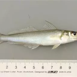
带鱼 属于脊索动物门下脊椎动物亚门中的硬骨鱼纲鲈形目带鱼科。又叫刀鱼、裙带、肥带、油带、牙带鱼等,性凶猛。青岛、日照黄海沿岸城市称鱽鱼。带鱼的体型侧扁如带,呈银灰色,背鳍及胸鳍浅灰色,带有很细小的斑点,尾巴呈黑色,带鱼头尖口大,至尾部逐 渐变细,身高为头长的2倍,全长1米左右。性凶猛,主要以毛虾、乌贼为食。主要分布于西太平洋和印度洋,在中国的黄海、东海、渤海一直到南海都有分布,和大黄鱼、小黄鱼及乌贼并称为中国的四大海产。
基本信息

带鱼,体带状,侧扁。前部背腹缘几平行,体长一般50-70cm,大者长达120cm。头狭长,尖突吻尖长。眼中大,位高,眼间隔平坦,中央微凸。口大;平直,口裂后缘达眼下方。下颌长于上颌,突出。牙强大,侧扁而尖,两颌前端各有2对倒钩状大犬牙,上颌具侧牙10-13颗;下颌具侧牙12-14颗。鳃孔宽大,鳃耙(8-14)+(15-24),细短。体表银灰色,无鳞,但表面有一层银粉,侧线在胸鳍上方向后显著弯下沿腹线直达尾端。 体光滑,鳞退化为银膜。侧线于胸鳍上方显著下弯,沿腹缘伸达尾端。背鳍1285-145,起点在头后部,延达尾端。臀鳍88-13-13,完全由分离小棘组成,仅棘尖外露,第1鳍棘甚小。胸鳍11-12,短尖而低。无腹鳍。尾鞭状,尾鳍消失。体银白色,背鳍上关部及胸鳍浅灰色,具细小黑点。尾暗黑色。脂肪较多且集中于体外层。
带鱼腹部有游离的小刺,游动时不用鳍划水,通过摆动身躯来向上游动。捕食毛虾、乌贼及其他小型鱼类。洄游性鱼类。带鱼食性很杂而且非常贪吃,有时会同类相食。有昼夜垂直移动的习惯,白天群栖息于海洋中、下水层,晚间活动于海水底层。带鱼寿命8年左右,1龄鱼的平均身长18至19厘米,重90克~110克,当年即可繁殖,2龄鱼可长到300克左右。
带鱼与刀鱼的区别
带鱼属鲈形目-带鱼科-带鱼属的咸水鱼
刀鱼属鲱形目-鳀科-鲚属的淡水鱼,与河豚、鲥鱼并称为中国长江三鲜。

分布比较广,主要分布西太平洋和印度洋, 中国沿海各省均可见到。
中国沿海的带鱼可以分为南、北两大类,北方带鱼个体较南方带鱼大,在黄海南部越冬,春天游向渤海,形成春季鱼汛,秋天结群返回越冬地形成秋季鱼汛,南方带鱼每年沿东海西部边缘随季节不同作南北向移动,春季向北作生殖洄游,冬季向南作越冬洄游,东海带鱼有春汛和冬汛之分。带鱼产卵期很长,一般以4月~6月为主,其次是9月~11月,一次产卵量在2.5万粒~3.5万粒之间,产卵适宜水温为17℃~23℃。

叉尾深海带鱼(拉丁文名:Benthodesmus enuis)
卜氏窄头带鱼(拉丁文名:Evoxymetopon poeyi)
条状窄头带鱼(拉丁文名:Evoxymetopon taeniatus)
沙带鱼(拉丁文名:Lepturacanthussavala)
降头带鱼(拉丁文名:Tentoricepscristatus)
短带鱼(拉丁文名:Trichiurusbrevis)
日本带鱼(拉丁文名:Trichiurusjaponicus)

带鱼游泳能力差,白天浮在海水中层,晚上就降到海底。静止时头向上、身体呈垂直,只靠背鳍及胸鳍的挥动,眼睛注视头上的动静,若发现猎物时,背鳍就急速震动,身体弯曲,扑向食物。带鱼具有结群排队的特性,每年春天回暖水温上升时,带鱼成群游向近岸,由南至北于生殖回游,是为捕捞季节;冬至时,水温降低,带鱼又游向水深处避寒。
2017年7月13日浙江省舟山市水产研究所初步攻克世界性难题:带鱼人工饲养成功。在研究所的养殖基地,来自深海的300多尾带鱼,已经在水池里欢快地生活了两个多月。

带鱼全年摄食的饵料种类数共有60余种, 鱼类和甲壳类为其主要饵料类群。带鱼的食物组成存在季节差异,春季以细条天竺鲷、 磷虾和带鱼为主要食物; 夏季以带鱼、 磷虾、 糠虾和刺鲳为主要食物;秋季以口足类幼体、 七星底灯鱼和竹荚鱼为主要食物; 冬季以带鱼、七星底灯鱼、小带鱼和糠虾为主要食物。摄食强度的季节变化并不明显( P>0.05) , 秋季最高,夏季最低; 各个季节的主要饵料类群组成存在差异, 鱼类饵料的重量百分比均最高; 饵料多样性指数季节差异并不显著(P>0.05) , 秋季最高,冬季和夏季较低。通过与历史资料进行比较发现, 东海带鱼的食物组成发生了较大的变化,已由过去以磷虾为主转变为以鱼类为主,同时表现出明显的同类相食的现象。

