
四带笛鲷,学名:Lutjanus kasmira ,为笛鲷科笛鲷属的一种鱼类。全长达300毫米。体…




丝蝴蝶鱼,又称扬幡蝴蝶鱼,俗名人字蝶,为辐鳍鱼纲鲈形目蝴蝶鱼科的其中一种。…




蜂巢石斑鱼,Epinephelus merra ,鮨科石斑鱼属的一种鱼类。俗名:网纹石斑鱼、蜂巢格…




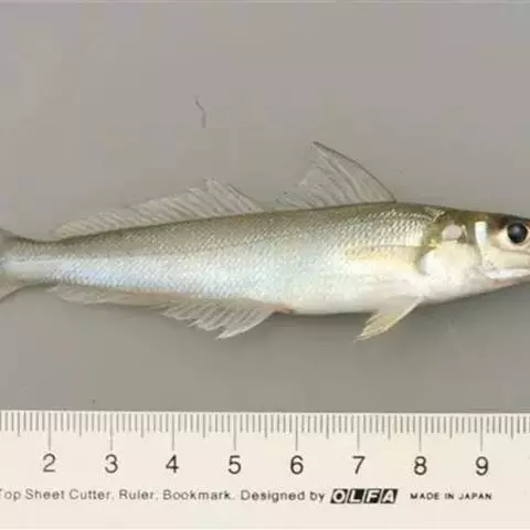
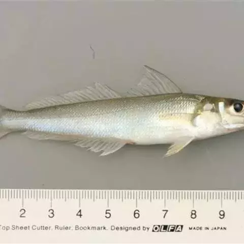
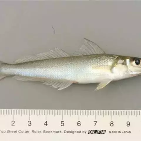
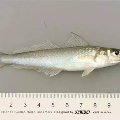
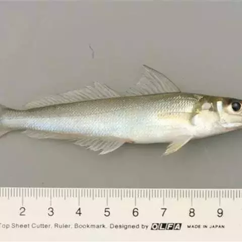
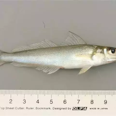
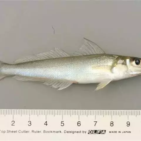
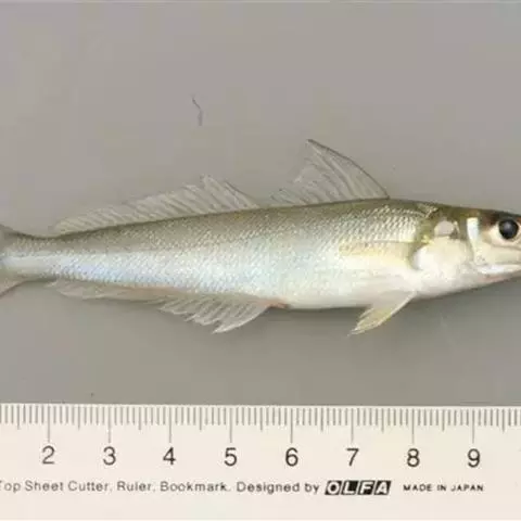
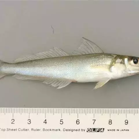
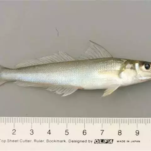
黑鲷是鲈形目鲷科棘鲷属的一种硬骨鱼,俗称海鲋、青鳞加吉、青郎、乌颊、牛屎鱲、乌翅、黑加吉、黑立、海鲫和铜盆鱼等。体呈长椭圆形,侧扁,头中大,吻钝尖。口小,上、下颌等长;体被中等大的弱栉鳞,体侧通常有5~7条黑色条纹。背鳍棘坚硬,臀鳍第二鳍棘尤甚;体背部为灰黑色,侧线起点处有黑斑点,体侧常有数条不明显的暗褐色横带,腹部银白。黑鲷分布于中国、日本和韩国等地的沿岸、港湾及河口,属内湾性鱼类,在中国,以黄海、渤海数量较多。黑鲷为浅海、底层鱼类,喜栖于沙、泥底或多岩礁的清水中,为广温、广盐性鱼类,对于环境适应能力较强。黑鲷为杂食性鱼类,在自然海区,以软体动物的蛤类、小鱼虾类为主食,有时也吃海藻,人工养殖可采用低值鱼虾贝类或配合饵料投喂。黑鲷具有很强的繁殖力,雌雄同体,雄性先熟,怀卵量达200万~300万粒以上。黑鲷是名贵海产鱼之一,全体药食兼用。具有健脾利水、补气活血的功效;用于脾虚水肿、小儿脾胃不




