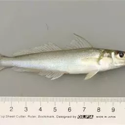
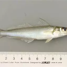
鳜鱼(Siniperca chuatsi),汉语拼音:guì yú是一种家常的可以食用的鱼类,又名菊花鱼、鳜花鱼、桂花鱼、桂鱼、鳌鱼、脊花鱼、胖鳜、花鲫鱼、母猪壳等。
鳜鱼属凶猛肉食性鱼类,性凶猛,常以其它鱼类为食,幼鱼喜食鱼虾,成鱼以吃鱼类为主,冬季停止摄食。
基本信息

体高侧扁,背隆起,头大、口裂略倾斜,两颌,犁骨均具绒毛状齿,上下颌前部的小齿成犬齿状;体色棕黄,腹灰白,圆鳞甚细小;体侧有不规则暗棕色斑块、斑点。大的能长到十几斤重。

属凶猛肉食性鱼类,性凶猛,常以其它鱼类为食,幼鱼喜食鱼虾,成鱼以吃鱼类为主,冬季停止摄食。
常栖息于静水或缓水域底层,冬季在水深处越冬,春季天气转暖后常到沿岸浅水区觅食,觅食多在夜间。
雨后常在急流处产卵,喜群集,鳜鱼还有成对活动的习性。在一条鳜鱼后面往往还有一条紧随其后。

鳜鱼繁殖季节一般在5月中旬至7月上旬。雌鱼两年达性成熟,雄鱼一年可达性成熟。成熟的鳜鱼在江河、湖泊、水库中都可自然繁殖,一般在下雨天或微流水环境中产卵,受精卵随水漂流孵化。

鳜鱼分布很广,除青藏高原外,分布于全国各主要水系,各大河流水系及各淡水湖泊中均有繁殖。

肉质优良,为名贵品种,也是垂钓的主要对象。“桃花流水鳜鱼肥”,指的就是在农历三月是鳜鱼鲜美的时刻。鳜鱼生长快,品质优良。肉嫩无小刺,是分布很广的淡水鱼,主要以其他小鱼为食料。垂钓鳜鱼一般选择在有树桩、木排或大乱石堆的区域。期间有小鱼穿游其间,成为钓鳜鱼的天然鱼场。可选用常见的沙里爬,活泥鳅等小活鱼作为鱼饵。垂钓时,可选用鱼钩钩在鱼背处,保持鱼的活性,可以在水中自由活动。鳜鱼捕食凶猛,上钩时浮漂反应剧烈,一般不会脱钩,但要注意它的背鳍,和胸鳍,要是被刺伤是极难受的。

普通称做"花鲫鱼",即鱼贩和厨人讹称的"桂鱼"。鳜鱼四时皆有,尤以三月最肥。张志和的词:"桃花流水鳜鱼肥",吴雯的诗:"万点桃花半尺鱼",可见古今文人对鳜鱼的赞许。在没刺的鱼类中,鳜鱼是最鲜嫩的。最妙的做法是清蒸。饭馆里平日所做的整鱼,常用鳜鱼,醋溜、红烧、酱汁、五柳都可。零做的如滑溜、瓦块、糟溜、锅塌鱼、葱椒鱼、高丽鱼条、抓炒鱼等,全和黄鱼做法相同,是北京最常用的鱼。

