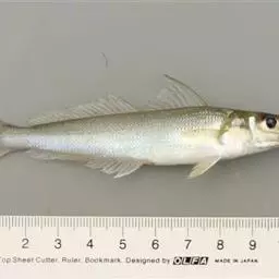
罗非鱼,俗称:非洲鲫鱼,非鲫、越南鱼、南洋鲫等。原指以莫桑比克为模式产地的口孵非鲫属鱼类物种:莫桑比克口孵非鲫(学名:Oreochromis mossambicus),现为慈鲷科非鲫属及口孵非鲫属等属数种鱼类的共同俗称;英文里统称为Tilapia。现在它是世界水产业的重点科研培养的淡水养殖鱼类,且被誉为未来动物性蛋白质的主要来源之一。通常生活于淡水中,也能生活于不同盐份含量的咸水中,也可以存活于湖,河,池塘的浅水中。它有很强的适应能力,在面积狭小之水域中亦能繁殖,甚至在水稻田里能够生长,且对溶氧较少之水有极强之适应性。绝大部分罗非鱼是杂食性,常吃水中植物和碎物。
基本信息

罗非鱼俗名南洋鲫、非洲仔、福寿鱼,罗非鱼原产于非洲的坦噶尼喀湖,外形类似鲫鱼,鳍条多棘,形似鳜鱼。福寿鱼属广盐性鱼类,在海水、淡水中均可生存。对低氧环境具有较强的适应能力,一般栖息在水的底层,通常随水温度变化或鱼体大小改变栖息水层。有着优良的适应能力及强大的繁殖力。

罗非鱼是一群中小型鱼类,它的外形、个体大小有点类似鲫鱼,鳍条多荆似鳜鱼。我国主要养殖的品种有尼罗罗非鱼、奥利亚罗非鱼、莫桑比克罗非鱼以及各种组合的杂交后代等。
原产于非洲东部、约旦等地。背鳍边缘黑色;尾鳍终生有明显的黑色条纹,呈垂直状;喉、胸部白色,尾鳍末端不达臀鳍的起点,体侧具有8~10条横带纹,尾柄背缘有一黑斑;尾柄高大于尾柄长。尼罗罗非鱼具有生长快、食性杂、耐低氧、个体大、产量高和肥满度高等优点,因而在我国许多地区可单养或作杂交亲鱼用。
原产于西非尼罗河下游和以色列等地。喉、胸部银灰色;背鳍、臀鳍具 暗色斜纹;尾鳍圆形,具银灰色斑点,奥利亚罗非鱼比尼罗罗非鱼耐寒、耐盐、耐低氧、起捕率高;特别是它们的性染色体为ZW型,与尼罗罗非鱼杂交可产生全雄罗非鱼,故常用作与尼罗罗非鱼杂交的父本。
原产于非洲莫桑比克纳塔尔等地。它与尼罗罗非鱼的区别在于: 尾鳍黑色条纹不成垂直状;头背外形呈内凹;喉、胸部暗褐色;背鳍边缘红色,腹鳍末端可达臀鳍起点;尾柄高约等于尾柄长。因引进过程中忽视提纯育种工作,造成品种退化,只用作福寿鱼杂交鱼的母本。
是尼罗罗非鱼和莫桑比克罗非鱼突变型种间杂交后代, 它身体具美丽的微红色和银色小斑点,或偶有少许灰色或黑色斑块。红罗非鱼是罗非鱼中生长速度较快的一种,杂食性,繁殖力强,广盐性,疾病少,个体大,体色美,肉味鲜,在广东和港澳地区很受消费者和生产者的欢迎,又被叫作珍珠腊或腊鱼。
奥利亚罗非鱼雄鱼和尼罗罗非鱼雌鱼的杂交种,外形与母本相似, 生长快,雄性率高达93%,具有明显的杂交优势,且起捕率高,现正成为罗非鱼主要的养殖品种。
莫桑比克罗非鱼雌鱼和尼罗罗非鱼雄鱼的杂交种。 具有杂食性、疾病少、生长快和产量高等优点,但因体色黑和含肉率低影响其养殖的发展。

罗非鱼具有食性杂、耐低氧、不耐低高温,繁殖强等特点:
罗非鱼食性广泛,大多为植物性为主的杂食性,甚贪食,摄食量大;生长迅速,尤以幼鱼期生长更快。罗非鱼生长与温度有密切关系,生长温度16~38℃,适温22~35℃。是一种广盐性鱼类,海淡水中皆可生存;耐低氧,一般栖息于水的下层,但随水温变化或鱼体大小改变栖息水层。
罗非鱼是以植物为主的杂食性鱼类。池塘中的罗非鱼,消化道内含物大部分是有机碎屑及其他植物性饲料(如水草类、商品饲料等等),其次是浮游植物、浮游动物和少量底栖动物。
罗非鱼耐低氧能力很强,窒息点为0.07~0.23毫克/升,水中溶氧1.6毫克/升时,罗非鱼仍能生活和繁殖。水中溶氧3毫克/升以上时,生长不受影响。
罗非鱼的生存温度范围为15~35℃。当水温低于15℃时,罗非鱼处于休眠状态。罗非鱼最高临界温度约40~41℃,最适宜生长温度为28~32℃,罗非鱼繁殖温度在20℃以上。
罗非鱼性成熟早,产卵周期短,口腔孵育幼鱼,繁殖条件要求不高,大水面积静止水体内自然繁殖。罗非鱼6个月即达性成熟,重200克左右的雌鱼,怀卵量多在1000~1500粒左右,繁殖期间,雄鱼有美丽的婚烟色彩,腹部有肛门和泌尿生殖孔两个口,挤压腹部有白色精液流出,雌鱼腹部有3个孔,即肛门、生殖孔和泌尿孔。水温18~32℃,成熟雄鱼具有“挖窝”能力,成熟雌鱼进窝配对,产出成熟卵子并立刻将其含于口腔,使卵子受精,受精卵在雌鱼口腔内发育,水温25~30时4~5天即可孵出幼鱼。幼鱼至卵黄囊消失并具有一定能力时离开母体。

