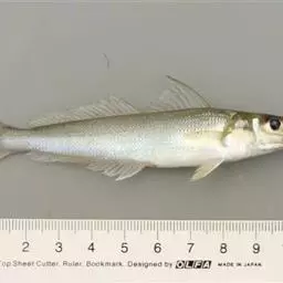
香鱼体狭长而侧扁,头小而吻尖,口大眼小。背缘苍黑,两侧及腹部为白色。尾分叉,无硬棘,背鳍后有一小脂鳍。鲜活时各鳍淡黄色,腹鳍的上方有一处黄色色斑。香鱼吻端下弯,形成钩吻。下颌前端各有一突起,两突起之间成明显的凹陷。上下颔各有一行宽扁细牙,能活动,着生于皮上。犁骨无牙,颚骨和舌上具牙。全身除头部外均备有细小圆鳞。具脂鳍,体长可达30厘米左右。
基本信息

在日本香鱼又名鲇鱼。因为此鱼具有“占领地盘”的本领。野生的香鱼,所占地盘范围约一平方米左右,加上活动的范围不过2-3米。香鱼常栖息在水浅、质瘦、温低的通海溪涧中,刮食石上苔藓为生。
香鱼的食性和其它植物食性鱼类相似,在苗种阶段为动物食性,随着个体发育而转为植物食性兼杂食性。仔鱼孵出4-5天后开始摄食,体长在4厘米左右时摄食枝角类和桡足类及其它小型甲壳类,一直持续到溯河洄游。在游进河川行程中,摄食器官发生演变,摄食逐步改为低等藻类。
香鱼是秋末进行繁殖的鱼类,产卵水温在河水从19℃降到14℃的时期内。卵为粘着性,卵径约0.9-1.0毫米,产卵后亲鱼大部分死亡。产卵量最多可达13万粒,最少为1万粒,一般为2.5万粒左右。
生存水温3℃~30℃,最适水温15℃~25℃。主要生长季节是夏季和秋季。
香鱼属入海口洄游性鱼类,生息在与海相通的溪流之中,以粘附在岩石上的底栖藻类为食。 香鱼 深秋时节,香鱼纷纷集结在砂砾浅滩处排卵。产卵后,体质虚弱,大多死亡。生命极为短暂,只有一年时间,故又有“年鱼”之称。
幼香鱼
翌年春天,幼香鱼由入海口进入溪流中生活,为了索食,它们成群结队逆着溪流向上游奋力游去,即便遇到急流、洪峰或其他障碍物,也奋不顾身,冲破重重阻力,奋勇前进。一天行程可达20公里。每年的2-5月,当河水水温逐渐上升到10-15℃,近于海水的温度时,在海里越冬的幼鱼(体长2-3厘米)便进入河口上溯。幼鱼在河川中生长发育,随着性腺的发育,又向河川下游洄游,在9-11月产卵随着仔鱼的生长发育和水温的继续下降,幼鱼入海越冬。

楠溪江两岸渔民捕香鱼,一般是驾竹排、驱鸬鹚捉鱼。一条竹排,七八只鸬鹚可捕10余千克。“苍茫沙咀鸬鹚眼,片水无痕浸碧天,最爱芦花湿雨后,一蓬烟火炊渔船。”宋代林逋的诗,生动地刻划出水上渔家的意趣。有时农家傍晚来客,主人背上鱼篓,拿个网兜下溪,一会儿就摸得一、二斤做香鱼菜肴,宜清炖白烧。楠溪江畔的农妇焙制香鱼有一套好方法,先把鱼背剖开,放在铁丝匾或竹篾上,用文火细烟慢慢熏焙,直至烧成金黄色取出,这就是海内外闻名香鱼干如煮面烧粉干或汤时,掰碎放入一些,再撒点葱药、姜末,则清香四溢,色香味俱佳。
清代诗人壬士稹写了首七绝《渔家》:“楠溪江都是钓人居,柳陌清溪一带疏,好是日斜风雨后,半江红树卖香鱼。”深秋楠溪香鱼上市,忙煞了那些来楠溪江的游客与邻近饮食店主人,他们都去争购活鲜鲜的香鱼。如在花辰月夕、瓦屋纸窗下,以浓郁的村醪和清蒸一盘风味独特的香鱼,“他与邻翁相对饮,隔篱呼取尽余怀”,别有一番乐趣。

