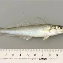
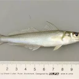
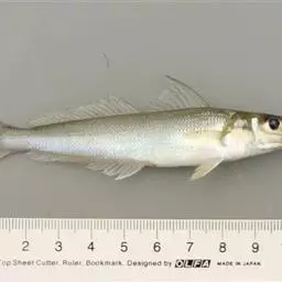
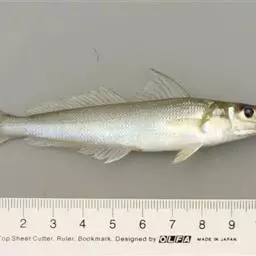
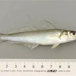
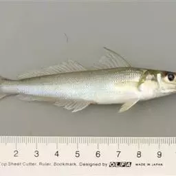
黄姑鱼(学名:Nibea albiflora)是石首鱼科、黄姑鱼属鱼类。体延长,侧扁,背部稍隆起。吻稍突出;口裂大,端位,倾斜,上颌长于下颌,上颌骨后缘延伸达瞳孔后缘。鼻孔2个,椭圆形后鼻孔约为前鼻孔的两倍。前鳃盖具锯齿缘,鳃盖具2扁棘;具拟鳃;鳃耙细长。除吻端、眼下部、颊部及喉前部为圆鳞外,余皆被栉鳞;臀鳍基有一列鞘鳞;尾鳍布满小圆鳞。背腹鳍基起点约相对;胸鳍基上缘点在背腹鳍基起点前,鳃盖后下方;尾鳍楔形;臀鳍第二硬棘粗大,长度约为眼径的2.1倍。耳石为黄姑鱼型,腹面蝌蚪形印迹之“尾区”呈“J”字型,末端达耳石外缘。腹腔膜有细黑点,胃为卜字形,幽门垂7-9个,肠为2次回绕型,鳔为黄姑鱼型,前端为圆角之方形,附枝20-25对,第一对附枝伸入头区。体侧上半部紫褐色,下半部银白带澄黄色,体侧每一鳞片皆具褐斑,呈向前下方倾斜的条纹。背鳍基部黑褐色,软条部浅褐色,末缘深褐色,每一软条基部前缘皆有一深褐色点;尾鳍浅黄褐色;臀鳍及腹鳍黄色有褐色细斑;胸鳍浅褐色,鳍基内缘有黑斑。鳃盖青紫色。鳃腔黑色。口腔白色。
黄姑鱼为近海中下层鱼类。喜栖息于水深70-80米、泥或沙泥底海域。具明显季节洄游习性,具有发声能力,特是鱼群密集生殖盛期。幼鱼主要摄食小型虾类、幼鱼和多毛类,成鱼以小型鱼类、虾类和双壳类等底栖生物为主。分布于西北太平洋区,包括中国、日本、韩国、朝鲜、越南。
基本信息