罗非鱼的肉味鲜美,肉质细嫩,无论是红烧还是清烹,味道俱佳。尼罗罗非鱼经测定,每100克肉中含蛋白质20.5克,脂肪6.93克,热量148千卡,钙70毫克,钠50毫克,磷37毫克,铁1毫克,维生素B1 0.1毫克,维生素B2 0.12毫克。罗非鱼已成为世界性的主要养殖鱼类。
罗非鱼的肉味鲜美,肉质细嫩,含有多种不饱和脂肪酸和丰富的蛋白质,在日本,称这种鱼为“不需要蛋白质的蛋白源”。
罗非鱼一般人群都可食用。老少皆宜,每次100克左右。罗非鱼味道鲜美,肉质细嫩,骨刺少,没有肌间小刺,无论是红烧还是清蒸,味道俱佳。此外,也可做全鱼、鱼片、鱼丸,可蒸、煮、炸、烤、做汤或微波烹饪。
罗非鱼

(1)罗非鱼属底层鱼类,食性广而杂,常用的钓饵有:蚯蚓、面团、饭粒、红虫等。以红虫为最佳。有一种罗非冻饵,其效果远超传统饵料。
罗非鱼 (2)钓具一般以2.4~6.3米的手竿为好,钓线以0.15~0.25毫米采线为宜,浮漂采用塑料立漂,鱼钩用3~5号的长柄伊势尼钩。钓线长约2.5~3.5米,以操作方便为准。垂钓时要求坠的下头着地,上头悬起,使鱼钩朝天。
(3)罗非鱼食量大,集群性强,所以用诱饵撒窝时要求量大,一般撒在离岸1米左右,成宽60厘米、长1.5米的带状。用量2~3千克。可用菜子饼、豆饼、鸡饲料、鸭饲料、鸡肝为诱饵。
罗非鱼吞钩后常不动,鱼漂只是由直立变斜侧。发现此情况,立即提竿,将鱼拉出窝点,再提拉上岸,以免惊动鱼群。
垂钓罗非鱼不可沉钩、悬钩。此外罗非鱼口内有小尖齿,其臂鳍、腹鳍、背鳍坚硬,很易刺手,所以垂钩该鱼时应带手套以保护自身安全。摘钩时用毛巾盖住鱼身,用摘钩器,取下钩子。