1 病因:
主要由大型球状彩虹病毒感染所引起。
2 症状:
病鱼口腔周围、鳃盖、鳍条基部和尾柄处充血, 有的病鱼眼球突出或有蛀鳍现象;大部分病鱼鳃、肝脏发白, 内脏器官充血, 特别是胃部有块状充血, 伴有腹水, 肠内充满黄色黏液, 往往与寄生虫及细菌交叉感染。
3 流行情况:
该病发病率高, 传染性强, 死亡率高达90%以上。流行高峰期为7月-9月, 流行水温20-30℃。主要危害10cm以上的鳜鱼苗种。
4 防治方法:
(1) 保持水质良好, 增强鱼体抵抗力, 采取措施控制早期病情发展。 (2) 定期泼洒含氯制剂 (二氧化氯、溴氯海因等) 或聚维酮碘水溶液等来预防此病。 (3) 发病后可用巨威碘、双氧氯全池泼洒, 隔天1次, 连续泼洒2-3d。 (4) 将乳酸、恩诺沙星与VC、VE提前1小时投喂饵料鱼, 再用饵料鱼投喂鳜鱼, 连喂2-3d。
1 病因:
由柱状黄杆菌感染所致。
2 症状:
病鱼鳃丝腐烂发白, 鳃丝末端常附着污泥和较多黏液, 严重时病鱼鳃盖中央表面常常被腐蚀成近圆形不规则的透明小孔, 鳃丝软骨外露, 鳃充血发炎。
3 流行情况:
流行高峰期为5-9月, 水温为15-30℃, 水温越高, 越容易发生, 且病情越严重。鱼种发病率高于成鱼。当鱼体受伤、放养密度大、水质不良时, 可促进其流行。
4 防治方法:
(1) 先镜检鳃、鳍条和体表是否有寄生虫, 如有寄生虫先用“千虫净”或“杀虫灵”等杀灭。 (2) 用2-3g/m3大黄浸液连续泼洒2天, 或用双氧氯与大黄浸液全池泼洒。 (3) 定期泼洒15-20g/m3生石灰液, 可起预防和治疗效果。 (4) 发病时可用五倍子2-4mg/kg, 磨碎后浸泡过夜全池泼洒;也可全池泼洒二氧化氯0.2-0.3mg/kg等含氯制剂。
1 病因:
主要由嗜水气单胞菌等细菌所引起。
2 症状:
病鱼下颌、鳃盖、食眼、肛门周围和鳍条基部出现点状和块状充血。解剖观察, 可见胃和肠壁有点状出血, 无食物, 肝脏呈现苍白色, 胆囊肿大, 腹腔内有较多腹水。
3 流行情况:
发病高峰期为7-9月, 鱼种、成鱼都会感染发病, 水质较差和防病措施不严更容易发生。
4 防治方法:
(1) 定期用10g/m3生石灰或二氧化氯全池泼洒, 以调节水质。 (2) 用0.4g/m3二氯异氰脲酸钠全池泼洒。 (3) 用1-2g/m3大黄浸液连续泼洒2天。 (4) 100g饲料加10kg灰茎辣蓼 (粉碎后温水浸泡) 均匀拌和、晾干, 于下午3-4时按鱼体重10%投喂池中饵料鱼, 连喂2-3d。
1 病因:
由肠型点状气单胞菌感染所致。
2 症状:
早期剖开肠管, 可见肠壁局部充血发炎, 肠腔内没有食物;后期全肠呈红色, 内有淡黄色黏液, 肛门红肿。
3 流行情况:
从鱼种至成鱼都可发生此病。水温在18℃以上开始流行, 流行高峰在水温25-30℃的4-6月。
4 防治方法:
(1) 彻底清塘消毒, 保持水体优良, 严格执行“四消四定”措施。 (2) 用大蒜拌饵投喂, 按鱼体重10-20g/kg的量投喂, 连服4-6天为一个疗程。 (3) 用黄芩拌饵, 按鱼体重2g/kg的量投喂, 连服4-6天为一个疗程。 (4) 用黄柏磨成粉末拌饵投喂, 按鱼体重3-6g/kg, 连服用4-6天为一疗程。 (5) 食盐、漂白粉合剂。每50kg鱼, 取漂白粉和食盐各25g, 溶解拌入饵料投喂, 每日1次, 连用3天。
1 病因:
由霉菌感染所致。
2 症状:
霉菌最初寄生时, 肉眼不易察觉。随着菌丝大量生长, 在鱼卵表面或鱼苗表皮可以肉眼观察到棉絮状附着物。
3 流行情况:
主要危害鱼卵和早期鱼苗, 是影响孵化率的主要病害。一年四季均可发生, 但以早春、晚冬水温较低时 (13-18℃) 最为流行。
4 防治方法:
(1) 鳜鱼产卵后, 受精卵用甲基蓝浸泡消毒。 (2) 鱼苗脱膜后及时捞除坏卵和卵膜。 (3) 孵化期间每天用1.5g/m3高锰酸钾在孵化缸或环道内泼洒1次。 (4) 鱼苗用2%-3%食盐水浸浴2分钟, 连续3天。
1 病因:
由车轮虫属的一些种类大量寄生所引起。
2 症状:
此虫寄生于鳜鱼的鳃和体表, 被感染的鱼分泌大量的黏液, 造成呼吸困难而死亡。以显微镜观察到虫体为准。
3 流行情况:
一般由于鱼苗、鱼种放养密度大或池小、水浅、水质不良、营养不足或连续阴雨天气而引起车轮虫病的暴发。流行于5-7月, 适宜水温20-28℃。严重危害鱼苗、鱼种, 尤以夏花培育阶段死亡率高。
4 防治方法:
用硫酸铜和硫酸亚铁合剂 (5∶2) 全池泼洒, 浓度为0.7mg/kg进行治疗或用苦楝树叶浸沤于苗种池来抑制车轮虫的繁殖而达到预防作用。
1 病因:
由多子小瓜虫寄生所引起。
2 症状:
虫体寄生于鳜鱼的体表和鳃部, 表面覆盖一层黏液, 肉眼可见白色小点状囊泡, 显微镜观察囊泡, 可见有小瓜虫在低倍镜视野内迅速运动。病鱼游动缓慢, 运动失调, 因呼吸困难窒息而死。
3 流行情况:
此虫各龄鱼均寄生, 但主要危害鱼苗、鱼种, 全国各地均有流行。适宜的水温为15~25℃, 流行于初冬、春末。当过度密养, 鱼体消瘦时易得病, 3-4d后即可大批死亡。
4 防治方法:
每公顷水面 (水深1m) 用干辣椒粉3.75kg、较干的生姜2.25kg混合加水煮沸后全池泼洒, 煮时先将生姜煮开, 再加辣椒粉。
1 病因:
由斜管虫寄生所引起。
2 症状:
病鱼体表黏液增多, 表皮发炎, 甚至坏死脱落, 鳃丝末端腐烂, 呼吸困难而死亡。
3 流行情况:
主要危害鱼苗、鱼种, 为一种常见病。虫体生长繁殖水温为12-18℃, 3-5月为流行季节。
4 防治方法:
(1) 彻底清塘, 做好水源消毒工作, 保证池水清新, 溶解氧充足。 (2) 硫酸铜和硫酸亚铁合剂 (5∶2) 0.7mg/kg全池泼洒进行治疗。
1 病因:
由中华鳋寄生所引起。
2 症状:
肉眼可见病鱼的鳃丝末端内侧有白色“蛆”状物虫体。病鱼鳃部黏液增多而影响鱼的呼吸, 严重时可导致病鱼窒息死亡。
3 流行情况:
此虫一年四季可见, 但5-9月最为流行。对鳜鱼苗种危害较大。
4 防治方法:
用硫酸铜和硫酸亚铁合剂 (5∶2) 0.7mg/kg溶液再加0.15mg/kg的鱼虫净全池泼洒。
1 病因:
由锚头鳋寄生所引起。
2 症状:
病鱼体表肉眼可见虫体, 刚寄生时在虫体寄生处还可看到红斑点, 寄生时间较长时, 在锚头鳋的体表还附着许多钟形虫、累枝虫及藻类等, 看上去似棉絮状。
3 流行情况:
锚头鳋的繁殖水温为12-23℃, 春、夏、秋三季均有发生。
4 防治方法:
强力杀虫精0.15mg/kg或鱼虫净0.15mg/kg加0.2mg/kg的硫酸亚铁全池泼洒即可杀死虫体, 并定期泼洒生石灰来调节水质。

