鲅鱼也叫蓝点马鲛(学名),硬骨鱼纲,鲈形目,鲅科。种类很多,常见的有“中华马鲛”Scomberomorussinensis,斑点马鲛,康氏马鲛等,马鲛的俗称还有燕鱼、板鲅、竹鲛、尖头马加、青箭等。牙齿锋利,游泳迅速、性情凶狠一般长0.26--0.52米,最长可达1米,重20公斤,分布于北太平洋西部,我国渤海、黄海、东海均有,属暖性上层鱼,以中上层小鱼为食,夏秋季结群洄游,部分进入渤海产卵,秋汛常成群索饵于沿岸岛屿及岩礁附近,为北方经济鱼之一。
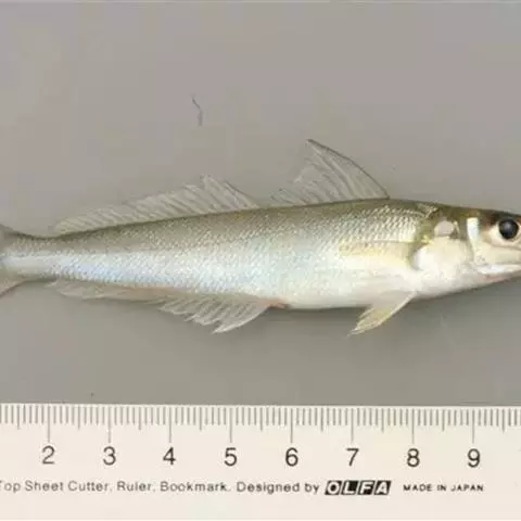
鲅[bà]鱼体长而侧扁,体色银亮,背具暗色条纹或黑蓝斑点,口大,吻尖突,牙齿锋利,游泳迅速,性情凶猛。大连自然博物馆的“鲅鱼王”标本重260多斤,2.64米,20多岁。
基本信息

鲅鱼体长而侧扁,呈纺 鲅鱼 锤形,一般体长为25~50厘米、体重300~1000克,最大个体长可达1米、重4.5千克以上。尾柄细,每侧有3个隆起脊,以中央脊长而且最高。头长大于体高。口大,稍倾斜,牙尖利而大,排列稀疏。体被细小圆鳞,侧线呈不规则的波浪状。体侧中央有黑色圆形斑点。背鳍2个,第一背鳍长,有19~20个鳍棘,第二背鳍较短,背鳍和臀鳍之后各有8~9个小鳍;胸鳍、腹鳍短小无硬棘;尾鳍大、深叉形。

鲅鱼分布于北太平洋西部。中国产于东海、黄海和渤海。主要渔场有舟山、连云港外海及山东南部沿海。每年的4~6月份为春汛,7~10月份为秋汛,5~6月份为旺季。

当今鲅鱼的主要渔场在舟山、连云港外海及山东南部沿海,4至6月为 蓝点马鲛 春汛,7至10月为秋汛,盛渔期在5至6月份。捕捞方法为流网、机轮中层拖网及钩钓等。在资源充沛的五六十年代,5至6月份的渤海湾是捕鲅鱼的好季节,太阳摸山前下流网,网浮、标芒绵延十几里,翌日晨起,常有三四千尾,体重三四千克的喜人收获。鲅鱼性凶悍,每年6至10月中旬常游弋于岸边浅水处追食,其流线的形体、极高的游速、锋利的牙齿,似猎豹追杀猎物,惊恐的小鱼四处逃窜,常有慌不择路而冲上岸边礁石“起排子”,惊现鲅鱼飞身捕食的壮观场景。当值此时,垂钓者乐此不疲,礁石、舷边“甩鲅鱼”,盼上钩。鲅鱼体型较大,吃钩迅猛,钓感挺刺激,而成垂钓者的一大乐事。