香鱼,是楠溪江一种奇特、名贵的淡水鱼,体长15到20厘米,一条重约二、三两至半斤左右。楠溪江盛产香鱼,闻名已久。早在明朝万历年间,楠溪江就产有香鱼。据明万历《温州府志》记载,香鱼“长三四寸,味佳而无腥,生清流惟十月时有,与乐产少异”。《雁荡山志》又载:“凡荡水所入处皆有之,荡水西流永楠溪,则自枫林、档溪、下潭、古庙潭诸处亦有之。”香鱼俗称“溪鲤”亦叫瓜鱼,隶属鲑形目胡爪鱼亚目,香鱼而得名。香鱼体长而侧扁,头小咀尖,体披细鳞,背部灰黑,腹部银白色,鱼肉细嫩多脂,味鲜且有香味,为上等食用鱼,是名贵的经济鱼类,素有“淡水鱼之王”的美誉。
除楠溪江外,香鱼在中国闽南、台湾及湖北兴山县也有出产。相传乾隆皇帝巡游江南时,品尝到香鱼味后,赞不绝口,即封为贡品,年年进贡朝廷。台湾省台北市郊新店溪的旅游观光胜地碧潭也出产香鱼。据说,台湾这种香鱼是当年“国姓爷”郑成功率兵驱荷寇、开发台湾时从闽南引入放养的,后人怀念郑成功,称此鱼为“国姓鱼”。清时某君诗云:“春水新添新店溪,溪流亭蓄绿下玻璃,香鱼上钓刚三寸,斗酒双柑云听鹂。”
崂山香鱼俗称仙胎鱼,为崂山名贵鱼种,传说乃是仙人抛撒人参种子于水中所化。“夕钓仙胎鱼,蓑笠依修竹。”这是清代诗人王大来《咏北九水》一诗中的诗句,意境之美,为崂山人所自豪。据清同治版《即墨县志》记载:“仙胎鱼出白沙河,从九水来,山回涧折,其流长而清湛不染泥尘,鱼之游泳于清泉白石中者也,大可五、六寸,鲜美异常。”
崂山仙胎鱼产于白沙河及其涧溪中,在九、十月份沿河入海口产卵繁殖。翌年初夏,成鱼逆游于清水急流中,以浮游生物及藻类为食,鱼体长3~4寸,重1~2两,被鳞片,口方,唇边生豆瓣状物,肉鲜美,具黄瓜香味。仙胎鱼游疾如矢、很难捕捉,但有怕横草阴影之习性,捕者常以去皮柳条前挡后堵,趁其前后回游无路时,迅速捕捉。
仙胎鱼在日本一次、二次侵占青岛时,日本人用黄瓜把仙胎鱼包起来,生吃,味美而鲜,是一道特别上好的菜。当时青岛曾经有人以做此菜而谋生。1957年7月上旬,毛主席等党和国家领导人来青岛开会期间,市委组织人在崂山北九水用手榴弹去炸仙胎鱼给主席吃。厨师用炸回来的仙胎鱼给主席做了一道汤。味道真是好极了,主席吃得很高兴,称仙胎鱼还真是有“仙骨”,味道确实很美。
香鱼原来出产于湖北兴山县王昭君的故乡。王昭君是中国历史上有名的四大美女之一,她之美貌当然是举世无双,她的身上还有一种扑鼻的异香,使人似醉似痴。虽然王昭君当时出身贫寒,在她少女时代,从来也不涂脂抹粉,但她一出家门,她身上飘洒出来的芳香十里外都能闻到,所以有“香美人”的美称。
有一天,王昭君到香溪河边去洗衣服,突然,有一群小鱼闻到王昭君身上的香味,都向她身边游来,其中有一条小鱼居然钻进她的裤筒里,不肯离去。王昭君又惊又羞,捧起那条小鱼细看,小头尖嘴,体色青黄,鳃盖后方有一卵形橙色斑纹,尾部又细又长,犹如凤尾,全长约10余厘米,十分漂亮而又活泼可爱,王昭君就高兴地把它捧回家中去了。
刚巧,王昭君的母亲卧病在床,因家庭贫寒,也无可口食物滋补。王昭君就把这条小鱼烹煮了,给母亲吃。不知是王昭君家中缺盐少酱,无可口佐料,还是王昭君母亲在病中,口苦食甘,总之,王昭君母亲吃了这条鱼,没有啥味道。王昭君为此十分懊恼。她想,香溪里这种小鱼很多,如果这种小鱼味美而质鲜,逢到灾荒年头,这里的乡亲们也可捉鱼充饥,解燃眉之急。于是,她拣了一个黄道吉日,把自己浴身后的充满香脂气息的浴水投进溪里。她一边倒浴水,一边唱到:“溪百里,生贵鱼,济贫穷,上宴席”。倒着,唱着,唱着,倒着,说也怪,王昭君浴身后的香脂水,瞬时变成一条条活泼可爱的小鱼,向香河中下游游去。其形状如同王昭君捉到的那条小鱼一模一样,但它的背脊上却长出了一条满是香脂的腔道,并散发出阵阵诱人的芳香。从此,香溪河纵横百里,就有了这种奇特的香鱼。美女和香鱼,最大共同点都在于香。有诗人《顺溪香鱼》曰:“碧溪喧美女,临水巧梳妆。欲共人儿较,翔鳞尾尾香。”(《载敬堂集·江南靖士诗稿》)
一眨眼,几百年过去了。后来有人把香鱼从湖北放养到闽南,闽南也成为香鱼的产地。到了明朝,郑成功率兵驱逐荷倭,开发台湾岛。郑成功也把香鱼带到台北市溪碧潭放养繁殖,试养成功,台湾也就盛产香鱼了。人们为了怀念郑成功,谓之为“国姓鱼”,因为台湾人称郑成功为“国姓爷”。
世界上这种鱼已很稀少,只有我国闽南、台湾局部地区仍有丰富资源。因为香鱼其肉醇厚,肉质细嫩味美并有殊香,犹如从香,水中捞出来一般,并无其他鱼腥味,所以,评价很高。香鱼不仅是高级宴席上的一道佳肴,并有“淡水鱼之王”的美誉。
台湾诗人连横赞道:“春水初添新店溪,溪流停蓄绿玻璃,香鱼上钩刚三寸,斗酒双相去听鹂”。《台湾风物志》评赞香鱼“较杭州西湖'五柳居'、上海松江'四腮鲈'有过之而无不及 ”。香鱼与王昭君的传奇随着香鱼身份的不断提高,不仅蜚声于台湾海峡两岸,而且远播于日本和朝鲜。海外爱国侨胞亲昵地又把“香鱼”称为“乡鱼”。

