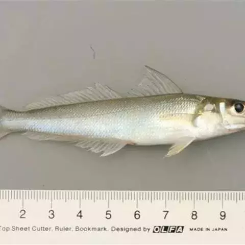
海鳗(学名:muraenesox cinereus),经济鱼类;凶猛肉食性鱼类。硬骨鱼纲鳗形目、海鳗科、海鳗属。体呈长圆筒形,尾部侧扁。尾长大于头和躯干长度之和。头尖长。 眼椭圆形。口大, 舌附于口底。上颌牙强大锐利,3行; 犁骨中间具10~15个侧扁大牙。体无鳞,具侧线孔140~153个。背鳍和臀鳍与尾鳍相连。体黄褐色, 大型个体沿背鳍基部两侧各具1暗褐色条纹。脊椎骨142~154个。广泛分布于非洲东部、印度洋及西北太平洋。中国沿海均产,东海为主产区。
基本信息

分布于长江口近海水域。

暖水性近底层鱼类。集群性交差,具有广温性和广盐性。通常栖息于水深50-80m泥沙底海域。有季节洄游习性。产卵场水深一般在20-40m,底质为沙泥,平均水温13.5~20摄氏度,盐度29~34.为较长寿命种类,最高可达16龄。凶猛肉食性鱼类,主要摄食虾、蟹、鱼类及部分头足类,几乎全年摄食,强度大。

海鳗体呈长圆筒形,尾部侧扁。尾长大于头和躯干长度之和。头尖 海鳗 长。 眼椭圆形。口大, 舌附于口底。上颌牙强大锐利,3行; 犁骨中间具10~15个侧扁大牙。体无鳞,具侧线孔140~153个。背鳍和臀鳍与尾鳍相连。体黄褐色, 大型个体沿背鳍基部两侧各具1暗褐色条纹。脊椎骨142~154个。 摄食强度以7~9月较高。海鳗有明显洄游现象。

海鳗食物以虾、蟹、小鱼、章鱼为主。海鳗科鱼类中,以海鳗、山口海鳗数量多、产量大,是重要的食用经济鱼类。海鳗为凶猛肉食性鱼类。游泳迅速,栖息于水深50~80米的泥沙或沙泥底海区。多栖居泥洞内,在浪大水浊时常出动觅食,傍晚和凌晨更为活跃。喜摄食虾、蟹、鱼类和乌贼等。

海鳗生殖期为4~7月。 怀卵量18~120万粒。卵球形,卵径1.64~1.67毫米。仔、稚鱼的发育有显著变态,从叶状体变为幼鳗在水温20℃约15天完成,这时的体长约70毫米。成鱼一般体长约 600毫米,重1~1.5千克。

百吉海鳗全长2米,身体褐色,无任何斑纹。下颌骨牙的外列向外突出,它的中列于犁骨牙之后,有尖头。分布于我国东海、南海,台湾,少数入黄、渤海,也分布于日本濑户内海。为凶猛的底层鱼类,栖息于泥沙底质或岩礁区,有时亦会进入河口区摄食。有季节性回游习性,每年春夏季时北上进行生殖回游,秋冬季南下越冬回游。游泳迅速,性贪食,摄食虾、蟹、鱼类等生物。山口海鳗为本种的同物异名。
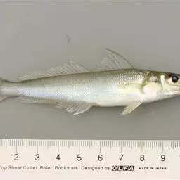
台湾丝尾海鳗全长43.5厘米。隶属丝尾属。分布于印度洋和太平洋。为暖水性的底层鱼类,一般喜栖息于水深50~80米泥沙底海区,有季节性洄游。主要以鱼类和无脊椎动物等为食。性凶猛,贪食。晴天,风平浪静,海水透明度大时,多栖居于泥质洞穴内而减少取食活动。每当风浪大,水质混浊时,多四处觅食,尤以日落黄昏至凌晨时更加活跃,游动迅速。食物以虾、蟹、小鱼、章鱼为主。产卵期一般在春季或夏季,怀卵量约18~120万粒,产卵场多在泥或泥沙处。肉质细嫩,含脂肪量高;鳔可作鱼肚,为名贵食品。海鳗产卵广泛。南海夏初为产卵期,绝对生殖力为18万~120万粒。