食用上鲅鱼分为两种:“鲐鲅和燕鲅”为前者体型较小,25厘米左右,后者则在40至50厘米以上。市场上卖的“燕鲅”相对大脊间刺少,肉质也要好一些,但产量也相对“鲐鲅”要少一点。由此,刺少的“燕鲅”更适合做为烹制馅料的食材,“鲐鲅”则更适合用红烧、煮焖等方式烹制。当然,“燕鲅”用来红烧、焖煮也是相当美味的。
鲅鱼居上层,游速快、喜活食,其肉质细腻、味道鲜美、营养丰富,每百克鱼肉含蛋白质19克、脂肪2.5克。除鲜食外,还可加工制做罐头或咸干品。民间有“山有鹧鸪獐,海里马鲛鲳”的赞誉。大连人对鲅鱼食用颇有创意,有久负盛名的系列知名小吃,如鲅鱼丸子、鲅鱼烩饼子、红烧鲅鱼等,已成大连的名吃,外地游客慕名来连,以争相品尝为快。尤其是鲅鱼氽丸汤,那真是丸香、汤鲜、味美的海鲜一绝,更是四季皆宜、老少皆宜、中外皆宜、食客同赞的人间美食。与大连隔海相望的威海,同样也是吃鲅鱼的大市,鲅鱼饺子、鲅鱼包子、熏鲅鱼等等都是威海人创造的美食,慕名而来品尝的游客人数众多。
鲅鱼肉多刺少,味道鲜美,营养丰富,而且肉质坚实紧密,呈锥子状,大概与它游泳较快有关。除鲜食外,也可加工制作罐头和咸干品。青岛人喜欢做熏鱼,鲅鱼是最佳选择,风味独特的熏鲅鱼,是佐酒下饭的美味佳肴。每百克肉含蛋白质19克多、脂肪2.5克,肉坚实味鲜美,营养丰富。其肝是提炼鱼肝油的原料。蓝点马鲛是出口品种,其英文名为Japanesespanishmack—erel,日文名为サヮラ。输往国别和地区:日本、香港、澳门。出口口岸:辽宁、河北、山东、江苏、浙江、福建。
常见菜肴:香煎鲅鱼、干烧鲅鱼、菠萝鱼夹、炝锅鲅鱼、鲅鱼水饺、酱焖鲅鱼、五香熏鲅鱼
1. 鲅鱼其肉质细腻、味道鲜美、 蓝点马鲛 营养丰富,含丰富蛋白质、维生素A、矿物质(主要是钙)等营养元素
2. 鲅鱼有补气、平咳作用,对体弱咳喘有一定疗效
3.鲅鱼还具有提神和防衰老等食疗功能,常食对治疗贫血、早衰、营养不良、产后虚弱和神经衰弱等症会有一定辅助疗效。
通过本次食品分析得到,鲅鱼鱼肉中水分含量约为73%-74%(直接干燥法105℃5小时恒重)灰分含量约为0.9%,总蛋白含量(凯氏定氮)约为22g/100g。
热量(大卡)121蛋白质(克)21.2脂肪(克)3.1碳水化合物(克)2.1钾(毫克)370磷(毫克)130胆固醇(毫克)75钠(毫克)74.2镁(毫克)50钙(毫克)35烟酸(毫克)2.1锌(毫克)1.39铁(毫克)0.8维生素E(毫克)0.71铜(毫克)0.37维生素B2(毫克)0.04锰(毫克)0.03维生素B1(毫克)0.03硒(微克)51.81维生素A(微克)19碘(微克)3.5膳食纤维(克)-维生素B6(毫克)-维生素B12(毫克)-维生素C(毫克)-叶酸(微克)-胡萝卜素(微克)
一、红烧鲅鱼
1.鲅鱼2块。
红烧鲅鱼 2. 将鲅鱼切成小块,放入盆中,加盐、料酒、葱、姜腌20分钟。
3. 锅中油烧热,放入鲅鱼炸至两面金黄。
4. 炸好的鲅鱼。
5. 葱切段,姜切片,八角一个。
6. 锅中另放油,放葱段、姜、八角翻炒。
7. 倒入料汁(酱油、醋、糖、蚝油、加水调成)。
8. 放入鲅鱼。
9. 加水,大火烧开,转小火闷10分钟,汤汁剩不多加适量盐盛出装盘即可。
二、茄汁鲅鱼
材料:
葱一根、香菜一根、姜三片、大料一半、花椒10粒、大蒜一瓣、盐20克、糖15克、醋少许、料酒少许、生抽少许
做法:
1.鲅鱼四条,也可多准备几条,去内脏处理干净,放少许盐料酒葱姜腌制 茄汁鲅鱼
2.准备小料:番茄酱大料花椒葱姜蒜
3.热油放腌制好的鲅鱼煎制金黄色
4.煎制好的鲅鱼
5.另起锅热油先放葱姜蒜大料花椒呛锅再倒入番茄酱少许白糖炒制
6.加温水少许生抽醋盐大火烧开做番茄汁
7.再把先前煎制好的鱼放入大火炖制汤汁浓稠出锅即可
8.出锅装盘此菜已经做成汤汁酸甜鱼肉鲜美
三、熏鲅鱼
材料:
鲅鱼,葱、姜、蒜、料酒、酱油、盐、辣椒各适量。
做法:
(1)先将鲅鱼洗好切成一段一段,每段大约3cm左右。
(2)放入碗中加入葱、姜、蒜、料酒、酱油(刚好抹过鱼即可)、盐、辣椒(少量),腌制6小时左右即可。
(3)再将鲅鱼捞出,放入油窝中小火炸8分钟左右即可捞出,凉透以后就可以吃了(热的时候吃口感没有凉的有嚼劲)。
四、鲅鱼饺子
材料:
饺子面粉500克,鲅鱼肉250克,猪五花肉末100克,韭菜末100克,盐、料酒、胡椒面、香油各适量。
做法:
(1)鱼肉冲洗后剁咸肉泥,放入碗内顺一个方向搅打,增加黏劲,再加五花肉末、盐、料酒、胡椒粉、韭菜末、香油拌匀制成饺子馅。
(2)饺子面和好,稍饧,做成60个面皮,包入鲅鱼肉馅,成饺子形。
(3)锅内加适量清水,烧开后下入饺子,煮熟捞出即成。食时蘸醋。
五、焖鲅鱼
材料:
鲅鱼400g,油、盐、糖适量,生抽、米醋适量,葱、姜、蒜适量,花椒大料适量,水适量。
做法:
(1)鱼洗净备用。
(2)鱼切3厘米左右段,姜蒜切片。
(3)热锅凉油。
(4)锅中加油放入花椒、大料、葱姜蒜爆香。
(5)倒入生抽,烧开。
(6)再加入水烧开后放入鱼块。
(7)加少许醋。
(8)鱼块摆放平整后加入适量盐,盖锅盖,大火烧开。大约炖至水微干即可。
中医认为,鲅鱼有补气、平咳作用,对体弱咳喘有一定疗效
鲅鱼还具有提神和防衰老等食疗功能.

