中文学名:
灰额刺尾鱼
灰额刺尾鱼,Acanthurus glaucopareius Cuvier,刺尾鱼科刺尾鱼属的一种鱼类。
基本信息

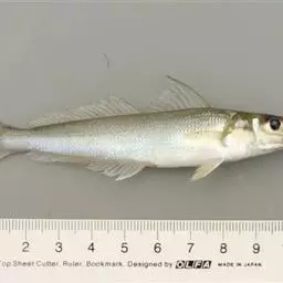
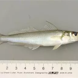
灰额刺尾鱼(学名:Acanthurusglaucopareius)为刺尾鱼科刺尾鱼属的鱼类。分布于印度尼西亚、菲律宾至太平洋中部夏威夷和波利尼西亚、南至澳大利亚东北、北到日本南部、台湾岛以及西沙群岛等。

牙齿侧扁,不能活动。背鳍具9鳍棘28~32鳍条;臀鳍具3鳍棘26鳍条。腹鳍具5鳍条。尾柄两侧各具1个向前棘。眼下方有1半月形白色斑块。背鳍与臀鳍鳍基部各具1黄色纵带。

典型珊瑚礁鱼类,多活动在礁盘浅水带,体长150毫米左右,较习见。

分布于热带太平洋中、西部。我国见于南海。

横带刺尾鱼,刺尾鱼科刺尾鱼属的一种鱼类。俗名条纹刺尾鱼。鱼吻及下颌周围有淡色环。体被细小栉鳞。体色…




灰额刺尾鱼,Acanthurus glaucopareius Cuvier,刺尾鱼科刺尾鱼属的一种…




黄高鳍刺尾鱼其体卵圆而侧扁,背鳍及臀鳍硬棘尖锐,前方软条较后方延长,呈伞形;尾鳍截平。尾棘在尾柄前部,…




黄高鳍刺尾鱼其体卵圆而侧扁,背鳍及臀鳍硬棘尖锐,前方软条较后方延长,呈伞形;尾鳍截平。尾棘在尾柄前部,…




横带刺尾鱼,刺尾鱼科刺尾鱼属的一种鱼类。俗名条纹刺尾鱼。鱼吻及下颌周围有淡色环。体被细小栉鳞。体色…




灰额刺尾鱼,Acanthurus glaucopareius Cuvier,刺尾鱼科刺尾鱼属的一种…


















