
鲮是鲤形目鲤科鲮属鱼类,又名土鲮、鲮公。体梭形,侧扁,腹部圆,无腹稜,背部在背鳍前方稍隆起;头短,…




金菠萝鱼,Cichlasoma severum,慈鲷科丽体鱼属。成鱼体长20~25cm,厚侧扁形,…




三角灯鱼,是对鲤科三角波鱼属下的四种鱼类的统称,…




大头鲤的体形与鲤鱼十分相似,但头部较宽大,体形似鲤,所以得名“大头鲤”。在中医学上还可将其入药,具…




食蚊鱼,是鳉形目胎鳉科食蚊鱼属鱼类,其体长,稍侧扁,尾柄宽长,甚侧扁;头小,平扁;口小,上位,…




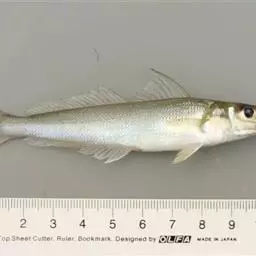
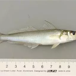
多鳞鱚,Sillago sihama ,鱚科鱚属的一种鱼类。主要分布于印度洋-西太平洋的热带海域,…




长吻鮠,又名江团、鮠鱼、肥头鱼等,为鲿科鮠属鱼类。长吻鮠是同类鱼中体型最大的一种,…




镜鲤是鲤形目鲤科鲤属鱼类。体形较粗壮,侧扁,头后背部隆起;头较小,眼较大;有颌须2对;鳃耙短小,…


