1.池塘条件
养殖场所宜选在避风向阳、水源充足、水质清新、无污染、安静且交通便利的地方,池塘面积3亩~5亩,水深为1.5~2米,池塘底泥厚度为20~30厘米。每口池塘配备1台1.5千瓦的叶轮式增氧机。
2.清塘施肥
在鱼种放养前,要清塘消毒。一般在4月上中旬,每亩用生石灰75~100公斤清塘,7天后加水至1米深,然后每亩施腐熟的粪肥300~400公斤,可放入少量的绿萍或红萍。
3.鱼种放养
每年春季当水温回升,稳定在15℃以上时,开始放养冬苗。池塘主养一般每亩放养鱼种1500~3000尾,同时混养鲢、鳙鱼种各40~70尾,以控制水质;与其他鱼混养时每亩可放养200~500尾。
4.饵料投喂
罗非鱼进入养殖水面后2天~3天便可开始投喂。罗非鱼的食性很广,在人工饲养的条件下,可以投喂各种饲料,如小麦、玉米、饼粕等均是它的优质饲料。饲料中蛋白质含量开始应为32%~35%,每天投饲量为鱼体总重量的3%~5%。当个体规格长至200克左右,投饲量可调至鱼体总重的2%,并保证饲料中蛋白质含量在27%~29%。当其个体达到300克左右时,罗非鱼进入生长最快的时期,日投饲量保持在鱼体重的1%~2%,饲料中蛋白质含量在35%以上。每天投喂2次,时间分别在上午8~9时和下午3~4时。
5.日常管理
(1)每天早、中、晚测量水温、气温,每周测1次pH值,测2次透明度。清晨、夜晚各巡塘1次。
(2)鱼种下塘后,要保持池水呈茶褐色,透明度为25~30厘米。一般每周施肥1次,每次每亩施畜粪肥150~200公斤。在天气晴朗、水体透明度大于30厘米时可适当增加施肥量;水质过肥时,应减少或停止施肥,并注入新水。在高温季节,一般每周换水1~2次,每次换去池水的20%~30%。
(3)坚持健康养殖,按规程操作,预防鱼病。苗种下池前用5%的食盐水或每升0.1毫克的高锰酸钾溶液浸洗鱼体10~15分钟。每隔10~15天,每亩用15~20公斤的生石灰化水全池泼洒,调节池水pH值呈微碱性,用生物制剂改善池塘微生物结构,改良水质。当溶氧低、鱼有轻度浮头时开增氧机。
鱼、稻共生,能获得双丰收。稻田套养罗非鱼时,应注意科学饲养。
1.放养准备
稻田田间工程结束后,放养前2周,每亩用75~100公斤生石灰化水泼洒在鱼沟及田块中消毒,次日将沟及田底耙1遍,使石灰浆与淤泥充分混合。放苗前1周施入发酵过的畜粪肥进行肥水,每亩用量200公斤,以培育水中天然饵料。
2.放养时间
一般在水稻插秧后5天左右,待秧苗返青时放养。有的地方为了增加鱼类生长期,在5月中旬便将鱼种放入鱼沟中饲养,待秧苗返青后再打通鱼沟放鱼入田,也是行之有效的好办法。
3.放养方法
鱼种宜选择体质健壮、活动力强、无伤病、规格整齐的鱼种。放养密度要合理,一般每亩可放规格为5~6厘米的罗非鱼鱼种200~300尾,搭配草鱼、鲤鱼等150~200尾。具体的放养量可根据稻田条件、水质环境、排灌条件及管理水平灵活掌握。
4.放养操作
鱼种入池前要进行消毒,一般用3%~5%的食盐水浸浴鱼体5~10分钟。放鱼时间应选在晴天的上午或傍晚,切忌在雨天或晴天正午放鱼。
5.投饵施肥
稻田养殖罗非一般不投饵,全靠摄取天然饵料生长。但稻田中天然饵料有限,适宜投喂一部分饵料能加速其生长,提高产量。每天投饵2次,投喂量可掌握在饵料2小时吃完为宜。养鱼的稻田对施基肥和农家肥无特殊要求。用尿素、硫酸铵等追肥,则应少量多次,一次施半块田,切忌直接在鱼沟中施肥。
罗非鱼在网箱中可单养、主养或搭配养殖。鱼种应以大规格为好,进箱规格一般为尾重10~50克。溶氧量在每升3毫克以上时,放养密度为每立方米3~20公斤。
罗非鱼是流水高密度养殖或“工厂化”养殖的主要对象之一。养殖池不宜过大,养成鱼一般以30~50平方米为宜,维持池水溶氧量在每升3毫克以上。集约化养殖需要投喂营养全面的配合饲料,其饲料的蛋白质含量以30%左右为宜。日投喂5次~6次,投喂量为鱼体重的2.5%~3%。

