饵料鱼严重不足的情况下投喂,易造成刀鱼暴食而受伤害,甚至造成刀鱼死亡。投喂轮虫时,每隔1-2天投喂1次。随着温度降低,逐步改为5-7天投喂1次。
⑥消毒处理:所投饵料鱼必须先进行杀虫、灭菌处理后下池,投喂小虾、轮虫应使用5‰食盐水消毒3-5分钟。套养池,一般不需投喂,只是在生物饵料不足的情况下进行补充。
水质调控:整个饲养过程中水体溶氧最低保持在6毫克/升以上。每口池塘每2亩配备1千瓦增氧机(或微孔增氧设施)。春末和夏季每天12-15时开机增氧。7-8月份,每天后半夜须勤开增氧机。为保持水质清新,要适时注意加水换水。饲养期间水体透明度要求保持在40厘米左右。
定期查看(测定)水质指标,抽检水体溶氧、氨氮、亚氮等指标, 刀鱼 溶解氧保持6-8毫克/升,pH为6.8-8.5,水温12-28℃,氨氮≤0.05毫克/升,亚硝酸氮≤0.01毫克/升。
正常情况下,每3-4天换1次水,换水量最多不超过1/5。注换水时,随时跟踪水源水温,池水温差控制在2℃以内。夏季随着气温升高或养殖后期,增加换水次数,应改为每1-3天注换水1次,日换水逐渐增加到1/4,同样控制温差在2℃以内。养殖后期如能巧妙地利用刀鱼的自然属性,保持一定速度的微流水,则对提高刀鱼的养殖品味更具效果。正常情况下,要定期泼洒微生物制剂调控水质,一般每7-10天使用有益生物菌1次。
巡池:每天早、中、晚各巡池1次。每半月镜检1次发病塘口,按需跟踪检查,每天检测氨氮、亚硝酸盐指标1次。每月进行1次疾病预防,杀灭有害病菌和寄生虫。建立水产养殖生产记录档案。

刀鱼的脂肪含量高于一般鱼类,且多为不饱和脂肪酸,这种脂肪酸的碳链
较长,具有降低胆固醇的作用,是老人、儿童、孕产妇的理想滋补食品;刀鱼全身的鳞和银白色油脂层中还含有一种抗癌成分6-硫代鸟嘌呤,对辅助治疗白血病、胃癌、淋巴肿瘤等有益;刀鱼含有丰富的镁元素,对心血管系统有很好的保护作用,有利于预防高血压、心肌梗死等心血管疾病。
长江刀鱼含有丰富的蛋白质、脂肪,肌肉氨基酸组成基本符合FAO/WHO的评价标准;尤其是脂肪显著高于一般名特优鱼类,脂肪酸以不饱和脂肪酸为主;在肌肉游离氨基酸中,含有丰富的鲜味氨基酸,尤其含有高比例的活性氨基酸-γ-氨基丁酸。长江刀鱼是人类的一种营养均衡、味道鲜美、对人体健康有益的动物蛋白。
刀鱼味道鲜美,肉质细嫩,因而远近闻名,与长江鲥鱼、河鲍并称为“长江三鲜”。
食用注意
患有疮、疥的人还是少食为宜。
古代中医认为,刀鱼有养肝、祛风、止血等功能,对治疗出血、疮、痈肿等疾有良效;刀鱼鳞是制造解热息痛片和抗肿瘤的药物原料。鳞中含有多种不饱和脂肪酸,有降低胆固醇的作用。刀鱼适宜久病体虚,血虚头晕,气短乏力,食少羸瘦,营养不良之人食用,不仅能和中开胃,还有润泽肌肤、美容的功效。

刀鱼 为贯彻《国务院办公厅关于加强长江水生生物保护工作的意见》,落实长江流域重点水域禁捕工作部署,保护长江流域水生生物资源,根据《中华人民共和国渔业法》有关规定,对长江流域专项捕捞管理制度进行调整,现通告如下。
自2019年2月1日起,停止发放刀鲚(长江刀鱼)、凤鲚(凤尾鱼)、中华绒螯蟹(河蟹)专项捕捞许可证,禁止上述三种天然资源的生产性捕捞。
原农业部2002年2月8日发布的《长江刀鲚凤鲚专项管理暂行规定》(农渔发﹝2002﹞3号)同时废止。未来上述资源的利用,根据资源状况另行规定。















