多鳞鱚,Sillago sihama (Forsskål, 1775),鱚科鱚属的一种鱼类。主要分布于印度洋-西太平洋的热带海域,南非耐斯纳至日本,澳大利亚、加勒多尼亚、土耳其及我国沿海均产之,粤西地区产量较高。
基本信息

拉丁名: Sillago sihama (Forskål)
英文名: silver sillago,common asohos,smelt
多鳞鱚(Silver sillago)是沙尖鱼的学名,俗名为沙肠仔、kiss鱼 ,又称沙鲮、沙钻、船丁鱼、麦穗,北方地区常称沙丁鱼,规属海水鱼;肉质鲜美,既是经济性食用鱼又是著名的沙岸游钓鱼种。

多鳞鱚Sillago sihama (Forskål),属于鲈形目Perciformes,鱚科Sillaginidae,鱚属Sillago。
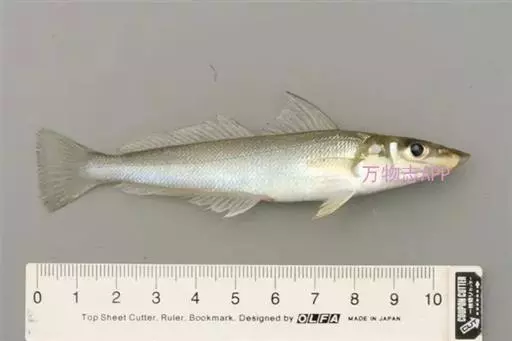
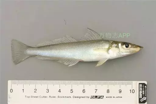
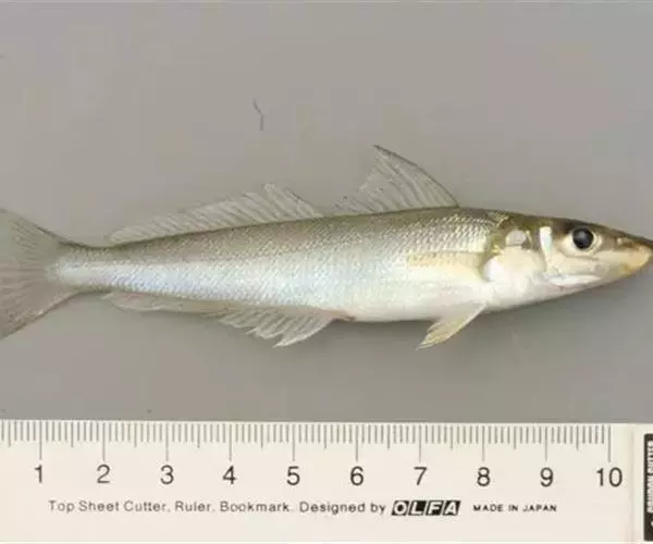
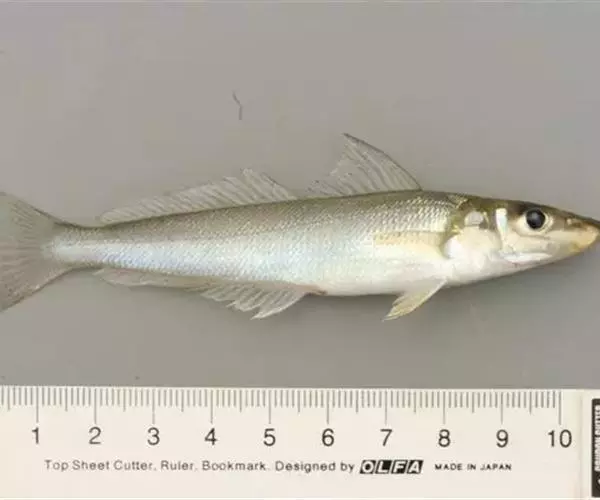
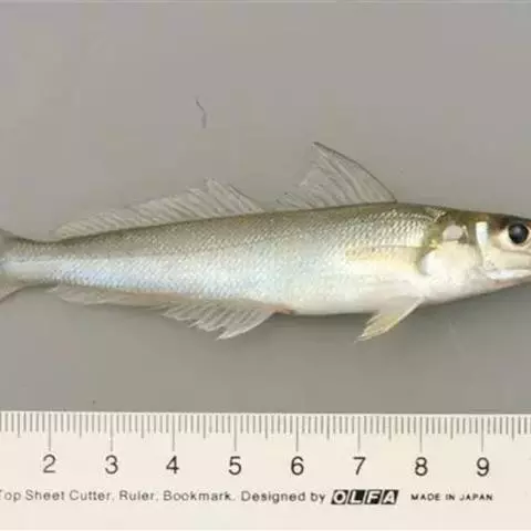
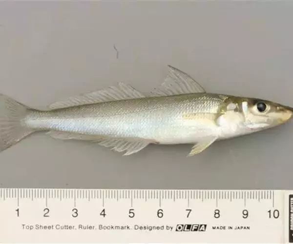
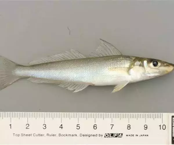
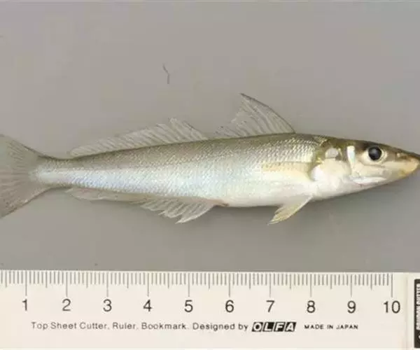
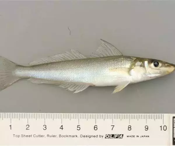