钓鲅鱼的钓点选择很关键,通常应该选择岛屿和海岛边比较大的礁岩附近和水质清而透明处。 钓鲅鱼可用拟饵也可真饵钓。拟饵钓在岛上较为合宜,真饵用于船钓效果最好。
矶礁施钓钓法
1.矶礁远投拖钓钓法:矶钓采用远投拖钓钓法是比 邮票 较实用且有着原始形态拟饵“路亚”钓的一种方法,在大连地区已有近百年的历史。因其钓具配备简单、方便灵活,上钩率较高而为广大钓友所喜爱。
钓具配备:30号左右3.9米~4.2米远投竿一支,匹配6000型左右旋压式绕线轮(过去多为两插竹制硬竿,齿形盘轮、主线0.6毫米)。如西玛诺AERLEX5000~6000型。主线4号远投编织线,100米即可。子线过去均为使用0.2——0.3毫米钢丝绳一段,长约400毫米左右。现多采用1米左右小径涂层编织钢丝线或专用防咬前导线。钩为大型钩,长度120毫米,钩门宽度为30毫米,钩把处用粗约10毫米、长约60毫米的铅灌制而成,呈流线型,(渔具店有卖,也可用2~3毫米直径白钢焊条自制)钓饵为似饵,大多用河豚鱼皮或白色塑胶布制成,用细绳绑于钩后部铅把前部,把钩藏与其中。
钓具匹配:主线穿过竿体所有导环,线端接大号8字转环。再将长约一米的带钩子线系紧于8字环内即可。
钓点与钓法:选择风力在4级~5级左右(最好是西南风或西北风),大潮汐的早晚时间,即太阳升起或拂晓,或傍晚太阳落山的黄昏时机。钓位选择在水质清澈,有浪花翻滚,反拨流泡沫带的礁头突兀于海面的地方。站位必须有回旋余地且不妨碍抡竿。抡竿抛线,尽最大力量将拟饵抛向远处海面,当整套钓组溅落后于水面下约二米左右,立即将竿头下压指向海面,同时以均速摇动渔轮手柄收线,使似饵形似小鱼游弋,要注意随时观察海面,因蓝点马鲛喜食一种长约150毫米,粗约25毫米(胸鳍部分)体色银蓝,大连地区俗称“鲅鱼食”的小鱼,当蓝点马鲛追杀时,会四处逃窜,成群跃出水面,有时常慌不择路冲上海边和礁头。且蓝点马鲛成群在追杀时也常蹦出水面截食。大连地区的钓友称此现象为鲅鱼“起排子”。意为有大群的蓝点马鲛聚集海面或上层水面疯狂觅食。此时,要立即将钓组抛出回摇收线,立时便可获鱼,且百发百中。但遇此种情况时,千万要注意一点,即抛线时只允许抛向小鱼逃窜方向的前方及左右侧,绝不可抛向后方或中间。因为这段距离为蓝点马鲛追食的中间部位,一旦将线抛于此间,由于钩、饵的声响较大,必将蓝点马鲛鱼群惊散,俗称“鱼炸了”。除功亏一篑外,弄不好还招至邻近钓友的呵斥。
蓝点马鲛的截食吞钩动作主要有两步,一是一口吞下,二是掉头急游离开原地。故在钓竿和手感上反应为:匀速回线中突然受阻,并伴有大力向后拽去,同时竿体受鱼掉头急游而左右摇动。因为蓝点马鲛往往在松线的瞬间用“洗鳃“的方法将钩甩掉而逃之夭夭。线收至近前,用大号抄网抄于岸上即可。如小于500克直接提出水面,拎于岸边。因蓝点马鲛牙齿尖利,摘钩时要多加小心,具体方法是:手执钩把部分,顺势将钩用力推向鲅鱼口内,然后横压,使钓钩改变方向,即可将钩摘出。但建议还是用专业的鱼钳摘钩较为安全。
优势:钓具匹配简单,钓点选择范围比较广,且钓法手感激烈,易于操作。
缺憾:因钓位突兀于海面,紧靠水边,安全系数小,应注重加强防滑,防浪措施。
2.矶礁路亚钓钓法:采用路亚钓法施钓蓝点马鲛,因其钓具简捷,钓法刺激,自上世纪90年代后期开始至近些年来在辽东半岛较为盛行。
钓具配备:2.7米~3.0米专用10~30克路亚竿一支,不同克数10~30克浮水(FLOAT)、沉水(SINK)路亚数枚或“匙型铁板”。匹配旋压式绕线轮如西玛诺3000~4000型。主线为低塑性(LoworZeroMemory)专用路亚线。子线一般为100厘米左右长“尼龙前导线”或裹塑钢丝线。
钓点与钓法:钓点选择基本与矶礁钓法相同,只是选择在水质清澈,有浪花翻滚,反拨流泡沫带的礁头突兀于海面的地方,最好是流水流经的交叉点更好。站位必须有回旋余地且不妨碍抡竿。抡竿抛线,尽最大力量将路亚抛向远处海面的泡沫带外延,当路亚溅落后于水面下,立即将竿头下压指向海面,同时以均速摇动渔轮手柄收线,并通过不时的扬竿回带使路亚在“游动”中似受伤小鱼般挣扎游弋,以诱蓝点马鲛追杀。如线收至近前无鱼上钩,需再将钓组抛出,如前番般操作收线,直至诱鱼截食吞钩。同时,要注意随时观测海面,以随时调整路亚克数和采用或沉水或浮水型。但要注意,当近岸时无鱼中钩,应快速收线以免挂底损失路亚饵。毕竟一只好的路亚价格不菲。
优势与缺憾:略同远投拖钓。只是因钓具调性更好,而施钓起来会更加刺激、有趣。
