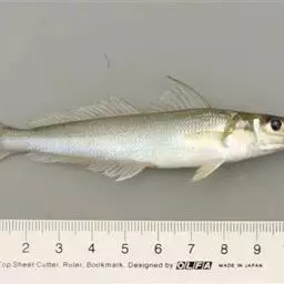
云斑海猪鱼,学名:Halichoeres nigrescens (Bloch et Schneider, 1801),为隆头鱼科海猪鱼属的一种鱼类。分布于印度洋非洲东岸、东至澳大利亚、北至日本以及中国南海、台湾海峡等海域。
基本信息

印度洋非洲东岸, 东至澳大利亚, 北至日本
南海, 台湾海峡

为广东沿海产海猪鱼中习见种。分布于印度洋和太平洋西部 ,包括台湾南部、北部、东北部及兰屿、绿岛、澎湖海域。
我国产于南海和东海南部。 生活于1~30公尺海域,喜栖息于独立礁或礁沙混合区,夜晚潜沙而眠。肉食性,以小型底栖无脊椎动物为主。具性转变。

侧线完全,但在体侧后向下弯曲。背鳍鳍棘9根。胸部鳞片小于体鳞片。上下颌有1~3对犬牙,两侧为1行锥形牙。口角处有1或2个犬牙。体侧有4~6条不规则的暗色动状斑。暖水性小型鱼类。栖息于沿海礁和珊瑚礁海区。以小型动物为食。体长一般100~150毫米。体色艳丽。体侧扁。幼鱼为浅灰色,体中央及尾柄具不均匀暗色横带,背鳍中央具眼状斑。成长後雌鱼体侧逐渐变白,头部、尾鳍及白斑都转为亮黄色;雄鱼则体为青褐色,眼斑消失,头部、背鳍与尾鳍都出现橙红斑或条纹。尾鳍截形。

云斑海猪鱼俗称青花,属暖水性小型鱼类。栖息于印度-太平洋海域沿海岩礁和珊瑚海区,肉食性,以小型动物(特别是小型底栖无脊椎动物为主)为食;夜晚则潜沙而眠。

红魔鬼鱼,学名为厚唇双冠丽鱼,也叫火鹤鱼,是慈鲷科丽体鱼属下的一种观赏鱼类。血鹦鹉鱼的父本鱼种。…




黄姑鱼是鲈形目石首鱼科黄姑鱼属鱼类。黄姑鱼身体延长而侧扁,耳石尖圆形,…




透红小丑,Premnas biaculeatus ,雀鲷科棘颊雀鲷属的一种鱼类。主要栖息于遮蔽的…




月鳢是鲈形目鳢科月鳢属鱼类,又称七星鱼、山花鱼、山斑鱼、张公鱼等。头大而宽扁;吻短而圆钝,…




黑鲷是鲈形目鲷科棘鲷属的一种硬骨鱼,俗称海鲋、青鳞加吉、青郎、乌颊、牛屎鱲、乌翅、黑加吉、黑立、海鲫和铜盆鱼等。体呈长椭圆形,侧扁,头中大,吻钝尖。口小,上、下颌等长;体被中等大的弱栉鳞,体侧通常有5~7条黑色条纹。背鳍棘坚硬,臀鳍第二鳍棘尤甚;体背部为灰黑色,侧线起点处有黑斑点,体侧常有数条不明显的暗褐色横带,腹部银白。黑鲷分布于中国、日本和韩国等地的沿岸、港湾及河口,属内湾性鱼类,在中国,以黄海、渤海数量较多。黑鲷为浅海、底层鱼类,喜栖于沙、泥底或多岩礁的清水中,为广温、广盐性鱼类,对于环境适应能力较强。黑鲷为杂食性鱼类,在自然海区,以软体动物的蛤类、小鱼虾类为主食,有时也吃海藻,人工养殖可采用低值鱼虾贝类或配合饵料投喂。黑鲷具有很强的繁殖力,雌雄同体,雄性先熟,怀卵量达200万~300万粒以上。黑鲷是名贵海产鱼之一,全体药食兼用。具有健脾利水、补气活血的功效;用于脾虚水肿、小儿脾胃不




刺鳅是合鳃鱼目刺鳅科刺鳅属鱼类,俗称钢鳅、刀鳅、石锥。体细长,前端稍侧扁,…




灰额刺尾鱼,Acanthurus glaucopareius Cuvier,刺尾鱼科刺尾鱼属的一种…




孟加拉豆娘鱼,又称孟加拉雀鲷,为辐鳍鱼纲鲈形目隆头鱼亚目雀鲷科的其中一种,属杂食性,…


















