刺鳅(学名:Mastacembelus aculeatus)为刺鳅科刺鳅属的鱼类,俗名刀割、刀鳅。在中国,分布于各大水系等,一般栖息于多水草的浅水区。该物种的模式产地在北京。
基本信息

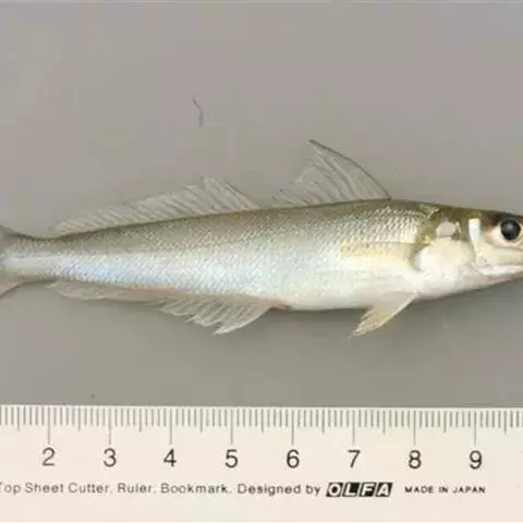
刺鳅 刺鳅科,刺鳅属。俗称:倒鳅,钢鳅,刀鳅,石锥。英文名:Spiny eel 。 体细长,前端稍侧扁,肛门以后扁薄。头长而尖。吻稍长,但不及眼后头长,吻端向前伸出成吻突,其长度约等于眼径。前鼻孔呈管状,位于吻的两侧;后鼻孔圆形,近眼前缘。眼位于头部的侧上方,表面覆以薄皮,眼下前方有一倒生的小刺,埋于皮内。口下位,口裂几成三角形,口角达眼前缘或稍超过。上下颌具绒毛状齿,呈带状排列。胸鳍小而圆,无腹鳍,背鳍和臀鳍分别与尾鳍相连。背鳍前方有1排各自独立的硬棘,约为31-33枚;臀鳍具棘3枚;尾鳍略尖。体鳞细小,侧线不显著。体背黄褐色,腹部淡黄。头部从眼上向后有2条淡色线条,沿体背纵伸至尾鳍基。体背、腹侧有许多网状花纹,背鳍、臀鳍与尾鳍的基部网纹更为明显,体侧有30余条褐色垂直条斑。有些个体条斑上端色较深黑,有部分个体近腹侧的条斑之间杂以短斑。背棘基黑褐色,胸鳍淡黄色或灰黄,其余各鳍灰色,臀鳍下缘常饰以白边。 为底栖性鱼类。生活于多水草的浅水区。以水生昆虫及其它小鱼为食,生殖期大约在7月份。

为底栖性鱼类。生活于多水草的浅水区。以水生昆虫及其它小鱼为食,生殖期大约在7月份。刺鳅喜欢群居,在野外一块大石头下就能聚居很多条。

分布于全国东部各水系。个体不大,一般体长在25厘米以下,但分布很广,在长江、黄河及其附属湖泊、沼泽地均产此鱼,有一定的经济价值。

刺鳅肌肉含高蛋白和低脂肪,氨基酸种类齐全,必需氨基酸、鲜味氨基酸、脂肪酸中多不饱和脂肪酸、EPA与DHA含量均较高,矿物元素含量丰富,有较佳的食用口感和较好的营养价值。







马夫鱼。成鱼体甚侧扁,背缘高而隆起,略呈三角形。背鳍鳍棘11根,第四鳍棘延长呈鞭状,鳍膜亦随之延长…




尼罗罗非鱼是鲈形目丽鱼科罗非鱼属鱼类,别名罗非鱼、非洲鲫鱼、尼罗丽鲷。体椭圆形,侧扁;体被大栉鳞,…




红小丑,俗称西红柿,属鲈形目雀鲷科海葵鱼属,是小丑鱼的一种。




红魔鬼鱼,学名为厚唇双冠丽鱼,也叫火鹤鱼,是慈鲷科丽体鱼属下的一种观赏鱼类。血鹦鹉鱼的父本鱼种。…




黑鲷是鲈形目鲷科棘鲷属的一种硬骨鱼,俗称海鲋、青鳞加吉、青郎、乌颊、牛屎鱲、乌翅、黑加吉、黑立、海鲫和铜盆鱼等。体呈长椭圆形,侧扁,头中大,吻钝尖。口小,上、下颌等长;体被中等大的弱栉鳞,体侧通常有5~7条黑色条纹。背鳍棘坚硬,臀鳍第二鳍棘尤甚;体背部为灰黑色,侧线起点处有黑斑点,体侧常有数条不明显的暗褐色横带,腹部银白。黑鲷分布于中国、日本和韩国等地的沿岸、港湾及河口,属内湾性鱼类,在中国,以黄海、渤海数量较多。黑鲷为浅海、底层鱼类,喜栖于沙、泥底或多岩礁的清水中,为广温、广盐性鱼类,对于环境适应能力较强。黑鲷为杂食性鱼类,在自然海区,以软体动物的蛤类、小鱼虾类为主食,有时也吃海藻,人工养殖可采用低值鱼虾贝类或配合饵料投喂。黑鲷具有很强的繁殖力,雌雄同体,雄性先熟,怀卵量达200万~300万粒以上。黑鲷是名贵海产鱼之一,全体药食兼用。具有健脾利水、补气活血的功效;用于脾虚水肿、小儿脾胃不




真鲷,硬骨鱼纲,鲈形目,鲷科,真鲷属。 地方名:加吉鱼、红加吉、铜盆鱼、大头鱼、小红鳞、加腊、赤鲫…




图丽鱼是慈鲷科、图丽鱼属鱼类。体长为33厘米,最大体重约1.1千克。鱼体呈椭圆形,侧扁,头大,嘴大,…




火口鱼,Cichlasoma meeki,慈鲷科丽体鱼属,出产在中美洲,鱼长15厘米以上,…


