船钓法
1.拖拽钓法
拖拽钓蓝点马鲛在大连地区俗称“拖鲅鱼”。通过船动力驱动的拖带,使沉浮于水面下的诱饵似小鱼快速游动,以诱导蓝点马鲛随饵追逐、吞饵,有“诱领”之意。
钓具配备:
专用船钓100号左右竿一至二支,匹配横向式渔轮。主线编织线6号以上,线长200米左右。钓饵同矶礁远投。脑线0.3毫米钢丝绳长500毫米左右(渔具店有卖,或用淡水串钩钢丝线替代,但需剪掉其栓钩支架)。也可用一种腹下及尾部带锚钩的较大路亚饵;但使用时需在饵前的脑线前端加50克左右的通心铅坠。
钓位选择及钓法:
选择在风力2-3级的天气出海,钓位应选择在海中礁岛的半径50米左右的周围。潮汐要求,潮水下落二分之一(即半潮,又叫“落半架”)或“回流”(指潮水下落至最低点后半小时左右,潮水刚开始上涨时间)以及高潮后的“回流”期的这一段时间施钓。具体钓法:需选用小马力渔船。用大船马力太大,船尾的双螺旋桨翻起的浪花较大,并且航迹较长,面积较大,易使鲅鱼受惊而逃逸。最好采用雅马哈小型船用挂机,一般8马力左右均可。航速大约每小时8节左右。当小船驶入钓点后,船速放慢至4-5节左右,将钓竿抛出线、饵后,继续向水中放线,大约离船80~120米时,小船提速至6节左右,使船后钓线略拉直并带起钓饵至海面下一米左右,然后将钓竿插于船侧专用卡座内或擎在手中,保持竿捎与海面的角度要形成45度夹角,以便于观察。此钓法蓝点马鲛截食吞钩主要反应在竿体上。当中鱼时,竿稍突然上下急速点动,然后钓竿整体大弯,此时为起鱼最佳时机,应及时将竿后扬顿住,船速应立即放慢或停驶,然后快速摇动手柄回线。因此种钓法多为大蓝点马鲛上钩,如鱼太大,应调整好泄力放线。因钓场范围大,且离岸较远,无任何障碍物,可使鱼挣扎要线,但需注意保持钓线始终处于蹦紧状态,以防大鱼“洗鳃”时甩掉钓钩。直至鱼不再要线,再摇轮收线,反复几次,大蓝点马鲛必精疲力尽被乖乖拖至船旁,用大抄网或刨钩将那一份得意捞于船舱。
优势:此种钓法可谓最悠闲放松的一种钓法。放线入海,安坐船中,眼观蓝天白云,耳闻涛声鸥鸣,间或瞄一眼竿捎,只等鱼儿上钩,当钓竿抖动,握竿入手,与鱼周旋,又倍加精彩刺激,故令广大钓友深恋此法。多年前,大连钓区一钓友,曾在“偏岛”南部海域用此法钓得一条长达一米,重约9千克的大鲅,一时传为美谈,而使众钓友“趋之若鹜”纷纷前往该海域一试。
缺憾:对天气状况要求比较严,且身居深海之中,安全系数相对要小一些。故用此法施钓必须注意收听天气预报,在绝对保证安全的前提下方能出海。同时要多备饮水、食物及必要的救生装备,以免天气突变,小船回撤不及而造成不必要的伤害。
2.养殖筏区内定位悬浮钓法
悬浮钓鲅鱼的范围只限定在贝类养殖区内(如扇贝养殖)钓一些个体较小的蓝点马鲛,一般个体重量均在400克~750克左右。出钓时机掌握在每年的九月中旬至十月的上旬这一阶段。
钓具配备:30号硬调海竿或50号船竿一支,长度最好在3-3.6米之间,配旋压式绕线轮。主线5号左右,脑线仍采用钢丝细线,只是略细一些,0.2毫米左右即可。因蓝点马鲛牙齿锋利,一般尼龙钓线很容易被其利齿咬断。以上其他钓法也是同理。脑线长约200毫米。钓钩用长海牌301号或22号钩,钓饵需用小活鱼(可就地取材,从养殖贝类的网箱里获取),或大泥鳅,但效果比小活鱼稍差。另备大号浮漂一支,太空豆两枚及略轻于浮漂浮力的铅坠一个。
具体钓位及钓法:
钓位选择在贝类养殖区内,同时要有养殖工人现场操作的区域。因每年这段时间,扇贝等贝类的网箱经过一个夏季的悬浮,其网箱的网眼大部分被海泥及海中杂物糊满,影响贝类的透气透光及生长,故养殖工人需在此时将网箱提离水面,用木制器械敲击其网周,然后数次放于海中涮洗,使其杂物脱落以露出网眼。因其各种“污物”包括寄生在网壁上的各种小虾,小鱼和浮游生物落于海中,形成小范围“浑水”,诱来各种小型鱼类觅食,如:“鲅鱼食”(鳀鱼),“大棒”(一种上层小型尖嘴鱼学名鱵鱼)等。同时也必引来猎食的蓝点马鲛(鲅鱼),形成一种似“螳螂捕蝉,黄雀在后”的连环状态。此时为施钓的最佳时机。