罗非鱼繁殖的适宜水温为22~23℃,一般在5月中旬以后自然产卵。为抢季节,充分利用光、热与饵料资源,以提高养殖产量,必须采取人工增温,强化培育,提早春繁,使罗非鱼在4月中旬产卵孵苗。具体措施如下。
1.亲鱼选择与培育
选择成熟度好的亲鱼在3月中旬放入产卵池内加强培育,产卵池可选用越冬池。一般每平方米产卵池放养6尾亲鱼,雌雄比例2∶1或3∶1,同时要定期换水。
2.增温与饲养管理
池内水温应控制在23℃以上,水质要求肥、活、爽,投饵量可依水温、水质和鱼的生长情况而定。一般静水池每日投饵量为鱼体重的2%,流水池为3%。同时,要经常观察鱼的活动情况和性腺发育程度,做好各项记录。
3.产卵
罗非鱼雌雄鱼体色有明显的区别,发情的雄鱼在池边游动,寻找地点做窝。窝的形状为锅形,直径30~40厘米,深度10厘米左右。窝建成后,雄鱼不时到雌鱼群中逗引,并拦截雌鱼入窝配对。当水温达到22~23℃时,雌鱼便能产卵。产卵时,雌鱼腹部靠近窝底,雄鱼守卫在窝旁,雌鱼产卵后,立即将卵吸入口内,下颌鼓突呈囊状。雄鱼随即入窝排精,雌鱼又将精液随水吸入口内。卵子在口腔内受精。
4.孵苗
罗非鱼受精卵在雌鱼口腔内孵化,并随着雌鱼的呼吸而翻动,既得到母体的保护,又具有很好的孵化环境。水温在30℃左右时,约4~5天孵出鱼苗;25℃时则需7天左右。
在众多的罗非鱼种苗中,比较公认的是利用罗非鱼种间杂交繁育出的种苗,这些种苗因具备杂交优势而生长速度快,个体大,耐寒性好,雄性率高等特点,而得到养殖户的普遍认可。其商品名称主要有:奥尼、奥杂、吴郭鱼、单性罗非等。而各个鱼苗生产单位所产的种苗,品质存在较大的差异。养殖户应从众多的品种中,通过养殖筛选一个生长速度最快,雄性率最高的种苗放养。
我国所生产的单性罗非鱼在内,客观上都没有达到百分之百的雄性率。在养殖生产中,或多或少都有劣质后代产出,加大了饲养密度,消耗大量的饲料,更达不到商品规格(其价值只有正常产品的20%左右,被称为猫鱼),而严重影响到罗非鱼养殖生产的产量效益。处理这一问题,有以下措施:
1.实行标粗配套分级养殖。养殖生产者要配备足够的二级种苗标粗塘,一级种苗标粗到20~50克左右,二级种苗标粗到200~400克左右,再分拣雄性鱼下塘养成商品鱼。这样既可以解决繁育“猫鱼”过多的问题,又可避免养殖前期的水面浪费问题。
2.人工定期清除劣质后代。根据罗非鱼幼苗具有集群游边的特性,在其繁育季节每隔2~3天,用手抄网在塘边收集清除所繁育出来的劣质幼苗。
3.适度放养肉食性鱼类。罗非鱼种苗放养后,适度放养一些南放大口鲶,河鲶,斑鳢等凶猛肉食性鱼类(放养规格以不能捕食放养的罗非鱼为度),以捕食罗非鱼繁育的后代。高州市养殖户如每茬都清塘的,一般每亩混养20尾大口鲶,如不清塘的,则混养20尾斑鳢。
4.分批养殖,收成后清塘。除了山塘小水库确无法干水清塘外。一般的养殖池塘改变传统的抡捕抡放的方式,实行分批养殖,收成后清塘。
许多地方积极实施罗非鱼基地化生产战略,大力推行大水面主养罗非鱼,将池塘养殖罗非鱼高产高效的养殖技术及管理模式应用到大水面的深度开发,彻底改变了过去大水面粗放粗养、低产低效的生产状况,生产潜力得到大幅度提高。大水面主养罗非鱼可以获得显著的经济效益,而且水体稳定,租金较低,只要不是作为饮用水源及其它用途,科学开发都可以获得较好的收成。现将大水面主养罗非鱼的几个技术要点简述如下:
1. 清塘除害
此项工作非常重要,但往往被养殖户忽视,其作用是杀菌消毒,清除敌害,改善养殖环境,可以有效地防止大型凶猛鱼类对养殖品种的伤害,减少野杂鱼与放养鱼类之间对饲料与水体空间的争夺。水源好、易排水的大水面尽可能将水排干,干法清塘效果最好,用生石灰50~75kg/亩兑水化浆后趁热全池泼洒,曝晒一段时间后注水;水源差、排水难的大水面可以带水清塘,尽量降低水位后,水深1.0m时施用茶饼40~50kg/亩全池泼洒,清塘效果也很好。实际操作中,注意要将死鱼及时捞起远埋,以免影响水质。
2.培育水质
包括养殖前期培育水质和养殖后期培育水质两个阶段。养殖前期是指主养鱼类平均尾重在0.25kg以前,通过肥水增加鱼类适口的基础饵料生物,降低养殖成本。过去,养殖户对大水面养殖的投入估计不足,单纯依靠投喂饲料养殖鱼类,开始还可以应付,但随着鱼体的增长,鱼类摄食量的增加,资金不足而难以满足鱼类正常生长的摄食需要,产品上不了规格,出现亏损;近几年来,为应对起伏不定的水产品市场,我们大力推广肥水与投喂饲料相结合的养鱼模式,确保了渔业生产的稳步发展。大水面养鱼资金周转大,辅以肥水养鱼既可以降低成本,又可以抵抗风险。值得注意的是:各类肥粪,包括禽畜粪便、绿肥、糖厂滤坭等,施入大水面之前都应进行必要的除菌、消毒,并实施无害化处理。尤其是禽畜粪便,还必须经过发酵腐熟,再用1%~2%的生石灰水消毒,并在禽畜饲料、药物、添加剂等源头环节加以控制,以防止有害物质通过粪便影响水质;糖厂滤坭是一种新的渔用肥源,含有大量的有机碎屑,既可肥水又可供鱼类直接食用,效果好。养殖后期的培育水质,即在鱼类起捕前3个月内,不能追加施用有机肥,水源好的大水面通过多注换新水,水源不便的大水面可以使用复合微生物制剂,清除养殖水体中的有机污物,降低氨态氮、硫化氢、亚硝酸盐等有害物质,稳定水体的酸碱度,抑制病原微生物的生长繁殖,增加水体溶解氧,使水体保持鲜、活状态。同时,可以集中资金加强后期投喂,促使鱼类快速生长上市。
3.选用良种
经过多年的生产实践,奥尼罗非鱼以其耐寒、生长快、雄性率高等优点已成为高州市第一主养鱼类。奥尼罗非鱼繁育技术要求高,生产体形好、高雄性率的鱼苗较难,如果奥尼罗非鱼鱼种的雄性率不高则放养4个月后就大量自繁产仔,养殖密度迅速加大,大量仔鱼耗氧耗料抢占空间,导致养殖进退两难,因此,选养优质高雄性率的奥尼罗非鱼是大水面养殖的一个重要环节。要确保奥尼罗非鱼鱼苗的质量,养殖户应该到已取得水产种苗生产许可证、群众普遍反映试养效果好的罗非鱼繁育单位选购鱼种。在实际生产中,要使奥尼罗非鱼鱼苗达到全雄性是不现实的,应对办法是可以放养一些肉食性鱼类进行捕杀清除,如放养100~300尾/亩淡水白鲳可以收到一定的效果。
4.合理放养
水产品要求优质优价,这里所讲的优质主要指产品应上规格、上档次。近几年,罗非鱼的购销主要分为四个规格档次,分别是平均尾重0.5kg以下、0.5~0.8kg、0.8~1.1kg、1.1kg以上,且与之相应有四个档次的产品价位,每个相邻的商品价位差价大约为1元/kg。就生产情况来看,单纯投喂饲料生产出平均尾重0.5kg以下的产品要亏损1元/kg左右,因此,进行合理放养,大幅提高产品规格是水产养殖生产的迫切需要。我们推荐的放养密度是罗非鱼1000~1500尾/亩,淡水白鲳100~300尾/亩,鲢、鳙50~80尾/亩,鲩30~50尾/亩,适当套养一些鲮鱼。如果养殖条件较差,主养品种罗非鱼不宜超过1000尾/亩。实际生产表明,疏养产量并不比密养产量低,疏养后许多大水面的亩产都达到2t以上,产品规格及养殖利润都得到同步提高,一般亩利润都在2000元以上,最高亩利润达到4000多元。
5.科学收获
大水面养殖的起捕收获非常重要。前几年,有一个面积为几百亩的水库,其主养品种奥尼罗非鱼整体已达到商品规格,由于间歇性起捕的时间过长,起产的收入又要用于存塘鱼的饲料投入,出现存塘鱼吃掉上市鱼的情况,最终严重亏损。实践证明,1天捕鱼,鱼类3天不摄食,1周内摄食不正常,即使有鱼体摄食,也出现耗料不增长的情况;况且长期的拉网起捕容易造成鱼体损伤,甚至死亡,鱼体逐渐消瘦而减值,因此,时机成熟时快速起捕才能确保养殖收益。要做到这点,必须注意如下几个问题:一是放养鱼种的规格要求尽量一致,均匀喂养,确保绝大部分个体同时达到理想的商品规格;二是选准捕获点,投喂饲料的地点要设置在容易起捕的地方,以确保起捕区鱼类密集,缩短起捕周期;三是留意市场信息,争取在旺价期间及时收获。
6.连养模式
两茬罗非鱼连养模式:分级标粗大规格罗非鱼苗种,在成鱼养殖池搭配一定数量的滤食性鲢、鳙鱼以及植食性草鱼,肉食性青鱼,一起纯投料养殖。待罗非鱼达到上市规格后捕捞出售,搭配养殖鱼类视规格大小决定是否出售。不干塘立即放养第二茬大规格罗非鱼种,养殖到罗非鱼达到上市规格出售后进行干塘,以上所说的就是两茬罗非鱼连养技术是根据茂名高州市罗非鱼养殖户养殖吉富罗非鱼的成功经验总结出来的一种养殖模式,养殖两茬罗非鱼才清一次池塘。
这种养殖模式充分利用池塘养殖空间、节约养殖时间、资金回笼快、产品符合出口健康养殖标准、并且能提高混养鲢、鳙等配养鱼的经济效益,相对降低罗非鱼养殖池塘租金成本,提高罗非鱼单位面积养殖产量,是茂名高州市罗非鱼纯投料养殖户的首选养殖模式,据有地方特色。一般具备罗非鱼能自然越冬的气候,专业的捕捞队等条件就能利用这一养殖模式并能产生很好的经济效益。
鱼种放养
养殖罗非鱼使首先将水池洗净,并用漂白粉进行消毒,使池水呈2ppm浓度。下药后应堵住进水口,使药液在池中浸泡24小时以上。放养时,打开进水口,让流水冲淡池中药液浓度,待池水交换1次以上后,方可放养鱼种。鱼种放入流水池前用2%的食盐水浸洗5~10分钟或用8~10ppm浓度的孔雀石绿溶液浸洗10~15分钟。放养规格每尾以25~100克重为宜,而且在放养时应把不同规格的鱼种分开放养以利于投饵和管理。放养密度依据温流水的供应量和计划养成的产量来定,可根据公式来计算:W=(A1-A2)·Q)/(R·V·C)。W为每立方米水的放鱼量(千克/立方米);A1为注入水的溶氧量(克/立方米);A2为维持罗非鱼的最低耗氧量(克/立方米)Q为注水量(立方米/小时);R为鱼耗氧量(克/千克/小时);V为流水池体积(立方米):C为计划增长的倍数。罗非鱼最低耗氧量A2为1.12克/立方米,R取0.256~0.4克/千克体重/小时。
日常管理
做好防寒、投饵和水质调节等工作。水温保持在18~20℃左右,低于18℃鱼类容易冻伤,活动迟缓,进食量很少,不利于越冬;水温高于22℃以上时,罗非鱼运动活泼,摄食量增大,温度过高增加管理上的麻烦,也不利于越冬。在越冬期间,主要通过人工饵料来补充能量。罗非鱼刚进入流水池时,由于对环境的不习惯,食量很少,3~4天后,食量开始增加,这时应该及时增加投饵量,每次投饵时,要用声响来进行诱导,待鱼集中后开始投喂。为了观察罗非鱼的吃食情况和减少饵料的浪费,可在流水池里设置饵料台,饵料台的数量根据流水池的大小来定,一般每15平方米设置1个0.5平方米的饵料台,饵料台离水面35~40厘米。越冬期的投饵量,主要根据水温变化,天气变化和鱼种规格的大小来掌握。天气晴朗,水温在16℃以上就应该开始投饵。每天投饵2次,投饵量以30分钟内能吃完为度,另外,每天应投喂适当的青饲料(红萍、黑麦草等),青饲料掌握在池鱼体重的0.3~0.5%左右。饵料最好是采用颗粒饵料,粗细要根据不同规格的鱼种来定;原料一定要新鲜,饵料贮存时间不要超过15天。每隔3~4天应把流水池的排污底阀打开,进行彻底排污。一般做法是将池水排至八成干,通过鱼的活动和水流的冲刷,污物集中到排污口,把污物排走。排污最好选择在晴天进行,并且尽量避免弄伤鱼体,结合排污可以观察饵料的利用情况和鱼的生长情况。排污的同时测定鱼的生长(每半个月测定1次),从鱼类的生长情况来计算下半月的投饵量。坚持早、中、晚巡塘,测量、记录早、中、晚的水温变化情况;观察鱼类的活动情况;检查拦鱼栅是否破损,以及捞除病死鱼等。