中国有2属5种:海鳗属的海鳗和山口海鳗的下颌无横卧牙,海鳗侧线孔140~153个,在中国各海区均有分布;山口海鳗侧线孔 128~134个,仅分布于南海和东海。鹤海鳗和原鹤海鳗的下颌具向外横卧牙,鹤海鳗头长约为胸鳍长4.1倍,仅分布于南海;而原鹤海鳗头长约为胸鳍长3.2倍,分布于南海和东海。细颌鳗属的细颌鳗体侧扁,尾部短于头与躯干部的合长,犁骨牙细小,前鼻孔不呈短管状,分布于南海和东海。

海鳗肉厚、质细、味美、含脂量高,可供鲜食、制咸干品或罐 海鳗 。海鳗肉与其他鱼肉掺和制成鱼丸和鱼香肠,味更鲜美而富有弹性。晒干品“鳗鱼鲞”和干制海鳗鳔均为食用佳品。
营养分析
1. 鳗鱼富含多种营养成分,具有补虚养血、祛湿、抗痨等功效,是久病、虚弱、贫血、肺结核等病人的良好营养品;
2. 鳗体内含有一种很稀有的西河洛克蛋白,具有良好的强精壮肾的功效,是年轻夫妇、中老年人的保健食品;
3. 鳗是富含钙质的水产品,经常食用,能使血钙值有所增加,使身体强壮;
4. 鳗的肝脏含有丰富的维生素A,是夜盲人的优良食品。
适宜人群
一般成年人均可食用
1. 适合于年老、体弱者及年轻夫妇食用;适用于病羸弱、五脏 台湾丝尾海鳗 虚损、贫血、夜盲人、肺结核、妇女崩溃带下、小儿疳积、小儿蛔虫以及痔疮和脱肛病人食用;
2. 患有慢性疾患和水产品过敏史的人、病后脾肾虚弱、痰多泄泻者忌服。
食物相克
鳗鱼忌与醋、白果同食。
食疗作用
鳗味甘、性平,入肝、肾、脾经;
具有补虚、养血、祛湿、抗痨等功效;
适用于久病羸弱、五脏虚损、贫血、肺结核、妇女崩溃带下、小儿疳积、小儿蛔虫以及痔疮和脱肛病人食用。
鳗鱼治疗结核病,中国古代有丰富的经验记载,日华诸家本称其主治传尸痨(肺结核)。
唐孟洗说:“主治五痔,疮瘘,诸疮痹疬(包括淋巴结核,肛门结核)”。
宋苏颂说:“以五味食治久病劳瘵”。梁陶宏景用之治诸瘘疮。
宋《圣惠方》用之治骨蒸劳瘦。明李时珍用之治小儿疳痨等等,不胜枚举。
还有李时珍引《稽神录》的一个故事,生动地说明鳗鱼的抗肺痨作用,说有人病瘵(肺结核,古时称劳瘵)相传互相传染,死者多人,因取病人弃于江边以绝害。渔人见之,乃一女子,犹活,取置渔舍,日以鳗鱼喂之,渐愈,遂为渔人之妻。(沈括《梦溪笔谈》亦载此故事)。

东海主要经济鱼类。长江口水域常见,长江口渔场捕获期6-10月。近年来东海区年产量达到15万吨。约占全国的55%,虽然渔获量呈现上升趋势,但渔获个体显著小型化,种群结构失衡,资源呈严重衰退趋势。

红魔鬼鱼,学名为厚唇双冠丽鱼,也叫火鹤鱼,是慈鲷科丽体鱼属下的一种观赏鱼类。血鹦鹉鱼的父本鱼种。…




攀鲈,是鲈形目攀鲈科攀鲈属一种。又称太阳鱼。其体侧扁,口次上位,…




云南华鲮,学名:Sinilabeo yunnanensis ,为辐鳍鱼纲鲤形目鲤科华鲮属的一种鱼类…




金鲳鱼属硬骨鱼纲、鲈形目、鲹科、鲳鲹属,学名卵形鲳鲹,俗名黄腊鲳、金鲳。该鱼体侧扁,卵圆形,…




鲫是鲤科、鲫属鱼类,体长46.9-255毫米。体长椭圆形,侧扁,背鳍始点处体最高,…




云斑海猪鱼,学名:Halichoeres nigrescens ,为隆头鱼科海猪鱼属的一种鱼类。分…




棘鳅为刺鳅科初级澹水鱼类。 体呈长条状,似泥鳅,吻端尖且向前突出,口下位。背、臀鳍前有一排…




沙丁鱼是鲱科、沙丁鱼属鱼类。为细长的银色小鱼,体长15-30厘米,鳃盖骨上有显著放射状隆起线,…
