背鳍Ⅹ,Ⅰ-28;臀鳍Ⅱ-7;胸鳍17;腹鳍Ⅰ-5;尾鳍16。侧线鳞50-52,侧线上鳞9-10,侧线下鳞9-10。鳃耙6+11。椎骨25。体长为体高长3.2-3.4倍,为头长3.2-3.3倍。头长为吻长3.4-3.5倍,为眼径4.5-4.7倍,为眼间隔3.8-4.0倍。尾柄长为尾柄高2.8-3.0倍。
体延长,侧扁,背部稍隆起。吻稍突出;口裂大,端位,倾斜,上颌长于下颌,上颌骨后缘延伸达瞳孔后缘;口闭合时上颌外列齿外露,上颌齿最外列齿扩大成犬齿状,下颌齿最内列齿扩大,前端为一撮细齿群;吻缘孔5个,中央缘孔为圆形,内、外侧缘孔沿吻缘叶侧裂,在外侧缘孔处吻缘叶成3片状;吻上孔5个,中央3孔圆形,左右各有一外侧上孔;颏孔为似5孔型呈弧形排列,中央颏孔隔成2孔;眼眶下缘距前上颌骨水平线有一鳞片宽。鼻孔2个,椭圆形后鼻孔约为前鼻孔的两倍。前鳃盖具锯齿缘,鳃盖具2扁棘;具拟鳃;鳃耙细长。除吻端、眼下部、颊部及喉前部为圆鳞外,余皆被栉鳞;臀鳍基有一列鞘鳞;尾鳍布满小圆鳞。背腹鳍基起点约相对;胸鳍基上缘点在背腹鳍基起点前,鳃盖后下方;尾鳍楔形;臀鳍第二硬棘粗大,长度约为眼径的2.1倍。耳石为黄姑鱼型,腹面蝌蚪形印迹之“尾区”呈“J”字型,末端达耳石外缘。腹腔膜有细黑点,胃为卜字形,幽门垂7-9个,肠为2次回绕型,鳔为黄姑鱼型,前端为圆角之方形,附枝20-25对,第一对附枝伸入头区。体侧上半部紫褐色,下半部银白带澄黄色,体侧每一鳞片皆具褐斑,呈向前下方倾斜的条纹。背鳍基部黑褐色,软条部浅褐色,末缘深褐色,每一软条基部前缘皆有一深褐色点;尾鳍浅黄褐色;臀鳍及腹鳍黄色有褐色细斑;胸鳍浅褐色,鳍基内缘有黑斑。鳃盖青紫色。鳃腔黑色。口腔白色。
初孵仔鱼全长1.54毫米,肌节25-27对,油球位于卵黄囊后下方,肛门位于第十、十一肌节处,体上四处色素丛除眼周围的分化成前、后两小丛外,其他3处及油球上的色素无变化。全长2.84毫米仔鱼,肌节26-28对,卵黄囊已全吸收,口已微裂,肛门已开口体外,胸鳍芽出现,五丛色素开始分化,尾部中段色素丛明显,出现少量黄色素点。全长5.04毫米仔鱼,肌节23-24对,鱼体透明度减小,鳃盖形成,背鳍和尾鳍开始分化,胸鳍出现数根鳍条,尾部鳍条5根,体背部色素丛开始消失,尾部腹面一列色素仍很明显,胸腔后方出现一团星状黑色素块。全长10.70毫米稚鱼,肌节23-24对,椎骨23-24节,尾楔形,已具幼鱼体形,各部器官已完善。

黄姑鱼为近海中下层鱼类。喜栖息于水深70-80米、泥或沙泥底海域。具明显季节洄游习性,具有发声能力,特是鱼群密集生殖盛期。越冬期间主要分布在黄海南部和东海北部外海。每年初春鱼群开始北上生殖洄游,4月上旬主群在北纬35°30′以南、东经123°00′以东,4月中旬到达石岛东南,后分为两攴,一支游向乳山外海,主群继续北上,鱼群到达成山头后又分为两支:一支游向鸭绿江口一带,另支向西越过渤海海峡进入渤海。也有鱼群游向连云港和舟山群岛等处作产卵洄游。幼鱼主要摄食小型虾类、幼鱼和多毛类,成鱼以小型鱼类、虾类和双壳类等底栖生物为主。

分布于西北太平洋区,包括中国、日本、韩国、朝鲜、越南。在中国分布于渤海(在渤海湾北起河北的秦皇岛、南达天津的歧口)、黄海、东海、南海。
黄姑鱼分布图

产卵场比较集中和明显的有:中国莱州湾东部,鸭绿江口至大洋河口附近,渤海东南部,辽东湾北部,乳山外海及东海区舟山群岛一带,产卵期为5月上旬至6月下句,盛期为5月中、下句,产卵水深在5-10米之间,产卵初期底温约15℃,盛期18℃,末期23℃,盐度26-28‰,底质为硬沙泥。
卵球形,浮性,卵膜薄、表面光滑,卵径0.83-0.87毫米,卵黄均匀,卵黄周隙小,油球1个,无色透明,球径约为0.24毫米。受精后12小时30分钟原口封闭,克氏泡出现;受精后13小时左右,在胚体背面出现分布不规则的点状黑色索。受精后17小时20分钟,晶体出现,鳍膜生出,脑已开始分化,胚体背面出现少量浅棕色粒状色素,油球上部星状黑色素增多,油球下部出现较多的点状黑色素。

