
环纹刺盖鱼或称肩环刺盖鱼,别称蓝环神仙或白尾蓝纹神仙,成鱼尾鳍白色,肩部有一个蓝色圆环,体侧则有数…




沙塘鳢,是鲈形目塘鳢科沙塘鳢属鱼类。沙塘鳢体长48-135毫米,粗壮,头大而阔,稍扁平,腹部浑圆,…




金线鱼,俗名金线鲢、黄线、红三、红衫,为辐鳍鱼纲鲈形目金线鱼科的其中一个种。




金钱鱼,学名Scatophagus argus,英文名Spotted scat,商品名为金鼓鱼。…




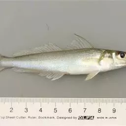
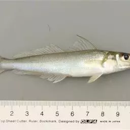
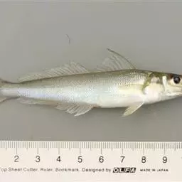
多鳞鱚,Sillago sihama ,鱚科鱚属的一种鱼类。主要分布于印度洋-西太平洋的热带海域,…




马夫鱼。成鱼体甚侧扁,背缘高而隆起,略呈三角形。背鳍鳍棘11根,第四鳍棘延长呈鞭状,鳍膜亦随之延长…




蓝点马鲛,鲭科,鲅鱼的1种。体长而侧扁,体色银亮,背具暗色条纹或黑蓝斑点,口大,吻尖突,牙齿锋利,…




红魔鬼鱼,学名为厚唇双冠丽鱼,也叫火鹤鱼,是慈鲷科丽体鱼属下的一种观赏鱼类。血鹦鹉鱼的父本鱼种。…


