香鱼的人工养殖始于日本,中国的浙江省已有试验,河北省已养殖成 浙江省地图 功,台湾省则较为盛行。
养殖场的选择:香鱼养成与否主要取决于水源、水质、饵料、管理等条件。养殖场地应选择在水源充足流量大,一般要达到每秒27升的流量,水温周年保持在13℃以上,PH值在6.5-7.8之间,饵料丰富无污染的地区。北方地区应有越冬设施。
养殖池的设计:
(1)鱼池大小:依据水源及水量而定,一般每个鱼池以100-300平方米较为适宜。
(2)鱼池结构:圆形鱼池养殖效果最好,不致发生死角,又易于将污物集中于中央排水处附近及时排出,保持水质新鲜。池底的周边向池中心通常应保持1/10-1/15的倾斜度。当鱼池面积为100平方米时,池壁厚度应为15厘米,水深60-90厘米,池底和池壁用石块或混凝土砌成,这样易于附生天然硅藻,增加香鱼特有的香味。
放养密度与生长:水量充足时,平均每3.3平方米可放养400尾鱼苗,香鱼的生长速度与养殖条件、管理有关,商品规格为80克。
(3)饵料与投喂方法
配方:
鱼粉25%
动物蛋白粉5%
鸡肉粉4%
豆粕10%
米糠15%
紫花苜蓿5%
酒糟8%
维生素15%
固体脂6%
无机盐混合物4%
粗玉米粉10%
玉米粉
投喂方法:
采用撒饵方法。投喂数主要依据鱼苗的放养密度、发育阶段及水温、水质和水量等环境因素而定。据观察香鱼在早、晚应多投。投饵量在溶氧充足,水温在17-22℃时为鱼体重的20%,如果温度低于17℃且溶氧量低时应减少投喂量。
(1)鱼苗入养成前的准备工作
在放养前应检查、维修各项设施,并在放苗前15天左右预先进水,使池壁长满硅藻生再放苗。
(2)鱼种选购与运输
香鱼为稀有品种,人工苗种仅在浙江、河北等几个育苗场有售。苗种运输可采用汽车进行长途运输,水温17-19℃时,密度成活率可达98%以上;短途运输密度可加大。
(3)鱼苗放养初期的管理
鱼苗在放进鱼池之前,须先进行药浴消毒,以免将病毒带入养成池,药浴抗生素用量约为水量的1/5万—1/10万。在放养成当日便可投饵,投饵量视鱼苗的健康情况和天气而定,经过几天以后,投饵量逐步提高到15%左右。
一般在3月中旬放养体重5-6克的鱼苗,到6月上旬便可达到商品规格。饵料系数为2.5-3。养成管理中主要注意以下几个方面:
a、多投喂新鲜、营养价值高及富含动物蛋白质的饵料,以生产较大规格的商品。
b、经常注意水温的变化,香鱼不耐低温,水温较低时,易引起消化不良,有条件时可提高到最适水温或增投饵料,但避免投喂含脂肪较多的饵料。
c、香鱼有时也互相残食,需经常巡池,观察香殖的摄食及活动情况,以便及时调整投饵量。
d、观察在池中的活动是否正常及食欲变化,检查有无病害发生,以免造成损失。
香鱼养殖成功与否主要取决于各项环境因素与养成管理体制水平的高低。
香鱼池塘集约化养殖新技术
香鱼是一种优良的养殖品种,具有适应性强、食物链短、生长快、周期短、经济价值高等特点,既可作为水库、湖泊和溪流的增养殖对象,又可在池塘和网箱中进行陆封养殖。
池塘养殖池塘建造香鱼养殖池应选择在水源充沛、有动力用电、交通方便、水质清新、溶氧丰富、ph值6.5~7.8、无污染源排放的溪流、江河和水库附近。
池底应铺以含有大量卵石的砂砾为好,亦可全部采用水泥池,这样易于附生天然硅藻,增添香鱼特有的清香味。进水口开在池底中央,并由池底埋管排出。为防止逃鱼,排水口应设置拦鱼网,水面至堤面应保留30厘米的距离,以防鱼类跃出。池中水位中心为1~1.2米,池边水位深以0.6~0.8米为宜。
鱼苗体长一般以3~4厘米为宜。放养季节,浙江宁波地区每年2月份开始分批放苗,最迟应于4月份结束。鱼苗放养密度依水量、水温等变化而异。长方形池放养苗种为100~300尾/每平方米,圆形池为200~400尾/平方米,这些水池除采用流水式集约化养殖外,必须日夜开动增氧机,不断增氧,才能保证鱼苗的成活率。鱼苗入池之前,需先进行药浴消毒,以防细菌带入鱼池。
香鱼在天然环境中以摄食底栖藻类为主;在人工饲养时,对 马铃薯 铜料的适应性较广,如糠虾、鱼粉、蚕蛹、螺蛳肉、切碎的鲜杂鱼虾及麦粉、马铃薯、黄豆、米糠、青菜等都喜食。幼苗期可用肥水繁殖浮游生物供其摄食;当鱼体达到50克以上可以投成鳗饲料,并搭配20%~30%的青饲料。投喂掌握多餐少量为原则,日投喂量为鱼池鱼体总重量的4%左右,分3~4次/日投喂。由于香鱼有争食习性,因此投饵要注意均匀,使鱼体规格长得调匀整齐。使用配合饲料,应先用清水浸泡20分钟左右,待变软后再使用,效果更好。
