
灰额刺尾鱼,Acanthurus glaucopareius Cuvier,刺尾鱼科刺尾鱼属的一种…




黄姑鱼是鲈形目石首鱼科黄姑鱼属鱼类。黄姑鱼身体延长而侧扁,耳石尖圆形,…




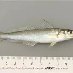
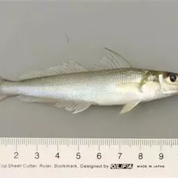
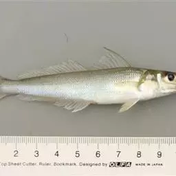
多鳞鱚,Sillago sihama ,鱚科鱚属的一种鱼类。主要分布于印度洋-西太平洋的热带海域,…




孟加拉豆娘鱼,又称孟加拉雀鲷,为辐鳍鱼纲鲈形目隆头鱼亚目雀鲷科的其中一种,属杂食性,…




尼罗罗非鱼是鲈形目丽鱼科罗非鱼属鱼类,别名罗非鱼、非洲鲫鱼、尼罗丽鲷。体椭圆形,侧扁;体被大栉鳞,…




眼点丽鱼又称皇冠三间、孔雀鲈,为鲈形目,慈鲷科,丽鱼属一种淡水鱼类。…




红小丑,俗称西红柿,属鲈形目雀鲷科海葵鱼属,是小丑鱼的一种。




红宝石鱼是鲈行目慈鲷科伴丽鱼属 鱼类,又名红花鲈、宝石鱼。个体较大,身长12—15厘米。背鳍宽大,…


















