六带鲹,学名:Caranx sexfasciatus (Quoy et Gaimard, 1825),鲹科鲹属的一种暖水性中上层鱼类,著名的游钓与潜水摄影鱼种。小群群游、大群群游白天常见于河口、珊瑚礁及岩礁附近。此鱼上颌牙3列,最外1列较内列强大,下颌牙1列。胸部覆盖小圆鳞。棱鳞明显,全分布于两侧直线部位。小鱼体侧有5~6条暗色横带,体长150~250毫米。成年鱼体长300~600毫米左右,大者可达1000毫米以上。
基本信息

热带区域分布范围:北纬30° - 南纬36°,东经20° - 西经53° 六带鲹分布图
六带鲹广泛分布于印度洋和太平洋,包括红海、东非沿岸、马达加斯加、阿拉伯海、毛里求斯、斯里兰卡、印度、孟加拉湾、波斯湾安达曼群岛、马尔代夫、日本、台湾、中国沿海、菲律宾、印尼、越南、马来西亚、澳大利亚、新西兰、所罗门群岛、密克罗尼西亚、瑙鲁、马里亚纳群岛、马绍尔群岛、萨摩亚群岛、复活节岛、加拉巴哥群岛、夏威夷群岛、法属波里尼西亚、新喀里多尼亚、库克群岛、罗德豪岛、美国加利福尼亚州、墨西哥、厄瓜多尔、巴拿马、智利、秘鲁的沿岸等海域。 [2-3]

六带鲹幼鱼体侧有5~6条暗色横带;侧线开始处上方有一黑色鳃盖斑。极大的老成鱼全身黑色。第一背鳍有硬棘9枚,1枚隐于背部,有鳍膜相连,第二背鳍有软条18~21枚;臀鳍有硬棘3枚,1枚隐于臀部,软条14~15枚,为灰色或黄色;侧限直走不约在第二背鳍第六枚软条下方;棱鳞较粗大者约有24~30枚。脂性眼睑只掩盖之后半部;上颌齿为一狭带,外列齿较强大,下颔齿前方有犬齿。体长可达78厘米。体侧扁,呈卵圆形。口大。鱼体背部为蓝绿色,腹部银白,鳃盖上缘具黑点。腹鳍基部前方有鳞片,侧线直下部几乎全为大片的稜鳞。尾鳍深叉,具黑缘。此鱼一般体长为60厘米,最大体长120厘米,截止2012年已公布最大重量18公斤。 [5-6]
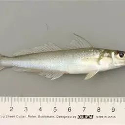
六带鲹图册图片来源:

六带鲹体长大约42厘米时进入生育期,雄性和雌性进入生育期大致在相似的年龄跟长度。东太平洋六带鲹的产卵期约在七到九月,南非海域的则在十一月至次年三月,这种不同区域产卵期的差异,显示出跨越物种界限的变异性。也有证据显示六带鲹在新月时产卵。产卵前,它们聚成一大群,随后成对脱离主群开始产卵,结对加快了它们脱离主群的速度。这样一对中,处于下方的六带鲹即刻变为深黑色,这也是为了赶走其他接近者。然后以几乎水平向游动,互贴着腹侧一同产卵。在返回主群前,深黑色体表的六带鲹又变回正常的银白色。 [8-12]

生存环境温度:26°C - 29°C 圆柱形六带鲹鱼群风暴
此鱼生活于1~96米深,有礁石的海域,偶尔会进入河流。此鱼的幼鱼常在河口的感潮带聚集,如果河水清澈,甚至会游至淡水水域中。30厘米以上的成鱼即远离沿岸水域,但是秋季有较接近岩岸的趋势。成鱼在夜间和黎明主要活动于珊瑚礁附近,白天时大群群游于断崖处,形成圆柱形的鱼群风暴,夜晚则分散捕食。肉食性,主食为鱼类、甲壳类。 [13-15]

作为生物资源被人类利用,对六带鲹的渔业捕捞有两种方式:
1.为生活必须品的小规模捕获。
2.大规模商业捕捞。
六带鲹是经济性食用鱼,其肉质美味无腥气,一般可清蒸、煎炸,盐烤食或加工盐渍处理皆宜。清蒸要加腊肉或肥猪肉,红烧不宜太干,否则肉会变硬。

列入《世界自然保护联盟》(IUCN) 2012年濒危物种红色名录ver 3.1——无危物种(LC)。

六带鲹,学名:Caranx sexfasciatus ,鲹科鲹属的一种暖水性中上层鱼类,著名的游钓…




金鲳鱼属硬骨鱼纲、鲈形目、鲹科、鲳鲹属,学名卵形鲳鲹,俗名黄腊鲳、金鲳。该鱼体侧扁,卵圆形,…




竹荚鱼,日语称:あ じ 也称马鲭鱼。广泛分布于我国沿海及朝鲜、日本沿海等水域。这种鱼为中上层洄游性…




金鲳鱼属硬骨鱼纲、鲈形目、鲹科、鲳鲹属,学名卵形鲳鲹,俗名黄腊鲳、金鲳。该鱼体侧扁,卵圆形,…




六带鲹,学名:Caranx sexfasciatus ,鲹科鲹属的一种暖水性中上层鱼类,著名的游钓…




蓝圆鲹属鲹科、圆鲹属鱼类。体呈纺锤形,微侧扁。下颌稍突于上颌。上颌延伸至眼前缘之下方。上下颌各具一…




蓝圆鲹属鲹科、圆鲹属鱼类。体呈纺锤形,微侧扁。下颌稍突于上颌。上颌延伸至眼前缘之下方。上下颌各具一…




竹荚鱼,日语称:あ じ 也称马鲭鱼。广泛分布于我国沿海及朝鲜、日本沿海等水域。这种鱼为中上层洄游性…


