香鱼的生长速度较快,通常体重2~4克的鱼苗,饲养一个月体重可达10克,两个月体重可达25~40克,三个月达50~60克,四个月达70~100克(商品规格在60克以上)。
鱼塘管理工作的好坏,对香鱼的成长关系极大。在春季水温较低时,容易引起鱼的消化不良,必须加入维生素剂“鱼精”等营养物质,夏季高温季节要注意防暑降温,当水温超过26℃时,应加强换水增氧和采取遮荫等降温措施。在养殖后期由于鱼体增大,因此要加大换水量和注入畅流水,特别是在投入饵料时更需加大注水量,以防缺氧引起泛池。
池塘要求选择在水源充足,水流量大,水质清新无污染,pH值6.5~7.8之间,饵料生物丰富的地方建池。池塘形状多样、圆形、椭圆形、长方形均可,面积大小不一,小池7平方米~10平方米,大池100平方米~300平方米以上。一般以圆形鱼池养殖效果最好,面积80平方米~100平方米,每口池塘建独立的进水和排水系统,进水口设在池塘上方且与池壁成45°角,排水口设在池底中央并由池底埋管排出,排水口设拦鱼网防逃,池底的四周略高,向中央倾斜,池水深1米~1.2米。池壁和池底用石块或混凝土砌成,池底铺以含有大量石子的沙砾为好,亦可全部采用水泥池,这样易于附生天然硅藻,增加香鱼特有的香味。放养前应严格检查、维修各项设施,并在放鱼前15天左右预先进水,使池壁长满硅藻后再放苗。
鱼种放养鱼种投放时间根据苗种来源而定,一般天然苗可在4月~5月采捕投放,人工繁殖的苗种可提早在2月下旬~3月放养。苗种规格一般以4厘米左右为宜,要求体质健壮,无伤无病,规格整齐。放养密度依鱼池大小、水源状况、技术条件和饵料来源等因素而定,一般每平方米放30尾~60尾,如水源交换充分可增加到每平方米130尾。
饲料投喂饲料可用鳗鱼料,香鱼个体重50克之前一般投喂幼鳗料,个体重50克以上改投成鳗料,并搭配20%~30%的青饲料;也可自配饲料,配方为:鱼粉25%,动物蛋白粉5%,鸡肉粉4%,豆粕10%,米糠15%,紫花苜蓿5%,酒糟8%,维生素与无机盐混合物4%,固体脂6%,粗玉米粉18%。投喂多采用撒饵法,每天投喂2次,日投喂量一般为鱼体重的4%左右,具体应根据天气、水温、水质、水体交换、鱼的健康和吃食情况灵活掌握,适当调整。注意不投喂腐败变质或脂肪含量过多的食物,以防引起鱼患肠炎病。由于香鱼有争食习惯,投饲时要注意投匀,以保证香鱼都能吃到饲料和均衡生长。
日常管理坚持早晚巡塘,保持水质清新,适时开机增氧,保证池水溶氧量每升4毫克以上,遇不正常天气要特别防止缺氧泛塘。注意观测池塘水温的变化,香鱼在水温10℃以下或27℃以上时摄食减少,生长减弱,甚至停滞,水温30℃以上完全停止摄食,至水温33℃不摄食而致死亡。在高温季节,水温超过26℃时则应采取降温措施,如搭遮阳棚或加注水温低的水库水或泉水。10月以后日照时间渐短,短日照会促进香鱼性成熟,尤其是雄鱼会变黑变瘦,从而降低香鱼的商品价值。可在日落时用日光灯延长日照4小时以上,使香鱼继续生长,延缓其变黑变瘦,避免鱼品质量下降。
养殖中要加强鱼病防治。
香鱼常见疾病主要有:
水霉病
该病一般在春季和秋季水温15℃~20℃时发生。要注意在苗种搬运操作中尽量避免鱼体受伤,对患病池每立方米水体用亚甲基蓝2克~3克对水全池泼洒。
肠炎病
肠炎病。该病常年均可发生。饲养中要多投新鲜、营养价值高及富含动物蛋白质的饲料,阴雨天气水温下降时适当减少投喂量,预防肠炎病发生。治疗时可在每公斤饲料中添加氟哌酸0.5克、食母生5克,拌匀投喂,每天3次,连喂3天。
肝肾出血病
该病主要发生在6月~9月的高温季节。病鱼头部、腹部充血,肛门红肿,肝肾出血,死亡量大。预防的方法是及时采取降温措施,并减少饲料投喂量等。发病后可用含氯消毒剂挂袋,同时内服安定宝、鱼肝宁、多维素等(按说明书操作)。香鱼销售的黄金季节一般为5月~8月,养殖户应尽量避免存塘惜售或养至冬季,当鱼体重达100克左右时即可捕捞上市,以获得较为理想的市场售价。
寄生虫病:
一、车轮虫病
1. 症状
一般在苗种阶段时寄生在体表,规格大时则大多寄生在鳃上。鱼体少量寄生时不显症状,严重时侵染皮肤、鳍、鳃,车轮虫用它的齿轮环磨损香鱼体表皮细胞和鳃丝、鳍条的上皮细胞,刺激鱼体产生大量粘液。病鱼不摄食,成群沿塘狂游,在水中跳跃,能使鳃丝和体表上皮细胞破坏、脱落,导致细菌侵入,造成鱼大批死亡。