随着出口量的增加和人民群众生活质素的不断提高,对水产品的质量安全日趋重视,对无公害水产品的需求日益增加,因此,开展罗非鱼标准化健康养殖势在必行,而标准化健康养殖的重点之一在于病害防治,笔者将从化州罗非鱼养殖实践中总结来的经验整理成文,供参考。
鱼病防治以预防为主,主要采取严格控制放养密度、调节养殖水质、投喂营养全面且新鲜的饲料、定期抽样对鱼进行体表及解剖检查等措施预防。一旦发现鱼病,应及时请水产专业人员进行诊断,在专业人员的指导下对症下药治疗。一般措施为:
彻底清塘消毒;
鱼苗、鱼种入塘前严格进行消毒;
鱼苗、鱼种下塘后,以1克/立方米90%晶体敌百虫全池泼洒一次。半月后用1~2克/立方米漂白粉(28%有效氯)泼洒一次;
保持水质肥、活、嫩、爽,呈微碱性;
死鱼应及时捞出,消毒后埋入土中;6.在病鱼池中使用过的用具要浸洗消毒,病鱼池水未经消毒不得任意排放。
防止夏季链球菌发生,夏季炎热可以定期使用生石灰消毒,每亩使用20~30公斤生石灰,根据水位深浅适当加减,在感染链球菌后不可投喂饲料这样会增加死亡率!如果有优质的水源鱼塘可以进水,导致链球菌发生主要是气温高加上塘低淤泥经过高温散发出来有害气体污染水质导致罗非鱼长期缺氧和抗病能力降低!
渔药的使用必须严格按照国务院、农业部有关规定,外用泼洒药及内服药的用法及用量应符合水产行业标准《无公害食品渔用药物使用准则(NY5071-2002)》的规定。
整个越冬期都有发生,鱼体鳞片脱落,皮肤受伤,加上冬天水温较低,水霉菌侵入鱼体而引起。病鱼体表上可见大量棉絮状的菌丝体,呈黄白色,病鱼离群,体表粘液增多,食欲减退、消瘦,最后导致死亡。在操作过程中,尽量避免鱼体受伤,越冬期间一天内的水温变化应该相对恒定,越冬池在放养前应清整消毒。罗非鱼入池时要用食盐水或孔雀石绿浸洗。流水池发生水霉病,可将池水排浅,用孔雀石绿溶液全池泼洒,按池中水量,使池水呈2ppm浓度,让鱼体浸洗20分钟左右,再将池水加至原状连用2天。
是由小瓜虫大量侵入鱼体而引起的。病鱼体表粘液增多,游泳缓慢,食欲减退,最后消瘦死亡。水温18℃以下时,此病尤为严重,而且死亡量大。流水池一旦发生小瓜虫病后,应立即处理,将池水排去2/3,然后用硝酸亚汞溶液全池泼洒,使池水呈2ppm浓度,浸洗1~2小时(视病鱼的忍耐程度)然后加满池水至原状,第二天用同样药量再施1次。肠炎病
是由投喂不新鲜饲料和投饵量不正常引起的。病鱼体色变黑,粘液增多,肛门充血,挤压腹部有浓血状粘稠物流出,解剖病鱼可见肠内无食物,肠壁发炎呈紫红色,病鱼最后消瘦死亡。池中如发现罗非鱼发生肠炎病,应立即停喂不新鲜的饲料;投饵量应根据池中鱼重量来计算,做到定时、定量保证池鱼吃的均匀。在饲料中添加1%的畜用土霉素或适量磺胺类药剂,可预防此病发生。
投喂霉变饲料引起。池中可见病鱼离群,行动迟钝、眼球突出、充血,腹部膨大,鳃丝贫血,解剖病鱼,可见腹腔内充满血水,肝脏失血呈苍白色。病鱼死后沉于池底。池中一旦发生这种病死鱼,应立即停喂饲料,改用另一种配方。原料一定要新鲜。饲料贮存时间不能超过15天,一般更换饲料3~4天后可停止死鱼。