一、鱼种放养
为了保证鳜鱼的养殖成活率,要求放养规格必须在3厘米以上,一般每亩放养3-4厘米鳜鱼种大约1000-1500尾。
二、饵料鱼来源和投饵
池塘单养鳜鱼养殖密度比较高,因此需饵量大,一般可有通过鳜鱼养成池同池培育饵料鱼、专用池培育饵料鱼、自然水域捕捞和购买等途径加以解决,具体内容如下:
(1)同池饵料鱼培育:前期的饵料鱼培育,可在鳜鱼种放养前15~20天进行。一般每亩投放团头鲂、草鱼、鲢、鳙夏花50~80万尾供鳜鱼前期摄食。同时为了降低饵料鱼成本,可以在鳜鱼池中混养一些繁殖快的饵料鱼亲本吧,比如说每亩投放罗非鱼200~400对或2龄鲫鱼500尾,使其繁殖的后代作为活饵料鱼供鳜鱼取食。当然也可以用适度规格的稀网将池塘隔成两部分,一边养鳜鱼一边养饵料鱼亲本,使其繁殖的幼鱼穿过稀网成为鳜鱼的食饵。
(2)专用池培育的饵料鱼投喂:在水温较高、鳜鱼快速生长期,当鳜鱼养成池内的饵料鱼不足时,可以每天补充投喂专用池培育的饵料鱼,当然投喂量以维持水体内有一定的饵料鱼密度增加鳜鱼的捕食机会为原则。投喂的饵料鱼规格为鳜鱼体长的30%~59%,同时要经常检查鳜鱼的摄食、生长情况和鳜鱼的个体差异。在所投饵料鱼中,要适量搭配不同规格的饵料鱼,确保不同个体大小的鳜鱼有充足、适口的饵料。需要注意的是,所投饵料鱼必须先进行消毒。
(3)水质控制:鳜鱼专养池因为放养密度高,投饵量较多,因此残饵和大量粪便对池塘水质影响较大。因此除了要求池塘进排水系统良好、定期更换池水、整个饲养过程中水体溶解氧最低保持在4毫克/升以上外,还需要在鳜鱼专养池中配备增氧机。增氧机开机时间需根据具体情况确定,同时要定期泼洒石灰水调控水质,其他管理措施与家鱼养殖基本相同。