2. 流行和危害
全国各地一年四季都有发生、水质混浊且有机质多的池塘较易发生,适宜繁殖温度20℃~28℃,4月份~7月份较流行。
3. 防治
(1)水池放鱼前可用150克/立方米~200克/立方米生石灰或10克/立方米漂白粉彻底清塘。因香鱼对含氯消毒剂很敏感,清塘后注意残留含氯量。
(2)用“鱼虫清”0.3克/立方米全池泼洒,10小时后换水。
(3)用硫酸铜、硫酸亚铁(5∶2)合剂0.3克/立方米全池泼洒,12小时后大规模换水,隔天后重复一次。
(4)用5克/立方米苦楝树皮煎汁全池泼洒。
(5)在晚上用1克/立方米~2克/立方米高锰酸钾全池泼洒。
二、小瓜虫病
1. 症状
小瓜虫寄生的主要部位为香鱼体表,病鱼皮肤和鳍上肉眼可见轮廊清楚、大小为0.5毫米~1毫米的白色小点状囊胞,俗称白点病。病鱼游动迟缓,漂浮于水面,摄食不良,远离食场;重度病鱼体表似覆盖上一层白色薄膜,鳞片脱落,表皮发炎,局部坏死,鳍小片被破坏,呈糜烂状,呼吸功能受阻而死。
2. 流行与危害
本病靠胞囊时期的幼虫传播,对宿主没有严格的选择性,各种年龄的鱼均可感染。病原体可随水流、工具而传播,也可通过鱼苗、鱼种传染给人,使之蔓延。小瓜虫繁殖的适宜水温是15℃~22℃。
3. 防治
(1)用20ppm~25ppm福尔马林全池泼洒。
(2)用亚甲基蓝1克/立方米全池泼洒,药浴8小时后换入新水。
三、微孢子虫病
1. 症状
感染初期无明显症状,随着囊胞的形成症状出现,香鱼眼、嘴、鳃、鱼体肌肉或内脏皆可形成囊胞,使体表出现肿瘤状凸出物、鱼体弯曲变形及腹水、消瘦等各种病症。
2. 流行与危害
该病在野生鱼类中能引起流行病,该病大多由鱼种带来。
3. 防治
香鱼一旦感染此病,尚无治疗方法,只有把病鱼剔除。
四、三代虫病
1. 症状
三代虫寄生在香鱼的体表、鳍和鳃上,最适繁殖温度为20℃左右,主要靠虫卵 及幼虫传播,流行于夏季(5月~9月),特别是梅雨季节和热天,分布甚广。大量寄生时,病 鱼的皮肤上有一层灰白色的粘液,鱼体失去光泽,鱼游动极不正常,经常跳跃,食欲减退, 鱼体消瘦,呼吸困难。
2.流行与危害
多数香鱼寄生本虫后会发生轻度贫血,5月份~8月份发病和死亡较多。
3.防治
用20ppm~30ppm福尔马林稀释液全池泼洒。
五、指环虫病
1.症状
指环虫主要寄生于鱼的鳃上,轻度感染时症状不明显,当大量寄生时,指环虫 以其锚钩及边缘小钩钩住寄主的鳃组织,在鳃上不断蠕动破坏鳃丝的表皮细胞,刺激鳃丝细 胞分泌过多的粘液,妨碍鱼的呼吸并产生贫血现象。流行于夏季,发病初期病鱼摄食迟钝, 数日后急速狂游直至死亡。镜检可以确诊。
2.流行与危害
主要由虫卵及幼虫传播,流行于夏季,特别是梅雨季节和热天,发病鱼 池如果不及时治疗,往往会造成大量死亡。
3.防治
用20ppm~30ppm福尔马林稀释液全池泼洒有效。
六、鲺病
1.症状
鱼鲺寄生在香鱼的体表和鳃上,吸取香鱼的血液,使鱼体逐步消瘦,在取食时 到处用口刺和大颚刺伤鱼的皮肤,造成许多伤口而后感染微生物引起死亡。鲺用口刺吸血时 所分泌的毒液对鱼体有刺激作用,使鱼在水中极度不安,急剧狂游和跳跃。
2.流行与危害
鲺病在我国流行较广,一年四季都有发生,尤其夏季较为严重。
3.防治
(1)放养前鱼塘用生石灰带水清塘,杀死水中的鲺成虫、幼虫和卵块。
(2)用30 ppm福尔马林稀释液浸浴12小时,连用3天。
让香鱼香起来
香鱼是一种名贵的小型经济鱼种,是浙江宁海凫溪的传统特色,但到了20世纪60年代,由于拦溪兴建水库,滥捕和水质环境变差等原因,香鱼几近灭绝。不过这里的人们做出了很大的努力,来拯救宁海凫溪的香鱼资源,使这一名贵的地方土特产得救了,并且重现了光芒。
浙江省宁海凫溪里曾经有这样一种鱼,鱼体狭长而侧扁,头小嘴尖,就这样看着普通的鱼,卖价可不低,在当地能卖到四五十元,它还有个好听的名字叫香鱼。
专家:香鱼本身体表就散发一种清香味那么清蒸以后清蒸以后吃的时候它肉质细嫩 多油而且鲜而且这条香鱼变成香鱼干以后干制品色泽如黄金可以到处赠送一些客人。
香鱼闻着香吃着更香,曾经是乾隆皇帝的供品,被誉为“淡水鱼之王”。浙江宁海的凫溪村,这里气候宜人,环境幽静,凫溪就是村里一条通海的溪流,水中多石砾,水清流急,藻类丛生,原来是香鱼栖息觅食的好地方,现今早已不见香鱼的踪影。