广东省茂名地区属热带季风暖湿气候,光照充足,雨量充沛,全市年平均气温23℃左右。从上世纪50年代引入罗非鱼养殖,通过近十多年的发展,全市罗非鱼养殖面积22万亩,约占全市淡水养殖面积的58%,年产罗非鱼18万吨,产量占全省1/3,全国1/6,年产值超15亿元,成为国内最大的罗非鱼产区。2010年1月,茂名市被中国水产流通与加工协会授予“中国罗非鱼之都”称号。
茂名罗非鱼产业稳定发展,大致经历了四个阶段:
引进试养阶段
1959年,高州、化州两县引进莫桑比克罗非鱼试养成功,继而在两县推广“混养密养,轮放轮捕”的高产技术。1961年9月,茂名市郊引进推广莫桑比克罗非鱼养殖。1979年重建化州县国营鱼苗场,从海南引入中国科学院长江水产研究所引进的苏丹尼罗罗非鱼7000多尾,翌年产卵育苗成功,逐步推广养殖。
普及推广阶段
1981年6月,高州县淡水养殖试验场利用雌性非洲鲫鱼与雄性尼罗罗非鱼杂交,繁殖福寿鱼成功,该成果获广东省水产厅科技成果推广三等奖。福寿鱼显示出杂交优势,雄性率达70%~80%,比自然繁殖的雄性率提高20%~30%,生长比亲本快,耐寒力比亲本稍强,且肉质好,深受生产者和消费者欢迎。第二年在高州县推广养殖,成为“四大家鱼”之外的主要养殖鱼类品种。
1985年,茂名市三大商品与生产基地——化州县杨梅镇、高州县石鼓镇、茂南区城郊基地相继建成,普遍实行鱼、禽、畜、果结合,种养配套,综合经营,经济效益显著。全市淡水养殖产量迅速增长,达1.3万吨,罗非鱼作为“四大家鱼”的补充品种,主要采取混养和套养的方式,产量占淡水养殖总产量的1/10。
发展壮大阶段
1986年始,茂名市淡水良种繁殖试验场先后引进了苏丹尼罗、莫桑比克、尼罗、埃及尼罗、奥利亚尼罗等罗非鱼品种,并利用两个不同品种进行杂交,培育了“奥尼鱼”。这种鱼最大特点是雄性率高达90%以上,可避免因过度繁殖而影响生长,其个体生长比亲本快11%~72%。“奥尼鱼”的选育成功,较好的解决了罗非鱼自繁能力强,生长规格不一等问题,提高了养殖的可控性,且生长快,产量高。原来兼养罗非鱼的养殖户逐渐转变为以罗非鱼养殖为主,兼养其他鱼类。1987年至1996年十年间,罗非鱼产量以年均40%的速度递增。至1996年,罗非鱼产量达3.8万吨,首次超过鲩鱼,成为茂名地区淡水养殖第一品种。
黄金时期
2004年5月,茂名市政府正式批准实施《建设茂名市罗非鱼“金三角”产业基地方案》,将本区域内高州的石鼓、镇江、宝光、金山、石仔岭、沙田、泗水;化州的杨梅、南盛、同庆、长岐、丽岗、石湾、东山、下郭、河西、鉴江开发试验区;茂南的金塘、公馆、新坡、高山、镇盛、鳌头等23个镇(街道办)建设罗非鱼“金三角”产业基地。
在罗非鱼“金三角”产业基地发展战略的带动下,罗非鱼养殖热潮一再高涨,各地养殖户纷纷推塘养鱼。庞大的罗非鱼产量,吸引了各方的商家加入到罗非鱼加工销售行列。其中以长兴、佳辉、绿园为龙头的本地加工厂,年加工出口罗非鱼能力达6万吨。粤龙集团公司和茂名市食品集团公司冷冻厂以及一批水产品运输企业则主要负责对国内的销售,全年鲜活罗非鱼和条冻罗非鱼销往国内各地市场的销售量达4万吨。另外,湛江恒兴集团以及珠海、阳江、汕头、广西北海等外地加工企业也纷纷到茂名采购罗非鱼作为加工出口原料,年采购鲜活罗非鱼约7万吨。整个罗非鱼销售逐渐形成本地外地加工流通畅旺,国内、国外市场互为补充的良好局面,较好地解决了罗非鱼的销售出路。
茂名市有罗非鱼种苗繁育场28家,其中在建国家级罗非鱼良种场2家,在建省级罗非鱼良种场1家,年产优质罗非鱼苗9亿尾。建成一批罗非鱼全天候孵化车间和亲本保温大棚,实现了全年10个月出产罗非鱼苗。至2008年12月止,全市已通过无公害认证的罗非鱼养殖场(企业)有23家,面积达2.6万亩。罗非鱼出口原料备案基地面积12万亩。大型罗非鱼加工出口企业有佳辉食品、长兴食品、加力食品、海名威食品4家。此外,在建的茂名绿生园、高州龙利、化州群康等3家。2008年实现出口罗非鱼加工产品1.47万吨,创汇5,214万美元。全市罗非鱼养殖户达15,586户,创造了10万个就业岗位,从事罗非鱼加工、运输、销售的人数逾万人,年劳均收入2万元以上。罗非鱼产业已成为茂名市农民增收、农产品出口创汇的支柱产业之一。
茂名市罗非鱼产业逐步建立起企业自律、检验检疫部门监管、行业协会引导以及渔业行政主管部门服务监管四级产品质量安全监控体系。同时坚持抓好罗非鱼认证体系的建设,着力推进水产健康养殖和标准化生产。已建立了罗非鱼健康养殖示范基地6个,获得省级无公害产地认定的罗非鱼养殖基地23个;13个罗非鱼产品通过农业部无公害农产品认证;88家罗非鱼养殖企业成为出口备案基地,出口备案面积12万多亩;4家企业6个产品获得省级名牌产品称号,从而有力保障了罗非鱼的质量安全。
茂名市各级党委、政府一直高度重视罗非鱼产业发展,研究出台了一系列扶持政策,推行“企业+基地+农民”的产业化经营,打造集养殖、加工、出口于一身的罗非鱼产业“金三角”基地,促进了罗非鱼产业集群发展。此外,茂名市还积极在招商引资、加工流通、技术推广、病害防治方面做好引导和扶持,组织企业参加渔博会以及国外考察等活动,拓展国内外市场,把罗非鱼加工出口作为产业发展的突破口,打造成为全球最大的罗非鱼产业基地,把茂名罗非鱼品牌推向世界。