具体钓法:将小船驶入“浑水区”,将钓线拉出于等竿长,在钓线2米处夹上两颗太空豆,穿上浮漂(浮漂必须是底部有孔的那种),再穿上通心铅坠,在线头处栓牢一连接环,再将栓有快速别针和钓钩的钢丝脑线与连接环相连,完成匹配。取一鲜活小鱼,浅挂于鱼背部(切记不可挂深,以免影响鲜活),将竿平伸钓线垂直放入可见小“鲅鱼食”或“大棒”游动处,略回收钓线,待浮漂立稳,水下钓饵保持在离海面2米处游动,手执钓竿,静侯佳音。同时注意观察水面,当小“鲅鱼食”等小型鱼突然四处乱窜,并蹦出水面时,必是蓝点马鲛(鲅鱼)来临开始追食的讯号,应“严阵以待”随时注意浮漂动向。此种钓法的蓝点马鲛吞钩反应主要表现在浮漂上。当浮漂左右摆动,不可提竿,此时多为所挂活饵游动或鲅鱼擦身而过所致,当浮漂突然斜向“黑漂”,同时传至竿体有抖动感时,应立即扬竿,即可钩住并顺势挑于船舱之中。因此种钓法钓获多为30厘米左右的小蓝点马鲛,一般钓竿均可承受其400~750克的重量,不必有折竿之忧,均可直接提竿。
此种钓法为笔者在1996年秋十月上旬前往大连距市内80余公里的金州区登沙河海域施钓时,偶然发现有异于传统钓法(即或甩,或拖线)的一种新方式。只是当地人施钓时不用浮漂,也不用铅坠,只凭感觉将鱼饵下沉至半水施钓。较之笔者采用悬浮钓法并加铅坠与太空豆,将钓饵控制在蓝点马鲛觅食泳层的钓法效果较差,常因提竿时机把握不准而造成脱钩跑鱼。仅隔三天,笔者带另一钓友二次直赴此海域,采用“悬浮钓法”仅4个多小时就获鱼60余条近40千克。此法随后在当地被普遍采用,只是因其钓组具体匹配各有差异而获鱼不同。
优势及缺憾:此种钓法简单易学,且匹配得当,上钓率几乎百分之百,但钓位划定较繁杂,需各种因素同时具备。唯此,此种钓法只能在浅海贝类养殖区实施,其他海域是否可行有待于实践检验。
3.铁板路亚钓法
采用船上“铁板路亚”钓法施钓蓝点马鲛,因其钓具配备简捷、钓法刺激是近几年较时尚的一种钓法。
钓具配备:选用长度1.8米或2.1米的30克左右的路亚竿一支,匹配旋压式绕线轮如西玛诺3000~4000型,或双轴专业路亚绕线轮(俗称“鸭嘴轮”)。如SHIMAMO-MG1000。主线为低塑性(LoworZeroMemory)专用路亚线。子线一般为120厘米左右长“尼龙前导线”或裹塑钢丝线。铁板路亚30~50克不等数枚。
钓组匹配:主线穿过所有导环,线端系一小号或中号8字环,或采用“电线结”法直接与子线相连,再接于“路亚”。
具体钓法:钓点选位以鱼群经常游弋出没的岛屿矶礁的外延海域为好。抡竿抛出钓组不必太远,待“铁板”带动主线接近水面下8~10米左右,采用扬竿“抽动”的手法间歇收线。施钓同时注重“抽动”过程要有数秒时间的停顿后再接着“抽动”收线,直至收线至水面。如不中鱼,仍像前番作钓直至中鱼。
铁板施钓蓝点马鲛的截食吞钩动作主要有两步,一是突然截口,二是掉头急游离开原地。故在钓竿和手感上反应为:回线过程中突然受阻,竿体大弯,如同挂底并伴有大力向下拽去。同时竿体因惊鱼挣扎急游而左右上下摇动。此时应立即扬竿,使钩深扎鱼颌之上而顿住。同时摇动手柄并慢慢将竿体仍压向水面,保持竿体免遭受力过大而折断。并且要保持钓线绷紧,绝不能有松线现象,以免蓝点马鲛“洗腮”脱钩。2006年10月笔者在长海格仙岛采用船上“铁板”钓法施钓蓝点马鲛,上午10点左右,在岛西高排筏地便“抽”中一尾多年未见的近两千克的大鱼,一时全岛轰动。
优势及缺憾:此种钓法简单易学,只有匹配得当,上钓率几乎达百分之百。但此钓法需不断的抽动收线,比较出力受累、需有耐心与恒心。且一旦掌握不好常出现挂底丢饵现象。
另外,过去船上钓取蓝点马鲛还有一法,即一条小船通过二人合作,一人摇橹,一人站立船头观察鱼情,当发现鱼情时,摇橹加速,当追至钓组能达到蓝点马鲛群外延位置时,可改为一人掌橹,一人钓鱼。技术好的还可以一边摇橹一边甩线施钓。
季节和时间
蓝点马鲛鱼系温、热带海洋性鱼属,对水温,水质要求较高,凡严重污染海域难见其踪,大连地区每年从6月上旬开始就有蓝点马鲛在沿海出现,此时当地人称为“春鲅”,其回游群体密度较小,并多在浅水海域(水温较高区域)觅食,个体较小。从9月上旬至10月中旬,成年蓝点马鲛回游数量及密度较大,个体大多重600克以上,且觅食热情高涨,吞钩迅猛。出钓时段应选择在拂晓开始至日出和夕阳西下至日暮时间,中午时段很少觅食。特别是农历八月十五前后,是施钓蓝点马鲛的最佳季节,此段时间的清晨与傍晚,大连地区沿海礁头大多人满为患,抡竿抛线,此起彼伏。鱼上钩时钓友的兴奋及间或那一道道银亮的光影坠落于船头、岸边,礁头不失为最美丽的一道风景线。
地点
施钓蓝点马鲛鱼的最佳地点是滨海路北大桥~燕窝岭路段,老虎滩石槽,凌水桥老偏岛、二砣子、三砣子附近海域。
其中北大桥附近十一前后夜间还可以钓鳝鱼。鲅鱼炖冻豆腐、红烧鲅鱼、烤鲅鱼干