专家:主要是由于筑堤和水利设施建造比如说是造水库还有就象河流挖沙捕河卖苗另外的原因就是环境污染 好多溪流的上游下游中游都有一些排污水的工厂 这水一污染这鱼它的卵也不能够附着了 幼鱼也不能够孵化了所以就是原来产香鱼的地方基本上都没有了。
香鱼对环境要求很严格,水利设施的建造和环境的污染岸边都破坏了它的生存环境,香鱼在自然界中是越来越少了,更危险的是香鱼是当年生,当年死的,要是不及时挽救的话,就真的有灭绝的危险。但是宁波大学生命学院的李明云教授,把久违了的香鱼又带了回来。
专家:香鱼我们是1979年开始研究的 农业部有个项目当时这条鱼比较名贵那么看中它以后的发展潜力比较大 考虑这条鱼有发展前途就进行研究难度还有点难度的。专家说难,不仅是香鱼要求很洁净的生长环境,再有就是香鱼生长在南方,可是它生长要求的温度却很低。
专家:它生长在溪流当中夏天顶多也不会超过28度最好的生长温度是22到25度所以它喜欢在温度比较低的水域当中。
香鱼原本生长的山涧溪流中,有一个低温的生长环境,而人工养殖,首先就是让水温低下来,那么要找到相对较冷的水,只有选择地下水和一些水库的底层水,凫溪村的水库,水质都清澈,用这里的水养鱼成本还不算高,养殖户自然先想到了要用水库的水养香鱼。
黄坛水库的水质很好,水温很适宜香鱼的养殖我们通过一年的试验效果很好香鱼的成活率达到98%以上。
黄坛水库的水深能到20米左右,这样水库底层水的水温就能保证很低,夏天的温度一般是20度左右,温度正好适宜香鱼的生存,可引来的虽是水库的底层水,到了养鱼池,低温的水经过日晒,也就不能在保证香鱼生长所需的温度了。所以就让养殖池里的水一直是进进出出的流动着。
天气好的时候我们的水位要加高 到了夜里温度低了我们的水位要降低。
白天阳光照射水面,水温会不断升高,养殖场就通过加大进水量、减少出水量来保证养殖池里的水能有个较低的温度,而到了夜间,再减少进水的量增加出水的量,这样就能让温度不会太低影响香鱼的生长。进水出水让水流动起来,就能一直保持低温。而且形成的流动水,正好模拟了香鱼在自然界中生长的溪流环境,香鱼在逆流水的刺激下,游得欢实着呢!这里还有很多增氧机,除了给鱼池增氧,促进了水的流动,也能保证了池水的干净。
水里的增氧机走电,一天不停地走,污物卷卷卷到中间排出来。回旋水让脏东西跑到池的中间,这和我们搅动盆里的水,形成回旋的水脏东西就全都集中到盆的中间了,鱼池底又是漏斗型的,那么脏东西很快就排出去了,保证了它清洁的生存环境。
香鱼的生长环境营造好了,吃的事又难住了专家。它吃东西就靠嘴两侧有板状齿 梳状齿像梳子一样梳头发的梳子一样刮食的时候这样刮。就是这种特别的吃食方式,在自然界中,香鱼侧扁着身体刮食石头上的藻类。在养殖香鱼的池壁上,生有一些藻类,但是池壁上的藻类数量毕竟少,也供应不上香鱼。人工取新鲜的藻类物质的话,耗工又耗时不划算。所以要想能定时定量的喂香鱼,还得人工补上一些饲料,专家还是想仿照香鱼的刮食行为喂它们。
过去采用的是河鳗用的饵料 放成一块一块的让它刮食但是这样一个是污染了水质一个就是饵料容易污染 香鱼容易生病。块状的鳗鱼饲料面积小,有的香鱼还挤不上吃食,再加上水的冲刷,污染了水质,而水一污染,香鱼马上就无法生存了。让它刮食行不通,那能不能改变香鱼的吃食方式呢?小时候香鱼的开口饲料师轮虫,取食是吞食的方式,说到底就是香鱼天生就有吞食的能力的。于是专家想到了驯化的事,能不能让香鱼从小的时候就一直吃颗粒的饲料呢。等到长大到一定程度的时候这时候我们强制不让她刮食还是采用颗粒饲料这样就慢慢习惯了以后就吃颗粒饲料了。香鱼吃了颗粒的饲料,也能健康的生长了,可是养了一段时间,香鱼又怎么不香了。香鱼的口味不香了,肯定会影响今后的市场销售,那么专家就想人工养殖香鱼喂的是人工饲料,食物发生了变化,因此它不香了,是不是和香鱼的饲料配方有关呢。给它增加了藻类,生长有香味了长得也快了,还有防病的功能。
过去香鱼在野生的环境下,吃的是藻类物质,而天然的硅藻类本身就散发淡淡清香味,香鱼吃了经过消化也就浑身散发着清香。这样吃了添加硅藻类的的颗粒饲料,香鱼的香味就又回来了。香鱼的香味是回来了,可是到了秋天香鱼的肉又不好吃了。
专家:我们发现这个香鱼到一定的时候 有颜色和味道都不好了 价钱也就不贵了。一到了秋天,香鱼的体色就发生了变化,银白色的体色变成了深色,肉质也不好了。原来是香鱼的营养物质都用来发育性腺了。
其实,香鱼到了秋季性成熟是因为光照时间变短了,那么专家考虑到香鱼性成熟和日照的长短有关系,那么如果能让香鱼一直生长在夏天的长日照日照时间里,是不是就能延缓香鱼的性成熟呢?
专家:我们采用的是延长光照的时间,就是晚上用太阳灯原来白天只有10个钟点晚上用灯延长2,3个钟点那么性成熟也就延缓了。
专家是用灯光模拟太阳光,延长香鱼的光照时间,这样香鱼的性成熟时间也就向后延迟了,保证了香鱼的上市时间从原来的八九月份一直持续到12月份,大大提高了香鱼的商品价值。