苗种放养前准备:鱼苗下池前,养殖池、进排水系统等要进行彻底清洗和消毒,以杀灭细菌等有害生物,使用浓度为20毫升/升的高锰酸钾溶液全池泼洒,20分钟后冲洗干净进行蓄水。或者使用浓度为1-2%的次氯酸钠溶液进行全池泼洒,24小时后冲洗干净进行蓄水。
种苗的放养及密度:养殖池为6.7米×3米×1.2米。鱼苗放养时间为8月中旬,鱼苗规格为8-10厘米,放养时水温为(24±1)℃,放养密度为150-180尾/平方米,水位为1.0米。入池时鱼苗游动活泼,无畸形,无伤残。能够在池底集群游动,受刺激或惊吓时能够迅速游动。随着鱼苗生长而逐步降低放养密度,进行分池养殖。
水质管理:养鱼池采用直接供水、排水。黄姑鱼为近底层鱼类,容易搅动池底的残饵与粪便,使水质变浑,水色发黄,需要及时进行清污换水,日换水量为200%,上午、下午各一次。换水时,水位不宜过低,应保持水位在0.15-0.2米以上以避免擦伤。黄姑鱼鱼苗体表脆弱,水位过低会造成体表擦伤,鱼鳞脱落,严重时可造成死亡。排水水位至0.2米时,进排水同时进行,保证养殖池全部换水。
饵料投喂:采用人工配合饵料进行饲喂,遵循少量多次的投喂原则。饵料中添加大蒜素和维生素C钠粉。大蒜素可以促进生长,提高生长速度和成活率,具有诱食和改良肉质的功能,用量为每千克饵料添加0.5克大蒜素。维生素C钠粉可以增加抵抗力,促进生长,用量为每千克饵料添加1.5克维生素C钠粉。鱼苗早期养殖时每日投喂3次,投喂时间为8点、12点、16点。投喂方式为定点投喂,经过长时间的多次定点投喂,在投喂时鱼苗会集群游过来摄食。投喂开始时少量投喂,当鱼苗集群过来摄食时大量并快速投喂,当鱼苗减慢摄食时,减少投喂量,并在停止摄食时继续投喂少量饵料,以保证体质瘦弱的鱼苗可以得到摄食。随着鱼种体重的增加和体长的增长逐渐增大饵料粒径,投喂次数可以减少到每日1-2次。投喂量以鱼苗体重计,按体重的5-8%投喂,随着黄姑鱼体重的增长,摄食量逐渐降低。当水温低于14℃时,要适当减少投饵次数和投喂量。
在12月中旬,水温降至15℃时,对鱼苗进行越冬管理。越冬时间为12月中旬至第二年3月中旬。
越冬池为9米×5米×1.5米。鱼苗搬入越冬池前一天停止进食,移入越冬池后,用8-10毫克/升盐酸土霉素全池泼洒,盐酸土霉素具有对革兰氏阳性菌、革兰氏阴性菌起抑制作用,对衣原体、立克氏次体、霉形体、螺旋体等也有一定的抑制作用。对于体表受伤出现红肿的鱼,可使用红霉素软膏涂抹,以预防病菌感染。
越冬池水深1米,越冬期间,随着温度的降低,黄姑鱼摄食量逐渐减少,可适当降低投喂频率及投喂量。当水温降至12℃时,黄姑鱼摄食明显减少;水温降至9℃时,基本停止摄食。越冬期间黄姑鱼因摄食量减少,新陈代谢减慢,排泄物大量减少,可适当减少换水量,日换水量为50-100%。当水温低于10℃时,使用加热棒(或其它加热方法)进行升温,维持鱼池水温10℃以上,以保证黄姑鱼安全过冬。
在养殖过程中,黄姑鱼常见的疾病有双阴道虫病、淀粉卵甲藻病、车轮虫病和盾纤毛虫病。
为减少鱼病的发生,每隔15天进行一次倒池。因黄姑鱼体表脆弱容易擦伤,倒池时一定要小心。并且在倒池后进行8-10毫克/升盐酸土霉素进行浸泡,连续进行3天。
淀粉卵甲藻病
病状鉴别:主要寄生于海水鱼类的鳃上,其次是皮肤、鳍等处,严重伤害上皮细胞,被寄生的细胞发生变性,周围的细胞混浊肿胀增生,组织发炎、出血,甚至坏死崩落,严重者组织崩坏、软骨外露,呼吸机能发生障碍,随即死亡。
病情分析:该病于3-9月,水温20-30℃时流行,是室内育苗主要病害之一。随着鱼苗的长大,一方面密度加大,另一方面随着投饵量加大,残饵与排泄物增加,使池水富营养化,给病原体的繁殖提供了适合的环境条件。21-23℃的水温也是该病原体繁殖的适宜温度。
治疗方法:①在淡水中浸泡3-5分钟。②使用1毫克/升硫酸铜、硫酸亚铁混合溶液进行全池泼洒浸泡,硫酸铜、硫酸亚铁比率为7:3,连续使用3天。
车轮虫病
病状鉴别:车轮虫病的病原体主要寄生在鱼的皮肤、鳍、头部和鳃上。车轮虫寄生严重时,鱼体分泌大量粘液,在密集的部位,如头部、鳍和体表等处出现一层白翳,俗称“白头”、“白嘴”。车轮虫寄生鱼眼睛上过多,会造成瞎眼病;寄生鱼鳃上,严重时出现烂鳃病。
病情分析:一年四季都发生,主要发生在春季和初夏,水温在20-28℃时为流行盛期。
治疗方法:①在淡水中浸泡3-5分钟。②使用1毫克/升硫酸铜、硫酸亚铁混合溶液进行全池泼洒浸泡,硫酸铜、硫酸亚铁比率为7:3,连续使用3天。
盾纤毛虫病
病状鉴别:感染初期病鱼皮肤颜色发白,病灶处外观表现为浮肿状;严重感染个体的病灶处皮肤发生溃烂、出血。解剖可观察到病鱼多有腹水;肝脏充血,部分病鱼肝脏内可观察到有虫体存在;胃及肠壁充血、发炎,肠内常见有白色粪便。镜检病灶处组织可见大量活动的盾纤虫。
病情分析:盾纤毛虫属兼性寄生虫,在苗期、养成期和亲鱼培育期均可发生,传染快,发病率高,可引起大规模海水养殖鱼死亡。全年均可发病,主要发生在4-8月。
治疗方法:使用1毫克/升硫酸铜、硫酸亚铁混合溶液进行全池泼洒浸泡,硫酸铜、硫酸亚铁比率为7:3,连续使用3天。
注意:硫酸铜和硫酸亚铁混合溶液具有灭杀盾纤毛虫的功效,但在黄姑鱼养殖使用过程中并不能完全灭杀盾纤毛虫,只能起抑制作用,降低鱼病爆发和死亡。在浸泡过程中要注意观察鱼的活动情况,发现异常应马上换水。