孟加拉豆娘鱼,又称孟加拉雀鲷,为辐鳍鱼纲鲈形目隆头鱼亚目雀鲷科的其中一种,属杂食性,…




罗汉鱼,是鲈形目慈鲷科慈鲷属的鱼类。其体形侧扁,体长与体高基本相等;头额突出,眼圈朱赤,…




月鳢为鳢科鳢属的鱼类,俗名七星鳢、姑呆、山斑鱼、七星鱼、点称鱼、山花鱼、鲈鳢等。…




红笛鲷是笛鲷科、笛鲷属鱼类。体被大栉鳞。背鳍Ⅻ-14,臀鳍Ⅲ-9,胸鳍17,腹鳍I-5,…




红笛鲷是笛鲷科、笛鲷属鱼类。体被大栉鳞。背鳍Ⅻ-14,臀鳍Ⅲ-9,胸鳍17,腹鳍I-5,…




鳜鱼,汉语拼音:guì yú是一种家常的可以食用的鱼类,又名菊花鱼、鳜花鱼、桂花鱼、桂鱼、鳌鱼、脊…




金菠萝鱼,Cichlasoma severum,慈鲷科丽体鱼属。成鱼体长20~25cm,厚侧扁形,…




黑鲷是鲈形目鲷科棘鲷属的一种硬骨鱼,俗称海鲋、青鳞加吉、青郎、乌颊、牛屎鱲、乌翅、黑加吉、黑立、海鲫和铜盆鱼等。体呈长椭圆形,侧扁,头中大,吻钝尖。口小,上、下颌等长;体被中等大的弱栉鳞,体侧通常有5~7条黑色条纹。背鳍棘坚硬,臀鳍第二鳍棘尤甚;体背部为灰黑色,侧线起点处有黑斑点,体侧常有数条不明显的暗褐色横带,腹部银白。黑鲷分布于中国、日本和韩国等地的沿岸、港湾及河口,属内湾性鱼类,在中国,以黄海、渤海数量较多。黑鲷为浅海、底层鱼类,喜栖于沙、泥底或多岩礁的清水中,为广温、广盐性鱼类,对于环境适应能力较强。黑鲷为杂食性鱼类,在自然海区,以软体动物的蛤类、小鱼虾类为主食,有时也吃海藻,人工养殖可采用低值鱼虾贝类或配合饵料投喂。黑鲷具有很强的繁殖力,雌雄同体,雄性先熟,怀卵量达200万~300万粒以上。黑鲷是名贵海产鱼之一,全体药食兼用。具有健脾利水、补气活血的功效;用于脾虚水肿、小儿脾胃不


















