
蜂巢石斑鱼,Epinephelus merra ,鮨科石斑鱼属的一种鱼类。俗名:网纹石斑鱼、蜂巢格…




褐点石斑鱼为辐鳍鱼纲鲈形目鲈亚目鮨科石斑鱼属的鱼类。分布于红海、印度洋非洲东岸至太平洋波利尼西亚、…




炸弹鱼,英文名:Bullet mackerel,又名鲣鱼, 炸弹鱼属金枪鱼科鱼类。…




尼罗罗非鱼是鲈形目丽鱼科罗非鱼属鱼类,别名罗非鱼、非洲鲫鱼、尼罗丽鲷。体椭圆形,侧扁;体被大栉鳞,…




尼罗罗非鱼是鲈形目丽鱼科罗非鱼属鱼类,别名罗非鱼、非洲鲫鱼、尼罗丽鲷。体椭圆形,侧扁;体被大栉鳞,…




棘鳅为刺鳅科初级澹水鱼类。 体呈长条状,似泥鳅,吻端尖且向前突出,口下位。背、臀鳍前有一排…




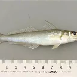
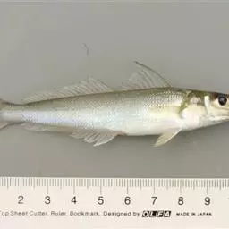
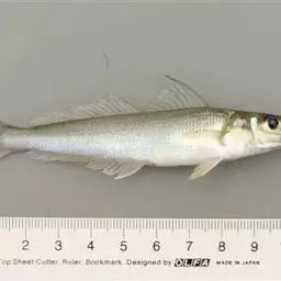
多鳞鱚,Sillago sihama ,鱚科鱚属的一种鱼类。主要分布于印度洋-西太平洋的热带海域,…




罗非鱼别称非洲鲫鱼、南鲫、越南鱼,是鲈形目丽鲷科罗非鱼属脊索动物。体侧扁,头中等大小,…


