【药名】带鱼 带鱼
【拉丁植物动物矿物名】Trichiurus haumela (Forskal)
【归经】胃经
【功效】补虚;解毒;止血;养肝;
【主治】病后体虚;产后乳汁不足;疮疖痈肿;外伤出血
【采收和储藏】常年均可捕捞,捕后,除去内脏,洗净,鲜用。
【性味】味甘;性平
【用法用量】内服:鱼肉煎汤或炖服,150-250g;或蒸食其油;或烧存性研末。外用:鱼鳞适量,敷患处。
【出处】《中华本草》
《食物中药与便方》:带鱼,滋阴、养肝、止血。急慢性肠炎蒸食,能改善症状。
《药性考》:带鱼,多食 带鱼 发疥。
《随息居饮食谱》:带鱼,发疥动风,病人忌食。
有补脾、益气、暖胃、养肝、泽肤、补气、养血、健美的作用。
有效成分:每100克带鱼肉中,蛋白质有19克,脂肪有7.4克,其他营养成分未见特色。带鱼的鱼鳞中还含有多种不饱和脂肪酸、纤维性物质(硬蛋白中)、6-硫代鸟嘌呤等有效成分。
[性能]味甘,性微温。能补脾益气,益血补虚。
保健功能:带鱼为高脂鱼类,含蛋白质、脂肪、维生素B1、B2和烟酸、钙、磷、铁、碘等成分。。
开发现状及前景: 1986年日本的岸田忠昭教授指出,带鱼鱼鳞硬蛋白中含有的纤维性物质,可以抑制胆固醇,也可以抗癌。
带鱼肉厚刺少,营养丰富。有补脾、益气、暖胃、养肝、泽肤、补气、养血、健美的作用。适合体虚之人如头晕、 气短、乏力、 营养不良者食用,对脾胃虚弱、消化不良、皮肤干燥者尤为适宜。所以,胃口不佳的人, 可以考虑在夏天多吃些带鱼。
鳞的价值
其实所谓的银鳞并不是鳞,而是一层由特殊脂肪形成的表皮,称为“银脂”,是营养价值较高且无腥无味的优质脂肪。该脂肪中含有三种对人体极为有益的物质: 一、不饱和脂肪酸,具有降低胆固醇的功效。同时可以增强皮肤表面细胞的活力,使皮肤细嫩、光洁,使头发乌黑光亮,是难得的美容秀发产品。 二、卵磷脂。可减少细胞的死亡率,能使大脑延缓衰老,被誉为能使人返老还童的魔力食品。 三、6—硫代鸟嘌呤物质。该物质是一种天然抗癌剂,对白血病、胃癌、淋巴肿瘤均有防治作用。
带鱼富含脂肪、蛋白质、维生素A、不饱和脂肪酸、磷、钙、铁、碘等多种营养成分。带鱼性温,味甘,具有暖胃、泽肤、补气、养血、健美以及强心补肾、舒筋活血、消炎化痰、清脑止泻、消除疲劳、提精养神之功效。
带鱼富含人体必需的多种矿物元素以及多种维生素,实为老人、儿童、孕产妇的理想滋补食品,尤其适宜气短乏力、久病体虚、血虚头晕、食少羸瘦、营养不良以及皮肤干燥者食用。此外,孕妇吃带鱼有利于胎儿脑组织发育;少儿多吃带鱼有益于提高智力;老人多吃带鱼则可以延缓大脑萎缩、预防老年痴呆;女性多吃带鱼,能使肌肤光滑润泽,长发乌黑,面容更加靓丽。
带鱼的DHA和EPA含量高于淡水鱼。DHA是大脑所需的营养物质,对提高记忆力和思考能力十分重要,加之带鱼含有丰富的卵磷脂, 使其较一般淡水鱼更具补脑功能。EPA则俗称血管清道夫,对降低血脂有益。带鱼中丰富的镁元素也对心血管系统有很好的保护作用, 有利于预防高血压、心肌梗死等心血管疾病。
带鱼肉质细腻,没有泥腥味,不论鲜带鱼还是冻带鱼都易于加工并可于多种食材搭配,常见做法有清炖、清蒸、油炸、清蒸、红烧,也可以做干锅、火锅以及多重西式、日式料理。鱼肉易于消化,是老少咸宜的家常菜谱。


大眼鲷是鲈形目大眼鲷科鱼类,又称大目、大目莲。体呈长椭圆形,较侧扁;口大,口裂倾斜或近垂直状;眼更大,…




淡水石斑鱼是鲈形目丽鱼科丽体鱼属鱼类,又名马拉丽体鱼、花老虎等。体侧扁,纺锤形;口上位,…




红笛鲷是笛鲷科、笛鲷属鱼类。体被大栉鳞。背鳍Ⅻ-14,臀鳍Ⅲ-9,胸鳍17,腹鳍I-5,…




火口鱼,Cichlasoma meeki,慈鲷科丽体鱼属,出产在中美洲,鱼长15厘米以上,…




竹荚鱼,日语称:あ じ 也称马鲭鱼。广泛分布于我国沿海及朝鲜、日本沿海等水域。这种鱼为中上层洄游性…




褐点石斑鱼为辐鳍鱼纲鲈形目鲈亚目鮨科石斑鱼属的鱼类。分布于红海、印度洋非洲东岸至太平洋波利尼西亚、…




朴蝴蝶鱼,Chaetodon modestus Temminck et Schlegel,蝴蝶鱼科…




攀鲈,是鲈形目攀鲈科攀鲈属一种。又称太阳鱼。其体侧扁,口次上位,…
























