
孟加拉豆娘鱼,又称孟加拉雀鲷,为辐鳍鱼纲鲈形目隆头鱼亚目雀鲷科的其中一种,属杂食性,…




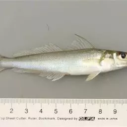
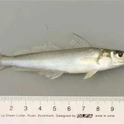
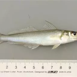
多鳞鱚,Sillago sihama ,鱚科鱚属的一种鱼类。主要分布于印度洋-西太平洋的热带海域,…




金线鱼,俗名金线鲢、黄线、红三、红衫,为辐鳍鱼纲鲈形目金线鱼科的其中一个种。




鳜鱼,汉语拼音:guì yú是一种家常的可以食用的鱼类,又名菊花鱼、鳜花鱼、桂花鱼、桂鱼、鳌鱼、脊…




金钱鱼,学名Scatophagus argus,英文名Spotted scat,商品名为金鼓鱼。…




罗汉鱼,是鲈形目慈鲷科慈鲷属的鱼类。其体形侧扁,体长与体高基本相等;头额突出,眼圈朱赤,…




蜂巢石斑鱼,Epinephelus merra ,鮨科石斑鱼属的一种鱼类。俗名:网纹石斑鱼、蜂巢格…




灰额刺尾鱼,Acanthurus glaucopareius Cuvier,刺尾鱼科刺尾鱼属的一种…


















