金线鱼,俗名金线鲢、黄线、红三、红衫,为辐鳍鱼纲鲈形目金线鱼科的其中一个种。
红衫鱼,鱼肉丰厚,食用价值甚高,每百克肉含蛋白质 18.1克、脂肪 1.5克,可供鲜食或加工成咸干品。
基本信息

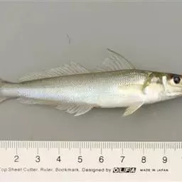
红衫鱼体延长,倒扁,背腹缘皆钝圆,一般体长19~31厘米、体重50~15
0克、吻钝尖,口稍倾斜,上颌前端有五颗较大的圆锥形齿,上下颌两侧皆有细小的圆锥齿.体被薄栉鳞、全体呈深红色,腹部较淡,体两侧有6条明显的黄色纵带、背鳍长;尾鳍叉形,其上叶末端延长成丝状。背鳍及尾鳍上缘为黄色,背鳍中下部有一条黄色纵带,臀鳍中部有2条黄色纵带。鳍Ⅹ-8—9;臀鳍Ⅲ-8;胸鳍16—17;腹鳍Ⅰ-5;尾鳍17。侧线鳞48—51 4/9-10。
鳃耙5+7—8。标本体长 190—275mm。体长为体高3.1—3.5倍,为头长3.3—3.6倍。头长为吻长2.3—2.6倍,为眼径3.1—4.3倍。体延长,侧扁。口中大。眶前骨宽,等于眼径;上颌骨被眶前骨遮盖。上颌前端具圆锥犬齿6枚,两侧齿细小。下颌前端及两侧均为细小圆锥齿。犁骨、腭骨、舌上无齿。体被栉鳞,眼间隔、吻及眶前部裸露无鳞。颊部及鳃盖具鳞3行。尾鳍基底具细鳞。侧线完全。背鳍棘部与鳍条部相连,中间无缺刻。尾鳍分叉,上叶末端呈丝状延长。体浅红色,体侧具6—7条黄色纵带。唇部黄色。背鳍边缘黄色。臀鳍、腹鳍鳍膜内各具2条黄色条纹。为暖温近海鱼类。食用鱼类。分布于中国南海、台湾海峡、东海;日本、朝鲜、菲律宾。

每100克中含:
水分77.1克 能量101千卡 能量423千焦 蛋白质18.6克 脂肪2.9克 胆固醇54毫 红衫鱼 克灰份1.4克 维生素A 20毫克
视黄醇20毫克 硫胺素0.01微克 核黄素0.03毫克 尼克酸4.8毫克 维生素E(T)0.61毫克 钙102毫克 磷128毫克 钾300毫克 钠118毫克 镁29毫克 铁1.4毫克 锌0.66毫克 硒48.3微克 铜0.04毫克 锰0.05毫克

据《星岛日报》澳大利亚版2014年12月18日报道,2013年11月,一个分析澳大 红衫鱼 利亚南部沿海鱼类健康状况的项目组捕获一条红衫鱼。经严密检测,项目组断定它已活了84年,创下了西澳的鱼寿命纪录。
据报道,西澳渔政厅长巴斯敦表示,渔政厅在研究中心仔细检测分析了这条60厘米长的雌性红鱼衫,估计它在1929年出生。
报道称,研究人员分析了这条鱼耳石(耳骨)的生长轮纹,它类似树木的年轮,可以推断其生长的年份。一般红鱼衫生活的海水深度在30米至300米之间。
研究人员称,它们有一种惊人的能力,可以垂直游向海底,而很少有气压性损伤的迹象。这是指在不同气压下迅速变化而产生损伤。
据悉,这一研究项目还对西澳南部沿海的多种鱼类进行了分析,最终报告将于2014年完成。

红衫鱼为咸水鱼,其食法颇多,可用来清蒸、煎、配合蕃茄焖煮,或煲汤,其质嫩滑 红衫鱼 ,若用来蒸时不用刮鳞,连皮清蒸,熟后才撕开外皮,如此,食起来既原汁原味,鱼肉亦分外鲜甜嫩滑;若用来煲汤,最好先煎至金黄,才配合其他材料如豆腐同煲,如此,汤水呈奶白,且分外鲜甜可口。 [2-3]

多鳞鱚,Sillago sihama ,鱚科鱚属的一种鱼类。主要分布于印度洋-西太平洋的热带海域,…




黑鲷是鲈形目鲷科棘鲷属的一种硬骨鱼,俗称海鲋、青鳞加吉、青郎、乌颊、牛屎鱲、乌翅、黑加吉、黑立、海鲫和铜盆鱼等。体呈长椭圆形,侧扁,头中大,吻钝尖。口小,上、下颌等长;体被中等大的弱栉鳞,体侧通常有5~7条黑色条纹。背鳍棘坚硬,臀鳍第二鳍棘尤甚;体背部为灰黑色,侧线起点处有黑斑点,体侧常有数条不明显的暗褐色横带,腹部银白。黑鲷分布于中国、日本和韩国等地的沿岸、港湾及河口,属内湾性鱼类,在中国,以黄海、渤海数量较多。黑鲷为浅海、底层鱼类,喜栖于沙、泥底或多岩礁的清水中,为广温、广盐性鱼类,对于环境适应能力较强。黑鲷为杂食性鱼类,在自然海区,以软体动物的蛤类、小鱼虾类为主食,有时也吃海藻,人工养殖可采用低值鱼虾贝类或配合饵料投喂。黑鲷具有很强的繁殖力,雌雄同体,雄性先熟,怀卵量达200万~300万粒以上。黑鲷是名贵海产鱼之一,全体药食兼用。具有健脾利水、补气活血的功效;用于脾虚水肿、小儿脾胃不




沙塘鳢,是鲈形目塘鳢科沙塘鳢属鱼类。沙塘鳢体长48-135毫米,粗壮,头大而阔,稍扁平,腹部浑圆,…




横带刺尾鱼,刺尾鱼科刺尾鱼属的一种鱼类。俗名条纹刺尾鱼。鱼吻及下颌周围有淡色环。体被细小栉鳞。体色…




眼斑双锯鱼,背鳍硬棘被橘黄色斑块分割为5-6枚,第4枚最长,约为头长的2.1-2.9倍。胸鳍、臀鳍…




鮸,是鲈形目石首鱼科鮸属暖温性中下层鱼类。身体延长而侧扁,有4个须孔;耳石椭圆形,…




淡黑镊丽鱼为辐鳍鱼纲、鲈形目、隆头鱼亚目、慈鲷科的其中一种动物,分布于非洲马拉维湖流域,…




丝蝴蝶鱼,又称扬幡蝴蝶鱼,俗名人字蝶,为辐鳍鱼纲鲈形目蝴蝶鱼科的其中一种。…


