女婿给岳父岳母送鲅鱼的习俗是有起源的。岛城开埠之前,在民间流传着一个质朴无华的故事,说有一个父母双亡名叫小伍的孩子,被一位忠厚慈善的老人收养,待他长大成人后,因受环境和家庭的熏陶,同样成长为老实厚道的青年,收养他的老人就将自己的女儿许配给小伍为妻,小伍为报答老人的恩情,天天勤奋劳作,早晚种地,白天捕鱼。
有一年春天,正值鱼汛期,老人突然病倒,垂危之时想吃鲜鱼,可天公不作美,天天刮大风,无法出海捕鱼,眼看老人病情越来越重,小伍只好冒着生命危险出海了。家里的老人危在旦夕,女儿守在母亲的身边不停地说:“娘啊娘,你先别咽气,小伍一会儿就回来了。”老人听后点了点头:“好孩子,难为小伍了,罢了,罢了……”话没说完老人就咽了气。
就在此时小伍拿了一条大鲜鱼跑了回来,可老人已经去世了,夫妻二人悲痛欲绝,抱头大哭,只好把鲜鱼做熟后供在了老人的灵前,从那以后,小伍夫妻每年都要在老人的坟前供上这种初春刚捕到的大鱼,并按老人死前口中念叨“罢了,罢了”的哀叹为这种鱼起名为“罢鱼”,即现在的鲅鱼。从此,人们从小伍的经历中得到启示,那就是,老人能吃的时候,一定要让老人吃够,老人想吃的东西一定要让老人吃上,尤其是春天的鲅鱼。于是,春天送鲅鱼孝敬岳父岳母就这样积久成俗,流传至今。