肉质要有弹性。
鱼鳃呈淡红色或暗红色。
眼球微凸且黑白清晰。
外观完整,无鳞片脱落之现象。
无臭腥味者为新鲜的。
罗非鱼以红烧、清蒸为最好。
巧去鱼腥味:将鱼去鳞剖腹洗净后,放入盆中倒一些黄酒,就能除去鱼的腥味,并能使鱼滋味鲜美;鲜鱼剖开洗净,在牛奶中泡一会儿既可除腥,又能增加鲜味;吃过鱼后,口里有味时,嚼上三五片茶叶,立刻口气清新。
红烧罗非鱼 用料:
罗非鱼、葱、姜、老抽、红塘、醋、盐、味精、蒜
做法:把鱼洗净,划十字花刀(这样更能入味)。锅里放油,下入葱.姜.大蒜煸炒出香味。下入鱼略煎,加入老抽.醋.红糖.盐.水小火炖15分钟,收汤出锅。出锅后撒上葱丝,辣椒丝就好了。
用料:
罗非鱼、蒜蓉、料酒、盐、酱油
做法:
罗非鱼宰杀干净,加料酒稍腌一会。
下油锅慢火煎透。
出锅前加些盐和酱油、蒜蓉再焖两分钟,即可。
酱烧罗非鱼 用料:
罗非鱼 1条(约500克)、姜、蒜、黄豆酱2大匙、盐 少许
做法:
热油锅,爆香生姜
罗非鱼用厨房纸巾吸干水分,放进锅里,慢火煎至金黄
翻面,同样煎至金黄
在鱼上面放上蒜白段,加入2大匙黄豆酱
加入没过鱼身一半的清水
加入1小勺盐
大火煮开后转小火焖煮至剩少许酱汁
装碟,放上蒜青丝,趁热吃
鲜椒罗非鱼翅锅,是鱼火锅的 一种,与一般的鱼火锅不同之处在于,只选取罗非鱼鱼翅部位,这一部位是一天24小时都在活动的活肉,肉质紧实有弹性,刺少肉嫩,口感滑而不腻,富含胶原蛋白。鲜椒罗非鱼翅锅另一特色就是针对罗非鱼翅的肉质和口感配制的鲜椒底料。其鲜椒底料由古法土坛、自贡井盐腌制的泡姜、泡椒以及12味秘制香料,配以融合18味秘制香料的菜籽红油炒制而成,同时添加鲜椒、鲜姜、小米椒,使整个锅底浓郁鲜香、辣味十足。