香鱼食法颇多,清蒸、红烧皆宜。清蒸香鱼的制法是,将鱼去鳞、鳃、内脏,洗净,入沸水锅氽一下,捞出装盆,配上笋片、香菇丝、猪油、葱、姜,浇上料酒,上蒸笼蒸熟后取出,把鱼汁滗入锅内,加精盐烧沸,用味精调好味,浇在鱼表面上即成。清蒸香鱼,肉质细嫩,多油,清香扑鼻,味道极其鲜美。
尤其值得一提的是凫溪香鱼干,在清代就远近闻名,据说已有二百余年历史。香鱼干用炭火焙烤而成,体色金黄,清香无腥,松脆可口,风味独特,为色、香、味俱全的美味佳肴。一些旅居海外的“宁波帮”,至今不忘家乡特产,常托亲友邮寄美味香鱼干。
材料:香鱼、橙子、薄荷、味椒盐、砂糖、芡汁。 薄荷橙香鱼块
做法:
1。香鱼起肉切块,用味椒盐腌1小时,再抹干身(也可以抹点干生粉)。
2。橙子榨汁、薄荷切碎待用。
3。起锅放油,把鱼块煎至金黄至熟上碟。
4。再起锅,倒入橙汁加砂糖煮开,再放薄荷碎勾芡,淋在鱼块上面即可。
炸蒜香鱼块 炸蒜香鱼块
原料:香鱼肉750克。
调料:蒜汁20克,脆浆粉50克,味精4克,盐6克,色拉油1000克。
制作:
1.将鱼肉切成长4厘米、宽2厘米、厚1.5厘米的鱼块,放味精、盐各3克腌渍5分钟。
2.用蒜汁和10克水化开脆浆粉调成脆浆糊,然后放入剩余的盐、味精调味。
3.锅内放入色拉油,烧至8成热时,将鱼块蘸匀脆浆糊小火炸4分钟取出后摆碟即可。
注:
蒜汁的制作:将50克大蒜去皮、洗净,放入0.5克盐碾碎成泥,放入30克清水调匀即可。