蓝点马鲛(下文称鲅鱼)俗称鲅鱼、燕鱼、板鲅、马鲛、社交鱼、青箭等,为食用性鱼类,性凶猛贪食,游泳敏捷,体多蓝黑色,有暗色条纹或斑点,海产。是黄渤海的重要经济鱼类,大部分时间栖息在水体中上层,因此对于水域环境的变化敏感度较高。其鱼群位置的变动、渔获量的多少,都与黄渤海水域环境的变化息息相关。渔场中心位置的变动,往往受暖流、沿岸流与大河水流影响。目前鲅鱼广泛的分布在中国的东海、黄海和渤海。历史上在1855年黄河改道之前,其资源分布在渤海的数量并不多,自1855年黄河改道之后,其分布明显发生了变化,中心渔场开始由黄海北部向西移动,进入渤海,并扩展到渤海北部。渔业生物种群数量的变动,实际上是渔获量的变动。随着经济的发展,渔获量的多少,虽然与海中鱼类实际存在的数目有关,但是很大程度上人们所记录的数字和渔业发展以及捕捞技术有最直接的关联。建国之前,《地方志》的记载中,因较少记载鱼类捕捞的数量,所以不易考察其数量的变化,建国以后的新方志中有很多记载捕捞数量的资料,可以此为据进行考察以观其变化。虽然就黄渤海的海洋环境来说,水温、水质、深度、海流等条件均适合渔场的形成,而且浮游生物、饵料丰富的河口地带,以及寒暖流交汇地带也十分适合鱼类生殖繁衍。然而即便是有丰富的资源,也因为传统的渔业生产方式使得渔业发展一直处于近海范围内的小规模捕捞。大好的宝藏弃之于海洋,不免引起外人的垂涎。清末以来,由于日本的侵渔,科技的进步,环境的污染等诸多因素,使黄渤海的渔业生产在曲折中前进。生产技术的进步,是渔业生产的原动力,可使渔获量大大增加,渔业经济也随着生产技术的进步而发展。渔具和捕捞方法的创新都大大促进了渔业产量的增长。渔业生产工具经历漫长的演变,才有了今天现代化的捕捞方式。建国以来尤其是60至70年代,鲅鱼作为我国北部沿海地区的主要捕捞经济鱼类,产量一直很稳定,但是70年代末其种群资源数量发生了很大的波动,从渔获量的数字来看,某些区域已然形不成渔汛,甚至是出现了绝迹的现象,这主要是由于过渡捕捞的原因造成的。同时由于不断增加的海岸工程建设、生态环境污染、饵料生物短缺等原因,黄渤海鲅鱼种质资源一直处于严重威胁中。而在渔民社会中,在鲅鱼文化的聚集地,此种资源的影响不仅仅停留在经济和饮食上,甚至影响到了人们的精神文化生活。民间流传着与鲅鱼有关的丰富多彩的传说。鲅鱼公主的故事,使其成了美丽、勇敢、智慧、勤劳的化身;在美丽的海滨城市青岛,儿女给长辈送鲅鱼的习俗,更是代表着儿女对父母的孝心。每逢鲅鱼上市季节,青岛的年轻人就会拎着新鲜的鲅鱼回家孝敬老人,这种现象逐渐成为青岛当地一种独特的民俗风情,并有着积极的海洋文化内涵。

