
罗非鱼别称非洲鲫鱼、南鲫、越南鱼,是鲈形目丽鲷科罗非鱼属脊索动物。体侧扁,头中等大小,…




带鱼是鲈形目带鱼科带鱼属的鱼类,俗称刀鱼、白带鱼、牙带鱼、裙带、肥带、油带等。体延长呈带状,甚侧扁,…




狐面鱼,学名:Siganus vulpinus ,又名狐狸鱼,分布于菲律宾、中国台湾、太平洋的珊瑚…




淡黑镊丽鱼为辐鳍鱼纲、鲈形目、隆头鱼亚目、慈鲷科的其中一种动物,分布于非洲马拉维湖流域,…




蓝点马鲛,又名鲅鱼、马交、燕鱼,是鲭科马鲛属的一种暖水性大型中上层洄游鱼类。体呈纺锤形,…




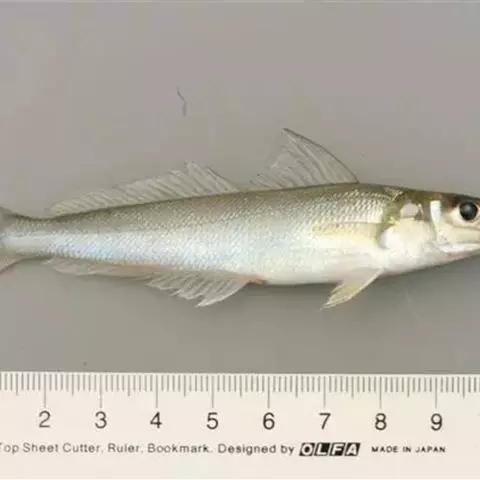
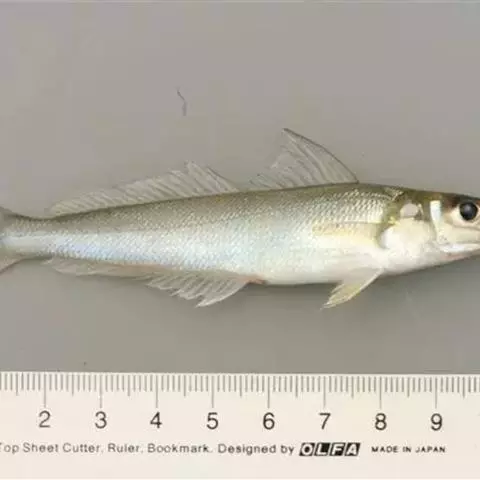
尼罗罗非鱼是鲈形目丽鱼科罗非鱼属鱼类,别名罗非鱼、非洲鲫鱼、尼罗丽鲷。体椭圆形,侧扁;体被大栉鳞,…




四带笛鲷,学名:Lutjanus kasmira ,为笛鲷科笛鲷属的一种鱼类。全长达300毫米。体…




火口鱼,Cichlasoma meeki,慈鲷科丽体鱼属,出产在中美洲,鱼长15厘米以上,…


















