横带刺尾鱼(学名:Acanthurus triostegus(Linnaeus,1758),刺尾鱼科刺尾鱼属的一种鱼类。俗名条纹刺尾鱼。鱼吻及下颌周围有淡色环。体被细小栉鳞。体色较浅、有白色、白中带绿甚至灰色或黄色等不同色彩、体侧具5条纵向黑色条纹,其中一条经过鱼眼。体侧非常扁平,鳃耙、背鳍和臀鳍不明显。尾柄两侧各有一向前棘。平均长度17厘米,最长27厘米;体长为体高的2.3倍。此鱼大洋底栖性,为暖水珊瑚礁鱼类。
基本信息

分布于印度——泛太平洋海域,西起东非,东至巴拿马 横带刺尾鱼分布区域 ,北起日本南,南至罗得豪岛、帕拉岛及杜夕岛(包含密克罗尼西亚)。
主要分布国家和地区:孟加拉国、英属印度洋领地、圣诞岛、可可岛、科摩罗、印度、印度尼西亚、伊朗、肯尼亚、马达加斯加、马尔代夫、毛里求斯、马约特岛、莫桑比克、缅甸、阿曼、留尼汪、塞舌尔、索马里、南非、斯里兰卡、坦桑尼亚、泰国、也门。

栖息水深:0-90米,栖所温度:24-26℃。
主要生活在潟湖和面海珊瑚礁水域;蓄潮池及其他近岸栖息地,如低浅海滩侵蚀带也有发现。

背鳍硬棘数:9枚;背鳍软条数:22-26枚;臀鳍硬棘数:3枚;臀鳍软条数:19-22枚。
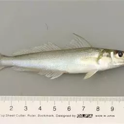
体呈椭圆形而侧扁。头小,头背部眼前稍凸。口小,端位,上下颌各具一列扁平齿,齿固定不可动,齿缘具缺刻。背鳍及臀鳍硬棘尖锐,各鳍条皆不延长;胸鳍近三角形;尾鳍略内凹或近截形。体一致为具光泽之灰绿色至黄绿色,腹面白色,体侧与腹面颜色相交处另具1条波状黑色纵纹,随着成长而明显;头部及体侧共约有5条黑色横色,第一条横带贯穿眼部而成1条眼带,最后一条则位于尾柄前方;尾鳍前方之尾柄背侧另具1条黑色鞍状斑,腹侧则有1个黑点;头背侧由眼间隔至吻端的正中央另具1条黑色窄带;各鳍淡色至黄绿色。
注:横带刺尾鱼图片来源。

单独或结群出游,活动区域较小于其它刺尾鱼。遭遇突然情况时,会出现强直静止行为。草食性,习惯啃食珊瑚和岩礁上的海藻,也会成群觅食丝状藻。

横带刺尾鱼繁殖期成群聚集,群中个体数以万计,其中每10-20只个体形成子群。结对产卵也有过发现。
赤道附近的种群可在全年任何时间产卵,其它地区的种群季节性繁殖,比如夏威夷附近海域的横带刺尾鱼,只在2-3月的满月期产卵,产卵前迁徙2公里到达向海一侧的礁石繁殖地或连接潟湖和海洋的水道。从孵化的柳叶状稚鱼到幼鱼阶段,体长增加3.2厘米。双亲对后代不提供亲代抚育。

一般以流刺网、延绳钓或潜水镖鱼法等捕获。观赏及食用兼具。剥皮后,煮姜丝汤,肉质鲜美。尾柄上骨质盾板非常锐利,易伤人,处理时需小心。因食物鲢之关系,可能具热带海鱼毒。

列入《世界自然保护联盟》(IUCN)2012年濒危物种红色名录ver 3.1——无危物种(LC)。

横带刺尾鱼学名:Acanthurus triostegus,由瑞典自然学者-卡尔·林奈(Carl Linnaeus)于1758年命名。

横带刺尾鱼,刺尾鱼科刺尾鱼属的一种鱼类。俗名条纹刺尾鱼。鱼吻及下颌周围有淡色环。体被细小栉鳞。体色…




灰额刺尾鱼,Acanthurus glaucopareius Cuvier,刺尾鱼科刺尾鱼属的一种…




灰额刺尾鱼,Acanthurus glaucopareius Cuvier,刺尾鱼科刺尾鱼属的一种…




横带刺尾鱼,刺尾鱼科刺尾鱼属的一种鱼类。俗名条纹刺尾鱼。鱼吻及下颌周围有淡色环。体被细小栉鳞。体色…




黄高鳍刺尾鱼其体卵圆而侧扁,背鳍及臀鳍硬棘尖锐,前方软条较后方延长,呈伞形;尾鳍截平。尾棘在尾柄前部,…




黄高鳍刺尾鱼其体卵圆而侧扁,背鳍及臀鳍硬棘尖锐,前方软条较后方延长,呈伞形;尾鳍截平。尾棘在尾柄前部,…


