背鳍有5根弱小鳍棘,向后顺序增长。侧线止于尾柄前方。体侧有5条横带;第一条最窄,自背部穿过眼径达到…




黄姑鱼是鲈形目石首鱼科黄姑鱼属鱼类。黄姑鱼身体延长而侧扁,耳石尖圆形,…




攀鲈,是鲈形目攀鲈科攀鲈属一种。又称太阳鱼。其体侧扁,口次上位,…




黑鲷是鲈形目鲷科棘鲷属的一种硬骨鱼,俗称海鲋、青鳞加吉、青郎、乌颊、牛屎鱲、乌翅、黑加吉、黑立、海鲫和铜盆鱼等。体呈长椭圆形,侧扁,头中大,吻钝尖。口小,上、下颌等长;体被中等大的弱栉鳞,体侧通常有5~7条黑色条纹。背鳍棘坚硬,臀鳍第二鳍棘尤甚;体背部为灰黑色,侧线起点处有黑斑点,体侧常有数条不明显的暗褐色横带,腹部银白。黑鲷分布于中国、日本和韩国等地的沿岸、港湾及河口,属内湾性鱼类,在中国,以黄海、渤海数量较多。黑鲷为浅海、底层鱼类,喜栖于沙、泥底或多岩礁的清水中,为广温、广盐性鱼类,对于环境适应能力较强。黑鲷为杂食性鱼类,在自然海区,以软体动物的蛤类、小鱼虾类为主食,有时也吃海藻,人工养殖可采用低值鱼虾贝类或配合饵料投喂。黑鲷具有很强的繁殖力,雌雄同体,雄性先熟,怀卵量达200万~300万粒以上。黑鲷是名贵海产鱼之一,全体药食兼用。具有健脾利水、补气活血的功效;用于脾虚水肿、小儿脾胃不




小丑鱼是鲈形目雀鲷科小丑鱼属鱼类的统称。体长仅5—6厘米。身体色彩艳丽,…




朴蝴蝶鱼,Chaetodon modestus Temminck et Schlegel,蝴蝶鱼科…




鮸,是鲈形目石首鱼科鮸属暖温性中下层鱼类。身体延长而侧扁,有4个须孔;耳石椭圆形,…




四指马鲅是马鲅科、四指马鲅属鱼类。体延长而侧扁。头中大,前端圆钝。吻短而圆。眼较大,位于头的前部;…


