保护级别:列入《世界自然保护联盟濒危物种红色名录》(IUCN 2016年 ver 3.1)——无危(LC)。

黄姑鱼系次要海产经济鱼类。沿海各渔场以春、夏两季为旺汛,产量以渤黄海最多,南海最少。味鲜美,油炸、清蒸、煮食皆宜。主要为鲜销及冰冻销售,部分制成干品。鳔和耳石可作药用。

金鲳鱼属硬骨鱼纲、鲈形目、鲹科、鲳鲹属,学名卵形鲳鲹,俗名黄腊鲳、金鲳。该鱼体侧扁,卵圆形,…




攀鲈,是鲈形目攀鲈科攀鲈属一种。又称太阳鱼。其体侧扁,口次上位,…




多鳞鱚,Sillago sihama ,鱚科鱚属的一种鱼类。主要分布于印度洋-西太平洋的热带海域,…




白腹鲭是鲭科、鲭属鱼类。体纺锤形,稍侧扁;背缘和腹缘浅弧形;尾柄细短,尾鳍基部两侧各具2条小隆起脊…




炸弹鱼,英文名:Bullet mackerel,又名鲣鱼, 炸弹鱼属金枪鱼科鱼类。…




刺鳅是合鳃鱼目刺鳅科刺鳅属鱼类,俗称钢鳅、刀鳅、石锥。体细长,前端稍侧扁,…




竹荚鱼,日语称:あ じ 也称马鲭鱼。广泛分布于我国沿海及朝鲜、日本沿海等水域。这种鱼为中上层洄游性…




孔雀鲷,Aulonocara jacobfreibergi Lwanda,慈鲷科孔雀鲷属。


