银方头鱼为我国一般经济鱼类之一。肉质较细嫩,呈蒜瓣形,营养丰富。…




图丽鱼是慈鲷科、图丽鱼属鱼类。体长为33厘米,最大体重约1.1千克。鱼体呈椭圆形,侧扁,头大,嘴大,…




白姑鱼是鲈形目石首鱼科白姑鱼属鱼类,又名银姑鱼,白姑子,白米子,白鳘子,白梅。体延长,侧扁,…




黄高鳍刺尾鱼其体卵圆而侧扁,背鳍及臀鳍硬棘尖锐,前方软条较后方延长,呈伞形;尾鳍截平。尾棘在尾柄前部,…




大眼鲷是鲈形目大眼鲷科鱼类,又称大目、大目莲。体呈长椭圆形,较侧扁;口大,口裂倾斜或近垂直状;眼更大,…




银方头鱼为我国一般经济鱼类之一。肉质较细嫩,呈蒜瓣形,营养丰富。…




新月锦鱼又称青衣龙,花面龙,花面绿龙,为鲈形目,隆头鱼科,锦鱼属一种热带地区近岸珊瑚礁海域生活的鱼类。…




二带副绯鲤,为羊鱼科副绯鲤属的鱼类,学名:Parupeneus trifasciatus ,俗名…


















