
黑鲷是鲈形目鲷科棘鲷属的一种硬骨鱼,俗称海鲋、青鳞加吉、青郎、乌颊、牛屎鱲、乌翅、黑加吉、黑立、海鲫和铜盆鱼等。体呈长椭圆形,侧扁,头中大,吻钝尖。口小,上、下颌等长;体被中等大的弱栉鳞,体侧通常有5~7条黑色条纹。背鳍棘坚硬,臀鳍第二鳍棘尤甚;体背部为灰黑色,侧线起点处有黑斑点,体侧常有数条不明显的暗褐色横带,腹部银白。黑鲷分布于中国、日本和韩国等地的沿岸、港湾及河口,属内湾性鱼类,在中国,以黄海、渤海数量较多。黑鲷为浅海、底层鱼类,喜栖于沙、泥底或多岩礁的清水中,为广温、广盐性鱼类,对于环境适应能力较强。黑鲷为杂食性鱼类,在自然海区,以软体动物的蛤类、小鱼虾类为主食,有时也吃海藻,人工养殖可采用低值鱼虾贝类或配合饵料投喂。黑鲷具有很强的繁殖力,雌雄同体,雄性先熟,怀卵量达200万~300万粒以上。黑鲷是名贵海产鱼之一,全体药食兼用。具有健脾利水、补气活血的功效;用于脾虚水肿、小儿脾胃不




白腹鲭是鲭科、鲭属鱼类。体纺锤形,稍侧扁;背缘和腹缘浅弧形;尾柄细短,尾鳍基部两侧各具2条小隆起脊…




原产南美洲的圭亚那、委内瑞拉、巴西的亚马逊流域。一般成鱼体长35cm.性格十分凶猛,有时会自相残杀…




四指马鲅是马鲅科、四指马鲅属鱼类。体延长而侧扁。头中大,前端圆钝。吻短而圆。眼较大,位于头的前部;…




火口鱼,Cichlasoma meeki,慈鲷科丽体鱼属,出产在中美洲,鱼长15厘米以上,…




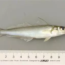
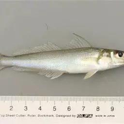
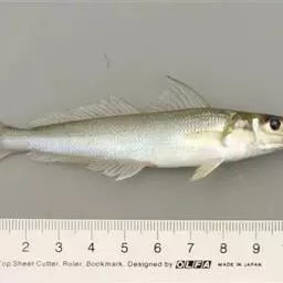
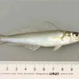
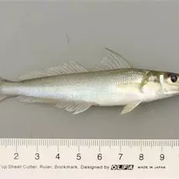
多鳞鱚,Sillago sihama ,鱚科鱚属的一种鱼类。主要分布于印度洋-西太平洋的热带海域,…




马夫鱼。成鱼体甚侧扁,背缘高而隆起,略呈三角形。背鳍鳍棘11根,第四鳍棘延长呈鞭状,鳍膜亦随之延长…




大西洋蓝鳍金枪鱼:是鲭形目、鲭科、金枪鱼属的海洋动物。体长可达3米,…


