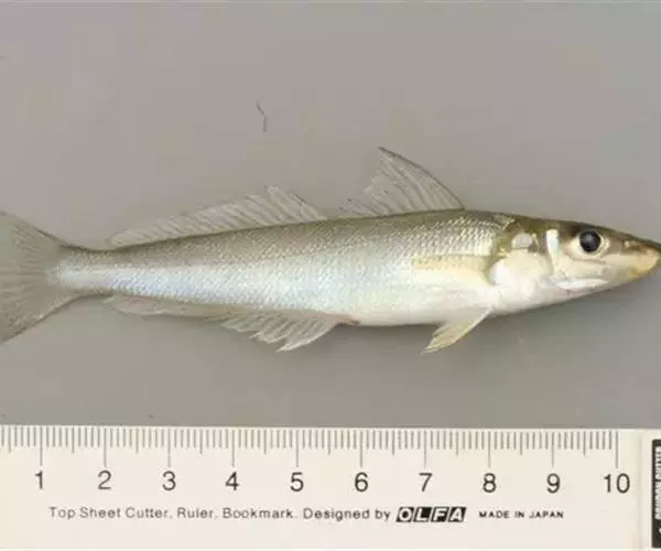
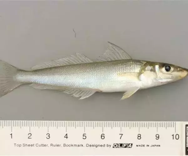
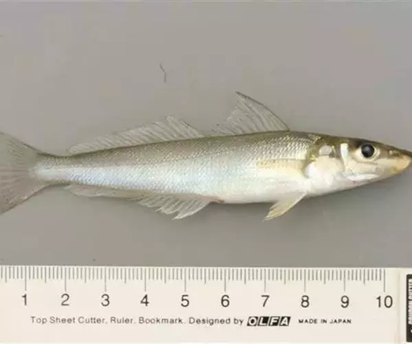
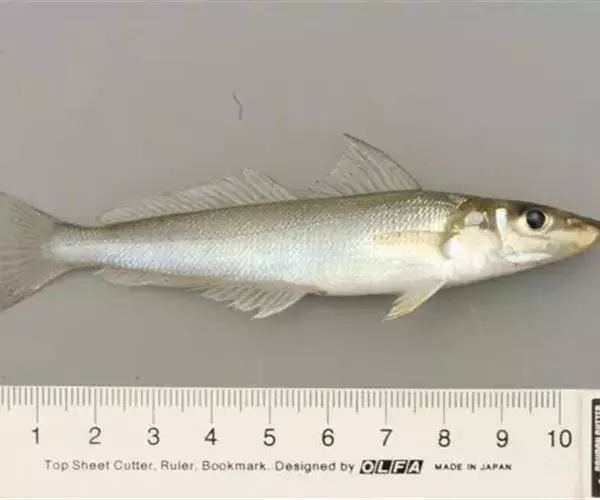
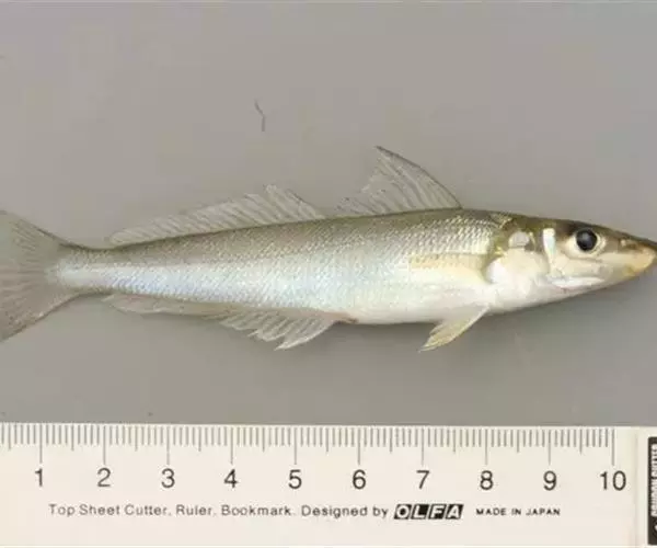
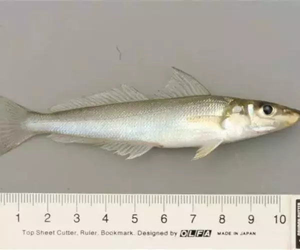
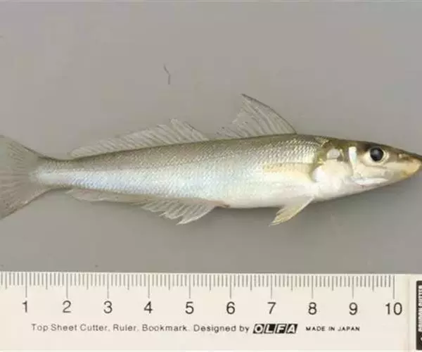
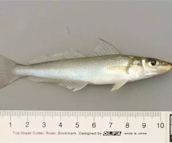
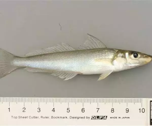
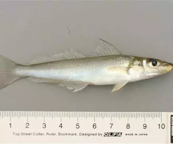
体呈细长圆柱形,略侧扁,头呈锥形,口小,眼大。鳞片细小极易脱落。鱼体背部黄棕色,腹部淡,尾鳍微凹。 多鳞鱚(Silver sillago)
主要分布于印度洋-西太平洋的热带海域,南非耐斯纳至日本, 大沙尖鱼 澳大利亚、加勒多尼亚、土耳其及我国沿海均产之,粤西地区产量较高。产卵期为春末至夏季,6~9月为繁殖高峰期,每尾雌鱼在凌晨可产下约2000粒的漂浮卵,且一年可多次产卵,约21小时後受精卵孵化。仔鱼和稚鱼为大洋性,形成鱼群,吃浮游生物。
大多活动於热带海滩、沿岸内湾,河口沙洲,有时进入淡水,栖息于1~60公尺海域;肉食性,主要捕食多毛类的蠕虫、小虾、虾和片脚类动物;性胆小,易受惊吓,当被惊扰时成鱼会潜入沙中躲藏。