养殖香鱼卵母细胞的结构和洄游型香鱼、陆封型香鱼基本一致;受精孔和精孔细胞出现的时间早于洄游型香鱼和陆封型香鱼。养殖香鱼卵巢发育略早于野生香鱼,但发育速度比野生香鱼慢,尤其慢于陆封香鱼。精巢结构属叶型壶腹型结构。雄鱼发育成熟早于雌鱼,能自然排精。雌鱼不用激素诱导即可获得游离卵。

2000年飞云江香鱼为1999年的1/4~1/3,衰退是明显的;2000年上溯的幼香鱼约为1000尾,其资源量已十分稀少,濒临灭绝。其原因主要是由水质污染、酷捕滥捞、采捕鳗苗和采挖河沙造成的。预计洄游型香鱼在水库大坝建成后将在飞云江流域消失,但库区中也有可能出现陆封型香鱼种群。若考虑建造香鱼的人工养殖场,进行香鱼的全人工育苗和养成,可弥补飞云江香鱼自然资源的不足。
香鱼特征

为冰期自北方南移的残留种。属冷水性山麓鱼类。生活于秦岭地区海拔900—2300m的山涧溪流中,除洪…




钝吻鮠,Leiocassis crassirostris ,鲿科鮠属的一种鱼类。为底层鱼类。个体不…




触须蓑鲤,Pterois antennata ,鲉科短鳍蓑鲉属的一种鱼类。口大。胸鳍和背鳍鳍棘很…




多鳞鱚,Sillago sihama ,鱚科鱚属的一种鱼类。主要分布于印度洋-西太平洋的热带海域,…




绿鳍鱼, 又称“绿翅鱼、莺莺鱼、红头鱼” ,是鲂鮄科绿鳍鱼属的鱼类。头中大,四棱形,背面较狭;吻略长,…




云南华鲮,学名:Sinilabeo yunnanensis ,为辐鳍鱼纲鲤形目鲤科华鲮属的一种鱼类…




金鲳鱼属硬骨鱼纲、鲈形目、鲹科、鲳鲹属,学名卵形鲳鲹,俗名黄腊鲳、金鲳。该鱼体侧扁,卵圆形,…




红衣梦幻旗,学名史氏魮脂鲤,为脂鲤目,脂鲤亚目,脂鲤科,魮脂鲤属一种淡水鱼类。红衣梦幻旗分布于秘鲁…


