非洲王子是一种如同鲈鱼一般的典型的鲈形目的体型的鱼。小型慈鲷,成年个体10~12cm,如同鲈鱼一般…




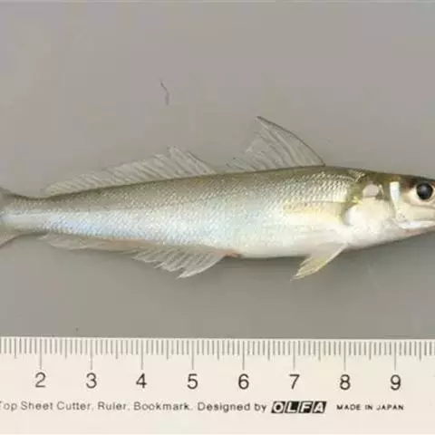
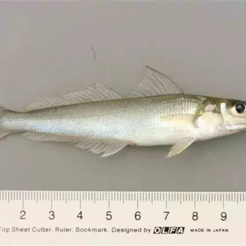
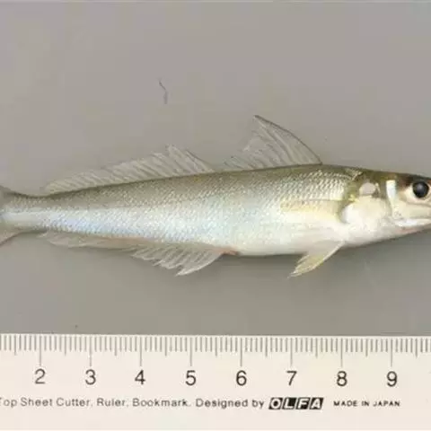
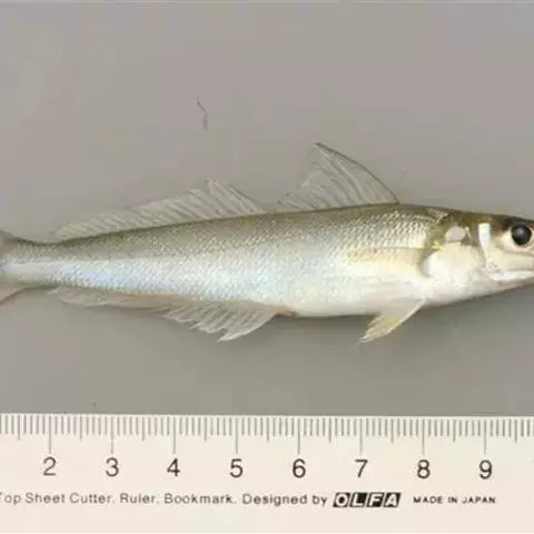
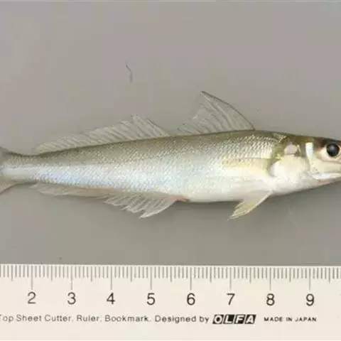
沙塘鳢,是鲈形目塘鳢科沙塘鳢属鱼类。沙塘鳢体长48-135毫米,粗壮,头大而阔,稍扁平,腹部浑圆,…




红宝石鱼是鲈行目慈鲷科伴丽鱼属 鱼类,又名红花鲈、宝石鱼。个体较大,身长12—15厘米。背鳍宽大,…




非洲凤凰是最早从马拉维湖出口的慈鲷之一。体长约15厘米,捕食性鱼类。幼鱼为鲜黄色,…


















