鮸鱼为鲈形目石首鱼科,体色银灰。多产东海舟山洋面。鮸鱼一般每尾重2~3斤,最大有百余斤。分布渤海、黄海、东海、南海等水域。
基本信息

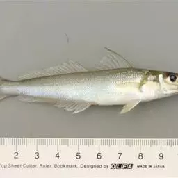
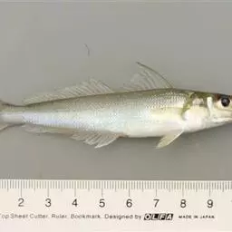
鮸鱼体延长而侧扁,背、腹部浅弧形,一般体长45~55厘米、体重 500~1000克,大的个体可达10多千克、口大而微斜、体被栉鳞、鳞片细小,表层粗糙,头部被圆鳞、颌孔4个,中央颌孔及内侧颌孔呈四方形排列,无颌须。上颌外行牙和下颌内行牙扩大,呈犬牙状,内面小牙成带状群、眼圈大、眼膜透明度高红而明亮。体呈蓝灰褐色,腹部为灰白色、背鳍2个连在一起,中间有一深缺刻。鳍棘上缘为黑色,鳍条部中央有一纵行黑色条纹;胸鳍基部黄色、边缘黑色;臀鳍具2棘;尾鳍呈楔形,尾鳍的基部为黄色,其边缘颜色稍浅。

鮸鱼为暖水性底层鱼类,栖息于水深15~70 m,底质为泥或泥沙处。白天下沉,夜间上浮,喜欢小股分散活动,不集成大群。鮸鱼为小区域性洄游鱼类,产卵季节鱼群相对集中。
鮸鱼的生殖期,在朝鲜沿岸为9~10月,在长江口外海为7 、8月,在舟山群岛附近为5 、6月。体长一般不超过1m,体重多在5 kg以内。鮸鱼的生长比小黄鱼、白姑鱼迅速。渔获物的一般长度为450~550 mm,体重为1500~2500 g。
鮸鱼属于捕食性鱼类,摄食小型鱼类、关足类和十足类如黄鲫、青鳞鱼、小黄鱼和鳍鱼等,以及对虾、中国毛虾和鼓虾等虾类。

属暖水性近底层鱼类,主要产卵区在舟山北部岛屿。 分布在北太平洋西部。我国沿海均产之。

鮸鱼在中医学上具有食补的温和疗效。吃鮸鱼能补血,如果身体有轻微发炎现象,吃鮸鱼也可以缓解消炎。一般来说,吃鮸鱼还能润肺健脾、强健身体。
鮸鱼的头部有巨大的耳石,这个部分可以作为中药,具有清热解瘀、利尿的功能,煮成汁服用,还可以解各种毒性。其鱼鳔可做药用。

攀鲈,是鲈形目攀鲈科攀鲈属一种。又称太阳鱼。其体侧扁,口次上位,…




多鳞鱚,Sillago sihama ,鱚科鱚属的一种鱼类。主要分布于印度洋-西太平洋的热带海域,…




淡黑镊丽鱼为辐鳍鱼纲、鲈形目、隆头鱼亚目、慈鲷科的其中一种动物,分布于非洲马拉维湖流域,…




射水鱼属:是分布于印度洋——太平洋地区的射水鱼科七种鱼的统称,以其能从口中射出水滴,…




红小丑,俗称西红柿,属鲈形目雀鲷科海葵鱼属,是小丑鱼的一种。




月鳢是鲈形目鳢科月鳢属鱼类,又称七星鱼、山花鱼、山斑鱼、张公鱼等。头大而宽扁;吻短而圆钝,…




角镰鱼属镰鱼科,广泛分布于印度-太平洋及东太平洋区,自非洲东部到墨西哥,北至日本南部及夏威夷群岛,…




泰国斗鱼,学名为五彩搏鱼,隶属于鲈形目、攀鲈亚目、斗鱼科。原生长在热带地区的湖沼、稻田等水流缓慢水…


