体细长,略呈圆柱形,一般体长12~16厘米、体重10~30克、口小,吻钝尖,两颌牙细小成绒毛状、眼大、卵形。体被弱栉鳞,背部灰褐色,腹部乳白色。侧线明显,伸展至尾鳍。背鳍2个,分离,第二背鳍长并与臀鳍相对,无硬棘;尾鳍浅凹形、黑褐色;背、胸、腹及臀鳍均为浅灰色、体侧及各鳍无斑纹及斑点。

含脂肪高,清蒸、红烧、油煎及腌干蒸食均味美可口; 小沙尖鱼 据有关资料介绍,沙丁鱼中含有一种具有5个双键的长链脂肪酸,可防止血栓形成,对治疗心脏病有特效。

非洲凤凰是最早从马拉维湖出口的慈鲷之一。体长约15厘米,捕食性鱼类。幼鱼为鲜黄色,…




眼点丽鱼又称皇冠三间、孔雀鲈,为鲈形目,慈鲷科,丽鱼属一种淡水鱼类。…




背鳍有5根弱小鳍棘,向后顺序增长。侧线止于尾柄前方。体侧有5条横带;第一条最窄,自背部穿过眼径达到…




眼点丽鱼又称皇冠三间、孔雀鲈,为鲈形目,慈鲷科,丽鱼属一种淡水鱼类。…




六带鲹,学名:Caranx sexfasciatus ,鲹科鲹属的一种暖水性中上层鱼类,著名的游钓…




鳜鱼,汉语拼音:guì yú是一种家常的可以食用的鱼类,又名菊花鱼、鳜花鱼、桂花鱼、桂鱼、鳌鱼、脊…




巨石斑鱼,是鲈形目鮨科石斑鱼属鱼类。体型大,最大体长达2米,一般体型在600-700毫米。体延长,…




角镰鱼属镰鱼科,广泛分布于印度-太平洋及东太平洋区,自非洲东部到墨西哥,北至日本南部及夏威夷群岛,…
























